글로리호 조황입니다

신상품 소개


회원 랭킹


공지사항


NaverBand
점주/선장 > 갯바위 조황
b_hot_activegloat_200x80.gif b_hot_innakmall_200x80_220704.jpg b_hot_ggsusan_hongeu_200x80.gif b_hot_innakmall_200x80_211203.gif

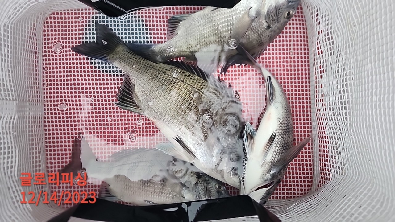
글로리호 조황입니다

글로리피싱 0 632
● 출항지 : 여수,광양

9733cac407dcab3143850afbad7cff72_1702531838_0437.jpg


 




비 소식에 조촐하게 다녀옵니다.5할 정도 손맛 보시고 철수하시네요.

11시부터 빗줄기가 굵어져 조기 철수하지 않았다면 손맛을 더 보시지 않았나 생각해 봅니다.

내일 앞바다는 주의보 발효가 안되었네요.내일도 힘차게 달립니다. 







9733cac407dcab3143850afbad7cff72_1702532008_1774.jpeg



9733cac407dcab3143850afbad7cff72_1702532008_4358.jpeg



9733cac407dcab3143850afbad7cff72_1702532008_6502.jpeg


    1-1. 출항 시간                

     

12월 15일(금) : 새벽 5시 ~ 오후 2시

12월 16일(토) : 주의보로 인한 휴항
                 
12월 17일(일) : 1항차 : 새벽 3시 ~ 오후 1시
                  2항차 : 새벽 5시 ~ 오후 3시

12월 18일(월) : 새벽 5시 30분 ~ 오후 2시 30분
12월 19일(화) : 새벽 5시 30분 ~ 오후 2시 30분
12월 20일(수) : 새벽 5시 30분 ~ 오후 2시 30분

1-2. 출조 지역, 기상에 따라 출, 입항 시간이 변동 됩니다. 
       밴드에 가입하시면 실시간 확인 가능 합니다.

1-3. 글로리피싱 밴드 안내  

        글로리피싱 밴드(클릭)

2. 안내 사항
  2-1. 신분증은 꼭 지참 하시기 바랍니다.
  2-2. 선비 6만 , 패키지 8만 (크릴5 하나파워2 보리4 백크릴)

0 댓글
포토 제목
 
 

인낚 최신글


인낚 최신댓글


온라인 문의 안내


월~금 : 9:00 ~ 18:00
토/일/공휴일 휴무
점심시간 : 12:00 ~ 13:00