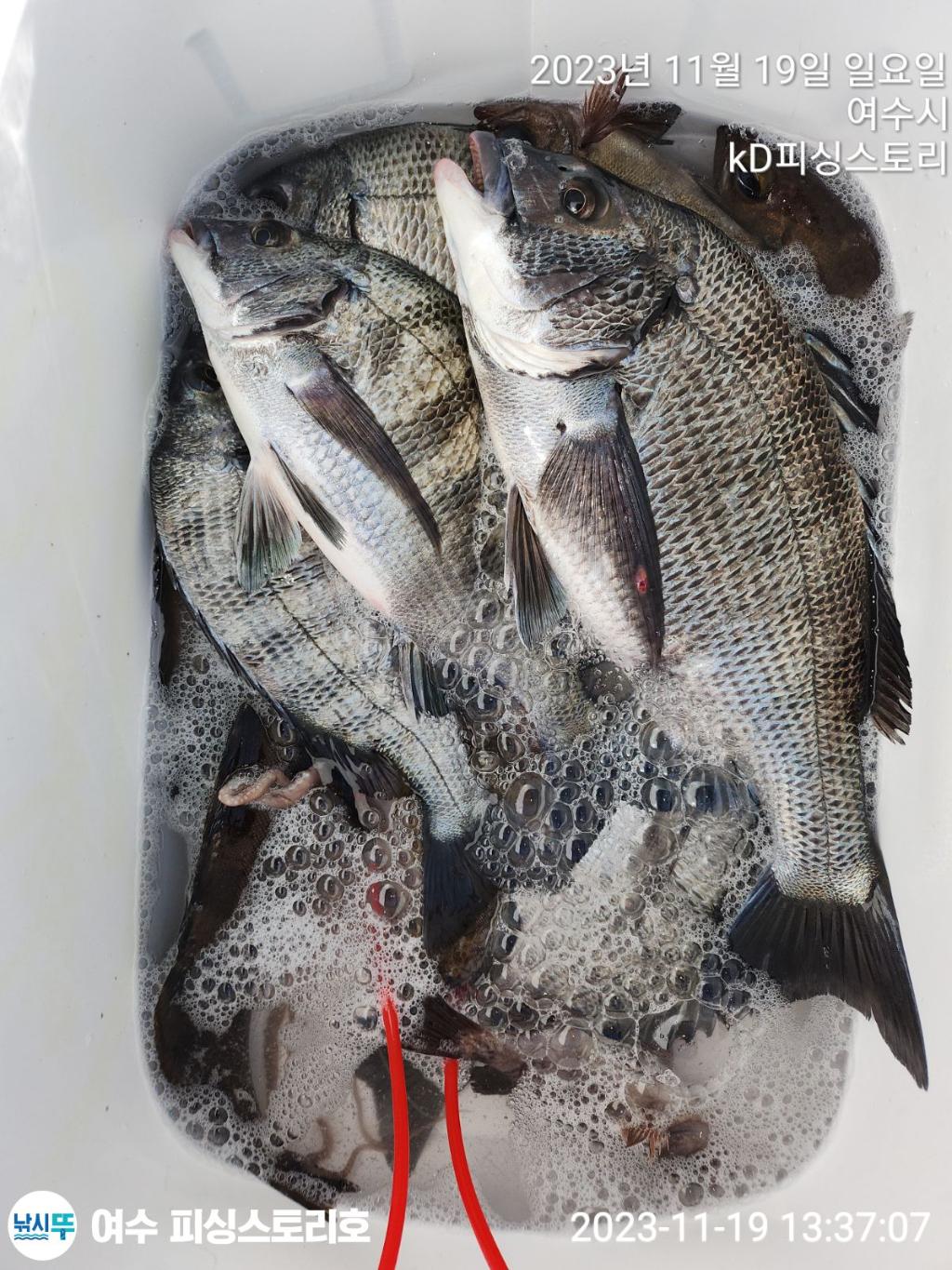
19일싸이즈 좋은 감성돔 조황 입니다.

신상품 소개


회원 랭킹


공지사항


NaverBand
점주/선장 > 갯바위 조황
b_hot_activegloat_200x80.gif b_hot_innakmall_200x80_220704.jpg b_hot_ggsusan_hongeu_200x80.gif b_hot_innakmall_200x80_211203.gif

19일싸이즈 좋은 감성돔 조황 입니다.

kd피싱스토리 0 336
● 출항지 : 여수,광양
F2267887UX.jpg낚시뚜에서 인낚으로 보내는 자동조황
top01.png

여수갯바위낚시

여수피싱스토리

top02.png
수온하락하면서 대물들이 이동하기시작했읍니다.

터저나간곳 빠진곳이 몇포인트에서 소식 전해오네요.
· 출조일시2023-11-19(일)
· 출조인원13명
· 어종감성돔
20181226.174849.891.M0019239L9.jpg



 
수온이 떨어지니 고기 싸이즈들이 확실히 좋와지네요.

월요일 낼은 선박 정비 관계로 휴향하며 화요일 새벽 부터

쭉 ~~금오열도 감성돔 낚시 출항해보겠읍니다.

갯바위 싸이즈들이 좋와지며 오늘 강한 바람속에 선상몇분 하셨는데 싸이즈가 갯바위보다 적네요.

갯바위 하선후 선상하실분들 말씀하시면 선상 포인트

진입합니다.

화요일 새벽부터 정상출항합니다.
F2267887UX.jpg

갯바위 47정도 되네요

F2267886LB.jpg

갯바위

F22678858Z.jpg

갯바위

F22678843G.jpg

갯바위

F2267883VG.jpg

갯바위

F2267882C2.jpg

갯바위

F2267881EN.jpg

선상

F2267880CR.jpg

선상

F2267879JW.jpg

선상

김진운의 피/싱/스/토/리

 


문어 출항


*출항시간:04시30~05시(04시집결)

*집결지  :여수시 소호1길 38 피싱스토리

*철수시간:15시

*선비 평일ㆍ주말 8만원

*계좌번호:  신한은행 김진운 110  377  031313

ㅡㅡ입금 확인후 예약 접수합니다ㅡㅡ

ㅡ선사 지급 ㅡ
각종  냉 음료  컵라면 각종 간식거리  
     점심 개인 도시락

**자리배정
승선후 자리 뽑기
2인 이상 뽑기 우선(예 5번 뽑을시 5.6번)

인원이 많은팀 뽑기 우선  한분뽑기



갯바위 출항 정보

20191203.111141.787.M0019239L9.jpg

 

네비주소 :여수시 소호1길 38

예약문의

010-4053-0718

신한은행

110-377-031313

김진운

F0494862E4.jpg

여수갯바위낚시

여수피싱스토리

김진운 선장

F0494860LJ.jpg
항구명 여수소호선착장
승선인원 20명
출조점명 피싱스토리
배 타는 곳사무실 옆 여수소호선착장

홈페이지 바로가기 Click

낚시뚜


0 댓글
포토 제목
 
 

인낚 최신글


인낚 최신댓글


온라인 문의 안내


월~금 : 9:00 ~ 18:00
토/일/공휴일 휴무
점심시간 : 12:00 ~ 13:00