![]() |
|
![]() |
![]() |











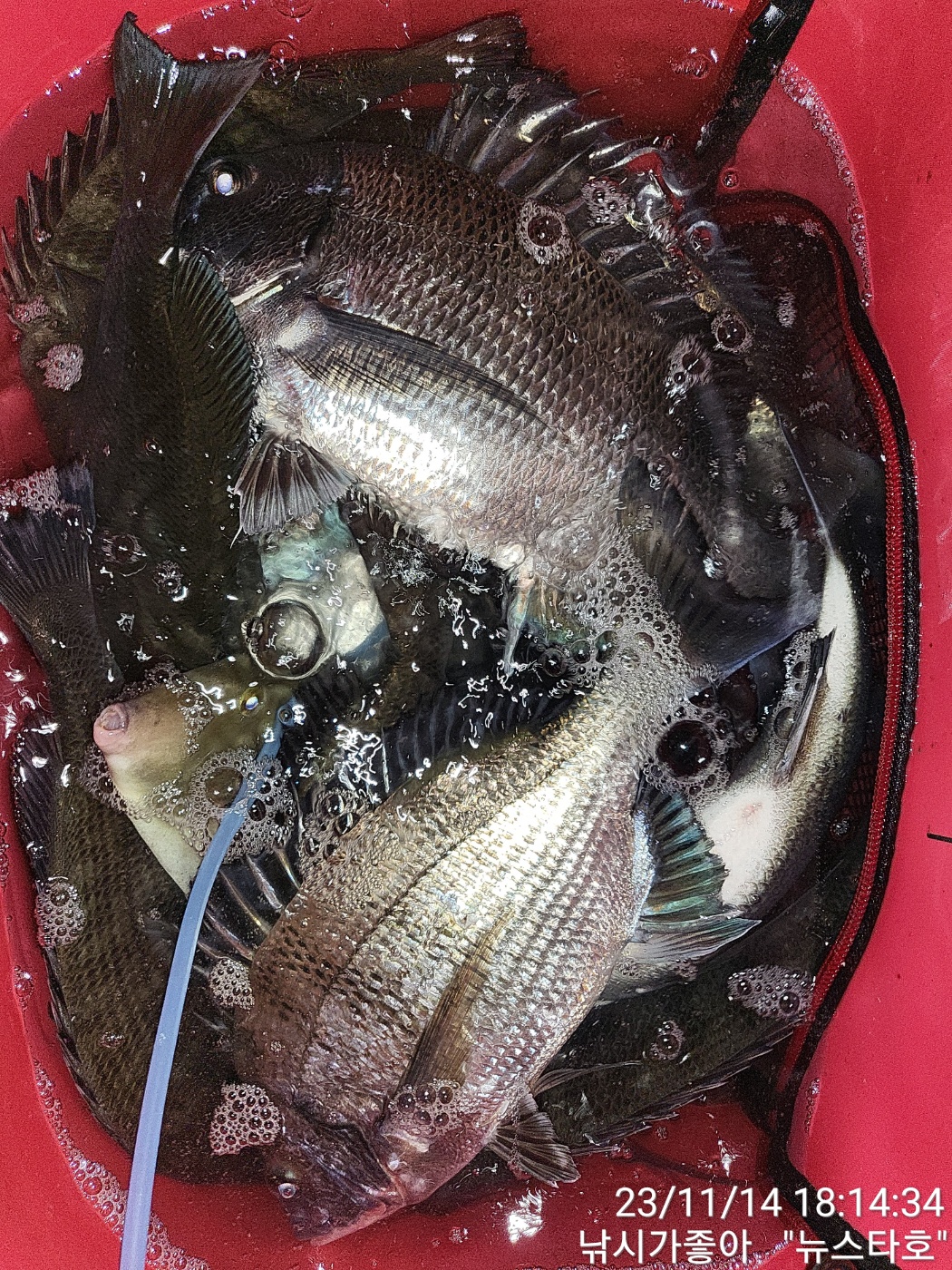
안녕 하십니까! 남해 미조에 낚시가좋아(뉴스타호)인사 드립니다 금일 조황 올려 드립니다 간만에 날씨가 아주 화창한 날씨였습니다 물색도 좋고 수온도 좋고 잡어도 많이 빠지고 좋은 분위기 이어지고 있습니다 오늘은 판떼기 조과도 나와 주었네요 오늘 하루도 고생들 많으셨습니다 즐거운 저녁시간들 되시고 오늘 하루도 마무리 잘하시길 바랍니다 감사합니다
*출조시 밑밥및 소품은 준비하여 오셔도 무방하오며 혹여나 준비하시질 못하신 분들을 위하여 최상급 크릴을 준비해 놓도록 하겠습니다 감사합니다*
*출조및 문의사항*
상호:낚시가좋아(뉴스타호)
주소:경남 남해군 미조면 동부대로9
선장님:010-6434-0015
|
|
|
|





