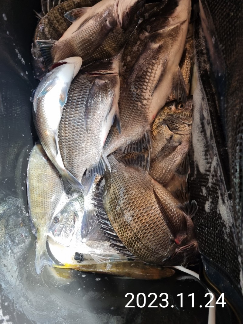
대포권 감성돔 조황

신상품 소개


회원 랭킹


공지사항


NaverBand
점주/선장 > 갯바위 조황
b_hot_activegloat_200x80.gif b_hot_innakmall_200x80_220704.jpg b_hot_ggsusan_hongeu_200x80.gif b_hot_innakmall_200x80_211203.gif

대포권 감성돔 조황

거제방주호 0 944
● 출항지 : 거제

c9a545f2795ce455594ca53f9e9cfee8_1700790821_3203.jpg
 

철수는 1시간전에 

전화 주시길 부탁 드립니다


밑밥은 가까운 낚시점에서 구매하시고
배만 이용하여 주시길 바랍니다.

48년 갯바위 낚시 전문 방주호가
최선을 다해 꼴방없이 조사님들을 모시 겠읍니다.

◀출조시간▶
2인이상 항시 출항 합니다.

◀주요 출조지▶
내만권 : 대포근해.홍포.저구은방 
준내만 : 용초도.쌍근일대.죽도.가왕도.대덕도 

◀어종별 출조지▶

참 돔 : 대포권.소덕도.대덕도.가왕도
벵어돔 : 대포권.홍포권.소덕도.대덕도.가왕도
죽도.쌍근일대.은방.매물도
감성돔 : 대포권.홍포권.소덕도.대덕도.가왕도
죽도.은방.용초도.쌍근일대

내만권 출항은 수시로 출항 하며
준내만은 2인 이상 출항 하며
내만.준내만권 철수시 1인 출항 가능 합니다.


구명조끼.신분증 미 소지시 과태료 100만원 이며
필히 착용.소지하여 출조 하시길 부탁드립니다.
참고로 신분증 휴대폰 저장 하여도 인정되지 않으니
필히 소지 하시길 바랍니다.

선장 : 양정남
선명 : 방주호
H P 010 - 3553 - 1240

 경남 거제시 남부면 대포길 92


 

0 댓글
포토 제목
 
 

인낚 최신글


인낚 최신댓글


온라인 문의 안내


월~금 : 9:00 ~ 18:00
토/일/공휴일 휴무
점심시간 : 12:00 ~ 13:00