신지 신바다 43.42cm외

신상품 소개


회원 랭킹


공지사항


NaverBand
점주/선장 > 갯바위 조황
b_hot_activegloat_200x80.gif b_hot_innakmall_200x80_220704.jpg b_hot_ggsusan_hongeu_200x80.gif b_hot_innakmall_200x80_211203.gif

신지 신바다 43.42cm외

신지신바다 0 156
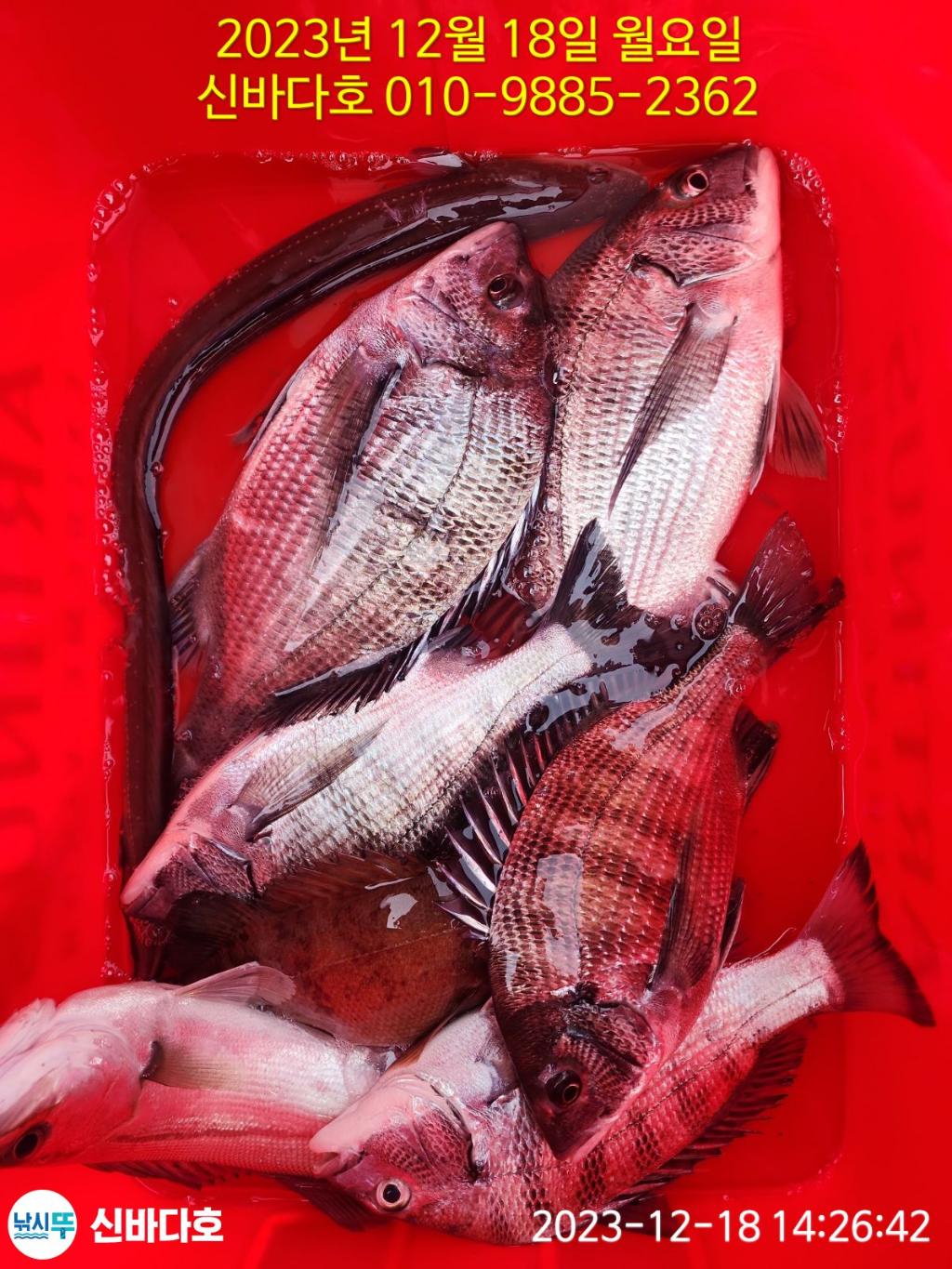
● 출항지 : 완도
F2288365WB.jpg낚시뚜에서 인낚으로 보내는 자동조황
top01.png

민어킬러

신바다호

top02.png
· 출조일시2023-12-18(월)
· 출조인원6명
· 어종감성돔

오늘도 신바다를 찾아주신 조사님들 감사합니다

 

F2288365WB.jpgF2288364BF.jpgF228836325.jpgF2288362KF.jpgF22883619Q.jpg

신분증 조끼는 필수입니다

밑밥(막기)필요하시는 분은 전날 미리 말씀해주세요

출조지:본도.형도.제도.외룡도 30000원

                    농여.진섬.모황도 35000원

선착장주소: 완도군 신지면 월양리 317-26​ 가인리항

신바다호: 010-9885-2362

네비주소 :완도군 신지면 월양리 317-26

예약문의

010-9885-2362

수협

0000 9885 2362

최문석

F00732823L.jpg

민어킬러

신바다호

최문석 선장

F05076673W.jpg
항구명 가인리항
승선인원 8명
출조점명 신지신바다
배 타는 곳완도군 신지면 월양리 317-26

홈페이지 바로가기 Click

낚시뚜


0 댓글
포토 제목
 
 

인낚 최신글


인낚 최신댓글


온라인 문의 안내


월~금 : 9:00 ~ 18:00
토/일/공휴일 휴무
점심시간 : 12:00 ~ 13:00