일요일/초도권 조황!

신상품 소개


회원 랭킹


공지사항


NaverBand
점주/선장 > 갯바위 조황
b_hot_activegloat_200x80.gif b_hot_innakmall_200x80_220704.jpg b_hot_ggsusan_hongeu_200x80.gif b_hot_innakmall_200x80_211203.gif

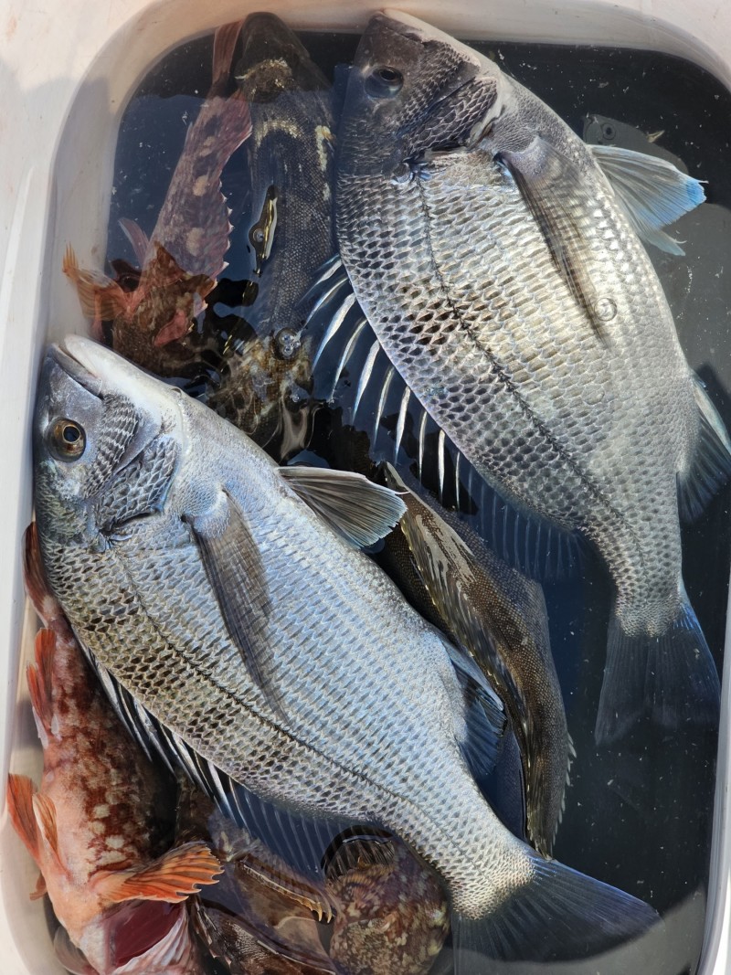
일요일/초도권 조황!

고흥명성피싱호 0 317
● 출항지 : 고흥,녹동

고흥풍남항!꽃담바다 명성피싱호와 

소중한 추억을 만들어 보세요!


☆일요일/초도권역 새벽출조 다녀왔습니다!


5짜부터 잔씨알까지 포인트 편차는 있었지만 손맛보고 철수했습니다!


꽃담바다 명성피싱호와 함께하여주신 조사님께 감사드리며,,,


♡바다기상 예보상,,,

☆수요일/초도권 당일 새벽출조 합니다!


출조관련하여 연락주시면 친절히 안내해 드리겠습니다!

50cd8d8be86050171d96c48fe28814e5_1702252324_5945.jpg

문화체육관광부/한국관광공사 
고흥관광두레/공식지정업체 
법인(유)꽃담바다 명성피싱호 

♡꽃담바다 명성피싱호 밴드에서 많은 소식을 보실 수 있습니다!
50cd8d8be86050171d96c48fe28814e5_1702252408_4676.jpg

50cd8d8be86050171d96c48fe28814e5_1702252432_8553.jpg

50cd8d8be86050171d96c48fe28814e5_1702252446_8352.jpeg

50cd8d8be86050171d96c48fe28814e5_1702252458_4842.jpg

50cd8d8be86050171d96c48fe28814e5_1702252469_4342.jpg

50cd8d8be86050171d96c48fe28814e5_1702252480_217.jpg

50cd8d8be86050171d96c48fe28814e5_1702252495_0377.jpg

50cd8d8be86050171d96c48fe28814e5_1702252511_4646.jpg

50cd8d8be86050171d96c48fe28814e5_1702252528_3302.jpg

50cd8d8be86050171d96c48fe28814e5_1702252551_5034.jpg

50cd8d8be86050171d96c48fe28814e5_1702252572_6509.jpeg

50cd8d8be86050171d96c48fe28814e5_1702253284_8936.jpg





























 

 
 

0 댓글
포토 제목
 
 

인낚 최신글


인낚 최신댓글


온라인 문의 안내


월~금 : 9:00 ~ 18:00
토/일/공휴일 휴무
점심시간 : 12:00 ~ 13:00