회원가입 ▶ 점주선장 승급신청 ▶ 승급완료 ▶ 조황글 작성 |
















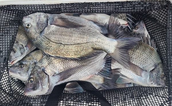
.모든 포인트에서 감성돔을 만날수 있었고,두자리 마릿수를 보인 곳이 6포인트나 되었네요.
다만 바람의 영향으로 탁해진 물색 탓인지,씨알이 조금은 서운한듯 합니다.
본격적인 겨울 감성돔 시즌인만큼 시즌이 깊어 갈수록 씨알과 마릿수면에서 더욱 풍성해지리라 기대해 봅니다.
*월요일낚시 덕우도경유 황제도 출조 합니다.
*바쁜 일정으로 조황 자주 게재 못하더라도 양해 바라며,밴드(레져아일랜드)에 들어 오시면 실시간 조황 확인 하실수 있습니다.