![]() |
|
![]() |
![]() |
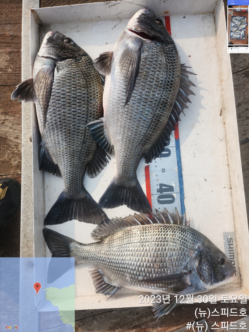
23년 12월30일(토요일)
금오열도 멋진 마무리 마릿수 감성돔조황
안녕하십니까
다사다난했던 23년 조사님들과 함께하여 즐거웠습니다
다가오는 새해에도 조사님들 가정에 만복이 함께 하시길 기원 합니다
오늘로 저희는 23년 출조를 마무리 하였습니다
내일은 기상 악화로 출조를 취소 하였습니다
새해 1월 1일 다시 조사님들을 모시고 부지런히 금오열도권으로 출조를 시작하겠습니다
감사합니다
새해 복 많이 받으십시오
금오열도 패키지(7만원)
~ 선비,밑밥5,천하대장2,압맥3,백크릴(스위트콘지급)
출조예약 010 7587 1172
|
|
|
|















