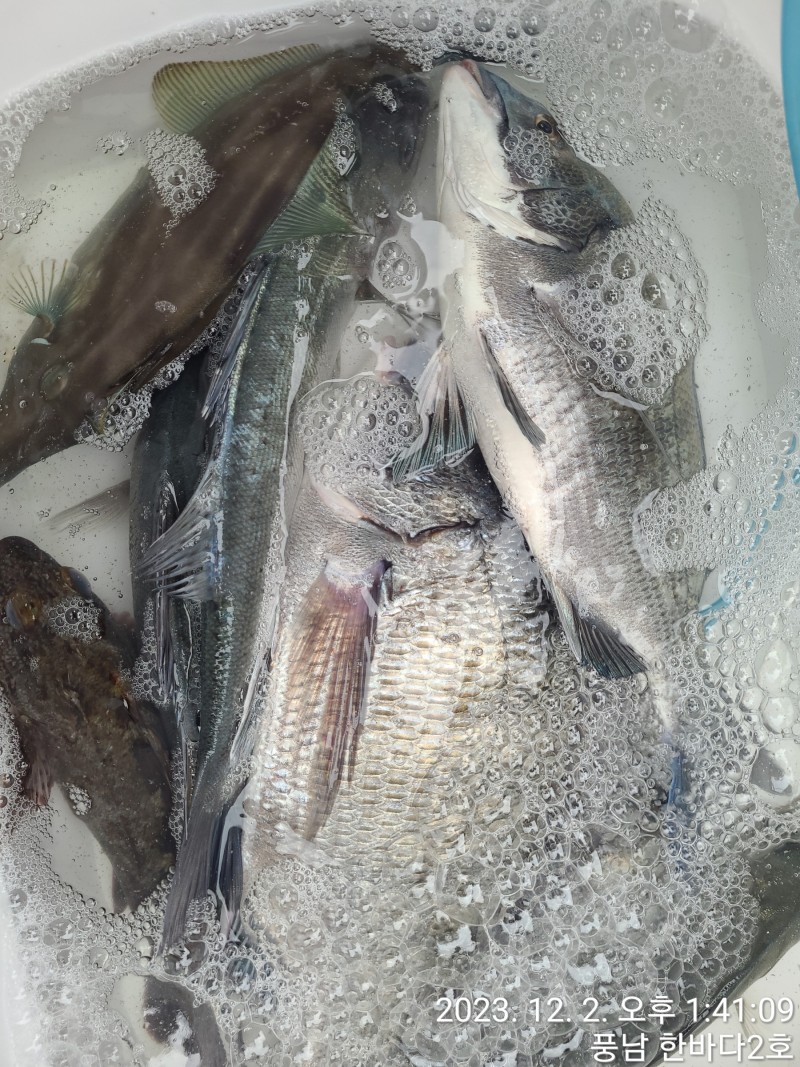
토요일 초도.거문도 조황 입니다.

신상품 소개


회원 랭킹


공지사항


NaverBand
점주/선장 > 갯바위 조황
b_hot_activegloat_200x80.gif b_hot_innakmall_200x80_220704.jpg b_hot_ggsusan_hongeu_200x80.gif b_hot_innakmall_200x80_211203.gif

토요일 초도.거문도 조황 입니다.

고흥한바다2호 0 259
● 출항지 : 고흥,녹동

거문도 벵어돔.뺀찌 굿 조황 


화요일 초도.역만도.거문도 당일 및 야영 출조.


수요일 초도.역만도.거문도 당일 낚시 출조합니다.


더 많은 조황은 밴드에서 확인 할수 있습니다.


고흥 한바다2호: 010 -4612 -7015


배타는 곳: 전남 고흥군 풍양면 풍남항 


고흥 한바다2호 밴드 


https://band.us/band/582898164bc27cd290f184d16be3d6be8c08d91f_1701501871_49.jpg



4bc27cd290f184d16be3d6be8c08d91f_1701501873_7466.jpg



4bc27cd290f184d16be3d6be8c08d91f_1701501876_0395.jpg



4bc27cd290f184d16be3d6be8c08d91f_1701501878_3854.jpg



4bc27cd290f184d16be3d6be8c08d91f_1701501880_1552.jpg



4bc27cd290f184d16be3d6be8c08d91f_1701501881_829.jpg



4bc27cd290f184d16be3d6be8c08d91f_1701501884_1861.jpg



4bc27cd290f184d16be3d6be8c08d91f_1701501886_1646.jpg



4bc27cd290f184d16be3d6be8c08d91f_1701501887_9036.jpg



4bc27cd290f184d16be3d6be8c08d91f_1701501890_1227.jpg



 

0 댓글
포토 제목
 
 

인낚 최신글


인낚 최신댓글


온라인 문의 안내


월~금 : 9:00 ~ 18:00
토/일/공휴일 휴무
점심시간 : 12:00 ~ 13:00