13일 수요일 황제도권 감성돔 조황 ^^

신상품 소개


회원 랭킹


공지사항


NaverBand
점주/선장 > 갯바위 조황
b_hot_activegloat_200x80.gif b_hot_innakmall_200x80_220704.jpg b_hot_ggsusan_hongeu_200x80.gif b_hot_innakmall_200x80_211203.gif

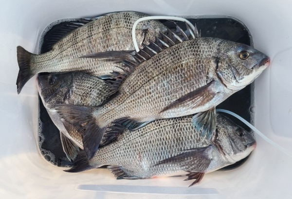
13일 수요일 황제도권 감성돔 조황 ^^

레져아일랜드 0 443
● 출항지 : 완도

3d90ae47a81b5bd7fb9a2730e3588ddb_1702564547_6429.png



3d90ae47a81b5bd7fb9a2730e3588ddb_1702564554_5245.png



3d90ae47a81b5bd7fb9a2730e3588ddb_1702564562_7374.jpg



3d90ae47a81b5bd7fb9a2730e3588ddb_1702564572_8332.jpg



3d90ae47a81b5bd7fb9a2730e3588ddb_1702564575_6039.jpg



3d90ae47a81b5bd7fb9a2730e3588ddb_1702564579_0206.jpg



3d90ae47a81b5bd7fb9a2730e3588ddb_1702564581_9267.jpg



3d90ae47a81b5bd7fb9a2730e3588ddb_1702564584_8019.jpg



3d90ae47a81b5bd7fb9a2730e3588ddb_1702564587_8243.jpg



3d90ae47a81b5bd7fb9a2730e3588ddb_1702564590_7257.jpg



3d90ae47a81b5bd7fb9a2730e3588ddb_1702564593_785.jpg



3d90ae47a81b5bd7fb9a2730e3588ddb_1702564597_0189.jpg



3d90ae47a81b5bd7fb9a2730e3588ddb_1702564599_6105.jpg



3d90ae47a81b5bd7fb9a2730e3588ddb_1702564602_0666.jpg



3d90ae47a81b5bd7fb9a2730e3588ddb_1702564605_3435.jpg



3d90ae47a81b5bd7fb9a2730e3588ddb_1702564608_0074.jpg



3d90ae47a81b5bd7fb9a2730e3588ddb_1702564613_2073.png



.18/19  월,화   덕우도경유 황제도  출조 합니다.


*바쁜 일정으로 조황 자주 게재 못하더라도 양해 바라며,밴드(레져아일랜드)에 들어 오시면 실시간 조황 확인 하실수 있습니다.

0 댓글
포토 제목
 
 

인낚 최신글


인낚 최신댓글


온라인 문의 안내


월~금 : 9:00 ~ 18:00
토/일/공휴일 휴무
점심시간 : 12:00 ~ 13:00