![]() |
|
![]() |
![]() |
통영 삼덕항의 나드리호선장입니다...(__)
■ ■ ■ ■ ■ ■ ■ ■ ■ ■
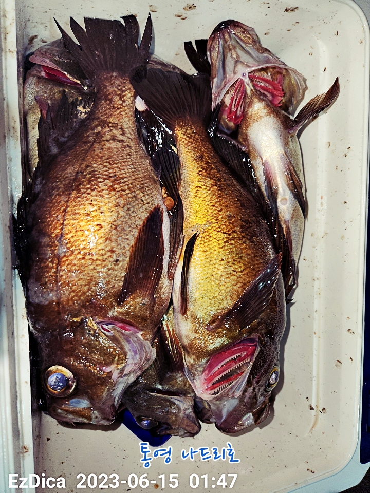
욕지도권의 밤볼락조황입니다.
기상은 아주 양호했고,
달빛도 거의없고,
물때도 좋고~~~
재밌게 즐낚들 하시고,
짭짤하게 손맛들 보셧습니다.
여름철이지만,
욕지권의 밤볼락들은
계속 호조황을 보여주고 있습니다.
밤볼락매니아 조사님들~~~
호조황을 보이는 시기 놓치지마시고
탈탈거리는 밤볼락 손맛 보시러 오십시요.
모두들 수고하셧습니다...(__)
아래에 눈요기용 조황사진과 함께
출조시간 안내해 드립니다.
통영나드리호였습니다.......(__)
■ ■ ■ ■ ■ ■ ■ ■ ■ ■
■ 출조시간 ■
- 목욜 (15일) → 17시.
- 금(16일) → 03시,13시,17시,24시.
- 토욜 (17일) → 09시,13시,17시,24시.
- 일욜(18일) → 09시,12시,17시.
■ ■ ■ ■ ■ ■ ■ ■ ■ ■
오늘은 큰놈들이 안뭅니다...
그래도 쿨러는 꽉 채웠습니다...
씨알급들로 3연속 쿨러만땅이더니
오늘은 잔씨알로 쿨러만땅 채운 고향후배꺼...
고만고만한 씨알들이지만,
굵은놈들 위로 올려놓은게 아닌
에구 오늘은 꼴찌네요...ㅠ.ㅠ
★ 아래는 어제 올라온 좌사리도의 긴꼬리들.....★
신났습니다.
터트린놈들은 씨알도 더 좋았고,
부지기수로 터트렸다고...
바칸도 없고
살림망도 없고...
■ ■ ■ ■ ■ ■ ■ ■ ■ ■
여름입니다.
출조시
파라솔,얼음물.그늘막,모기퇴치제...등 등..
만반의 준비를 갖춰서 출조하시기 바랍니다.
그렇지않으면 모기와 무더위에 고생합니다.
■ ■ ■ ■ ■ ■ ■ ■ ■ ■
긴꼬리벵에돔과 돌돔,뻰찌 시즌엔
09시에 출항하는 종일낚시를
적극적으로 추천합니다.
댁에서 푹 주무시고
여유롭게 출발,출항하셔서
느긋하게 대상어를 즐기시는
갯바위낚시가 될것입니다.
09시에 종일낚시 출조하시면
야영조사님들 철수가 10시~11시이니까
야영조사님들 철수하시는 특급포인트에
꼭 손맛 보실수 있도록
바톤터치 해 드립니다.
철수시간은 긴꼬리벵에돔의 피크시간인
해창을 보시고
19시 전후에 철수합니다.
■ ■ ■ ■ ■ ■ ■ ■ ■ ■
볼락을 좋아하시는 조사님들께서
아직까지 밤볼락이 나오냐고
반신반의 하시면서 문의하시는데,
밤볼락들이 아직까지
괜찮은 조황을 보여주고 있습니다.
나드리호 선장말 믿고
밤볼락을 대상어로 출조하시기 바랍니다.
나드리호선장만의 30여년간의 경륜이 담긴
여름철 밤볼락들의
확실한 포인트로 안내하겠습니다.
■ ■ ■ ■ ■ ■ ■ ■ ■ ■
※ 철수시간은 선장과 상의후
가능하면 조사님들께서 원하시는 시간에
맞춰드리도록 하겠습니다.
※ 출조지 → 안장덕,좌사리도,연화도,
내/외초도,욕지도본섬전역.
※ 좌사리도 출조시엔 반드시
모기퇴치제 준비하시기 바랍니다.
■ ■ ■ ■ ■ ■ ■ ■ ■ ■
※ 참돔과 돌돔을 대상어로
안장덕(내장덕)을 적극적으로 추천하고
※ 긴꼬리벵에돔 / 밤볼락,
뻰찌 / 돌돔 / 농어를 대상어로는
좌사리도를 적극적으로 추천합니다.
※ 밤볼락 / 농어 / 일반벵에돔...등을 대상어로는
욕지도,연화도,초도를 권장합니다.
■ ■ ■ ■ ■ ■ ■ ■ ■ ■
특히,17시에 출조하여
해질무렵에 긴꼬리를 대상어로...
야간에 참돔과 밤볼락을 대상어로 즐낚하시고,
01시에 철수하시는 출조패턴도
적극 권장합니다.
오후출조시엔
참돔,긴꼬리들의
특급포인트가 텅텅 비워져있어서,
손맛을 즐기기엔
조건이 더 없이 좋습니다.
■■■■■■■■■■
※ 기상만 이상없으면
모든 출조시간대에 야영출조가능합니다.
기상 상황에 따라서
언제든 변경될 수 있습니다.
■■■■■■■■■■
■ 출조하시는 조사님들께...
|
|
|
|



















