초도군도 토.일 조황 입니다

신상품 소개


회원 랭킹


공지사항


NaverBand
점주/선장 > 갯바위 조황
b_hot_activegloat_200x80.gif b_hot_innakmall_200x80_220704.jpg b_hot_ggsusan_hongeu_200x80.gif b_hot_innakmall_200x80_211203.gif

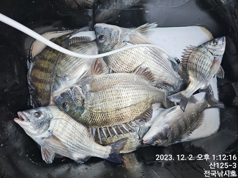
초도군도 토.일 조황 입니다

고흥전국낚시호 0 263
● 출항지 : 고흥,녹동

dc75fcdac6228a2860a0becd7cea213d_1701593766_4195.jpg



dc75fcdac6228a2860a0becd7cea213d_1701593776_7058.jpg



dc75fcdac6228a2860a0becd7cea213d_1701593790_7219.jpg



dc75fcdac6228a2860a0becd7cea213d_1701593805_176.jpg



dc75fcdac6228a2860a0becd7cea213d_1701593818_4827.jpg



dc75fcdac6228a2860a0becd7cea213d_1701593827_4461.jpg



dc75fcdac6228a2860a0becd7cea213d_1701593892_5906.jpg



dc75fcdac6228a2860a0becd7cea213d_1701593904_8326.jpg



dc75fcdac6228a2860a0becd7cea213d_1701593918_78.jpg



dc75fcdac6228a2860a0becd7cea213d_1701593933_2874.jpg



dc75fcdac6228a2860a0becd7cea213d_1701594005_1892.jpg



dc75fcdac6228a2860a0becd7cea213d_1701594019_4086.jpg



dc75fcdac6228a2860a0becd7cea213d_1701594030_9633.jpg



dc75fcdac6228a2860a0becd7cea213d_1701594040_8245.jpg



dc75fcdac6228a2860a0becd7cea213d_1701594053_5177.jpg



dc75fcdac6228a2860a0becd7cea213d_1701594069_3348.jpg



dc75fcdac6228a2860a0becd7cea213d_1701594088_6603.jpg



토요일 너무 정신이 없어 이제서야 조황 올립니다

내일 월요일도  초도군도로 출조합니다 

함께하실조사님 연락 주시면 단한분의 조사님도 새로진수한 전국낚시호로 최선을 다해서 가이드 하겠습니다 

초도군도 낚시도중 살림망에 고기를 살려둘시 해달에게 피해를 입을수 있으니 꼭 바칸에 갈무리 하십시요 

 

출조안내 


평일 05:00


주말 04:00


고흥전국낚시호 


010-4626-8963

0 댓글
포토 제목
 
 

인낚 최신글


인낚 최신댓글


온라인 문의 안내


월~금 : 9:00 ~ 18:00
토/일/공휴일 휴무
점심시간 : 12:00 ~ 13:00