글로리호 안도 조황입니다

신상품 소개


회원 랭킹


공지사항


NaverBand
점주/선장 > 갯바위 조황
b_hot_activegloat_200x80.gif b_hot_innakmall_200x80_220704.jpg b_hot_ggsusan_hongeu_200x80.gif b_hot_innakmall_200x80_211203.gif

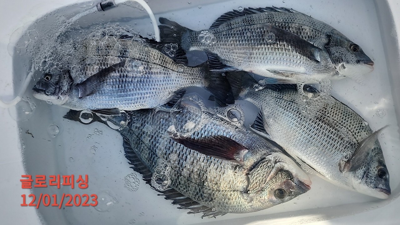
글로리호 안도 조황입니다

글로리피싱 0 317
● 출항지 : 여수,광양

654a0bb2ed38d286638dd726c040805c_1701415740_3816.jpg


 





바람이 조금 있었지만 즐낚하시고 철수합니다.

오늘은 7할 정도 승률을 보여주네요.

당분간 꾸준한 조황이 이어질 것 같습니다.









654a0bb2ed38d286638dd726c040805c_1701416690_8727.jpeg



654a0bb2ed38d286638dd726c040805c_1701416691_0734.jpeg



654a0bb2ed38d286638dd726c040805c_1701416691_2653.jpeg



654a0bb2ed38d286638dd726c040805c_1701416691_4657.jpeg



654a0bb2ed38d286638dd726c040805c_1701416691_6275.jpeg



654a0bb2ed38d286638dd726c040805c_1701416691_8904.jpeg



654a0bb2ed38d286638dd726c040805c_1701416692_0466.jpeg



654a0bb2ed38d286638dd726c040805c_1701416692_2688.jpeg



654a0bb2ed38d286638dd726c040805c_1701416692_4336.jpeg



1-1. 출항 시간       

    

12월 01일(금) : 새벽 5시 ~ 오후 2시
12월 02일(토) : 1항차 : 새벽 3시 ~ 오후 1시
                :  2항차 : 새벽 5시 ~ 오후 3시
12월 03일(일) : 1항차 : 새벽 3시 ~ 오후 1시
                :  2항차 : 새벽 5시 ~ 오후 3시
12월 04일(월) : 새벽 5시 ~ 오후 2시

1-2. 출조 지역, 기상에 따라 출, 입항 시간이 변동 됩니다. 
       밴드에 가입하시면 실시간 확인 가능 합니다.

1-3. 글로리피싱 밴드 안내  

        글로리피싱 밴드(클릭)

2. 안내 사항
  2-1. 신분증은 꼭 지참 하시기 바랍니다.
  2-2. 선비 6만 , 패키지 8만 (크릴5 하나파워2 보리4 백크릴)

0 댓글
포토 제목
 
 

인낚 최신글


인낚 최신댓글


온라인 문의 안내


월~금 : 9:00 ~ 18:00
토/일/공휴일 휴무
점심시간 : 12:00 ~ 13:00