글로리호 26일 조황입니다

신상품 소개


회원 랭킹


공지사항


NaverBand
점주/선장 > 갯바위 조황
b_hot_activegloat_200x80.gif b_hot_innakmall_200x80_220704.jpg b_hot_ggsusan_hongeu_200x80.gif b_hot_innakmall_200x80_211203.gif

글로리호 26일 조황입니다

글로리피싱 0 273
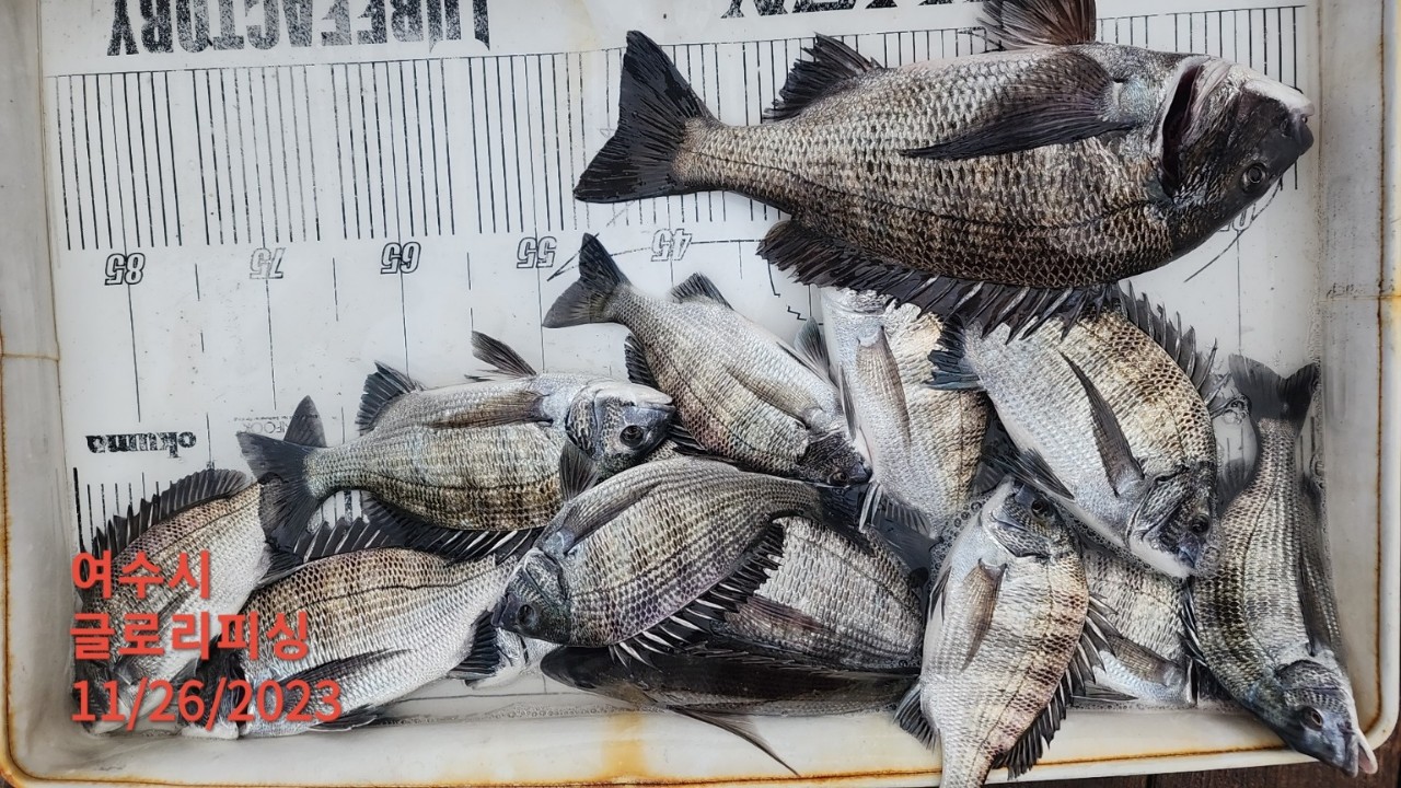
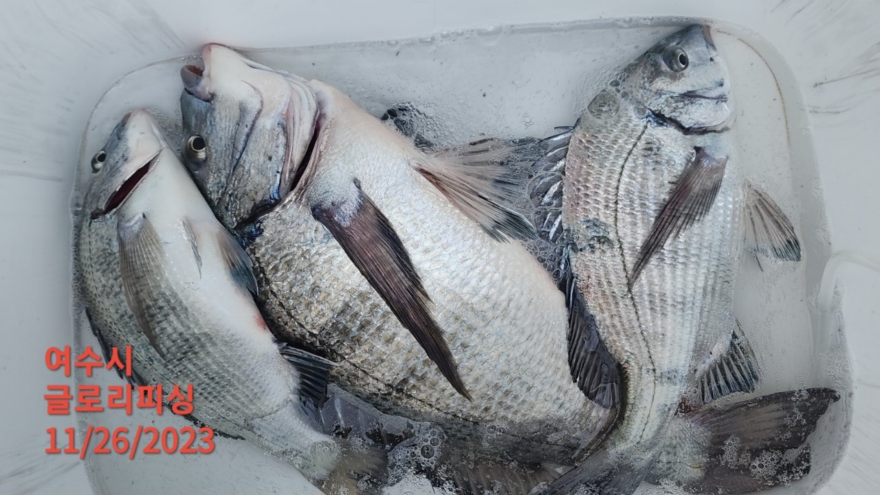
● 출항지 : 여수,광양

41e596df057d4851c0916335e073cebd_1701066075_1292.jpg


 




52,5150,49.6cm.........

12월이 되기도 전에 50cm 대물들이 마릿수로 쏟아지네요.

사진 찍느라 철수시간이 늦어져 버렸네요.

내일도 좋은 기상과 물때에 대물 사냥 떠나봅니다.







41e596df057d4851c0916335e073cebd_1701066725_5554.jpeg



41e596df057d4851c0916335e073cebd_1701066738_6449.jpeg



41e596df057d4851c0916335e073cebd_1701066753_5436.jpeg



41e596df057d4851c0916335e073cebd_1701066791_907.jpeg



41e596df057d4851c0916335e073cebd_1701066816_5528.jpeg



41e596df057d4851c0916335e073cebd_1701066816_7196.jpeg



41e596df057d4851c0916335e073cebd_1701066846_9431.jpeg



41e596df057d4851c0916335e073cebd_1701066847_1768.jpeg



41e596df057d4851c0916335e073cebd_1701066847_369.jpeg



41e596df057d4851c0916335e073cebd_1701066847_5892.jpeg



41e596df057d4851c0916335e073cebd_1701066847_8078.jpeg



41e596df057d4851c0916335e073cebd_1701066848_001.jpeg



41e596df057d4851c0916335e073cebd_1701066848_2249.jpeg



41e596df057d4851c0916335e073cebd_1701066848_4219.jpeg



41e596df057d4851c0916335e073cebd_1701066848_6608.jpeg



41e596df057d4851c0916335e073cebd_1701066848_8468.jpeg

 


   

    

0 댓글
포토 제목
 
 

인낚 최신글


인낚 최신댓글


온라인 문의 안내


월~금 : 9:00 ~ 18:00
토/일/공휴일 휴무
점심시간 : 12:00 ~ 13:00