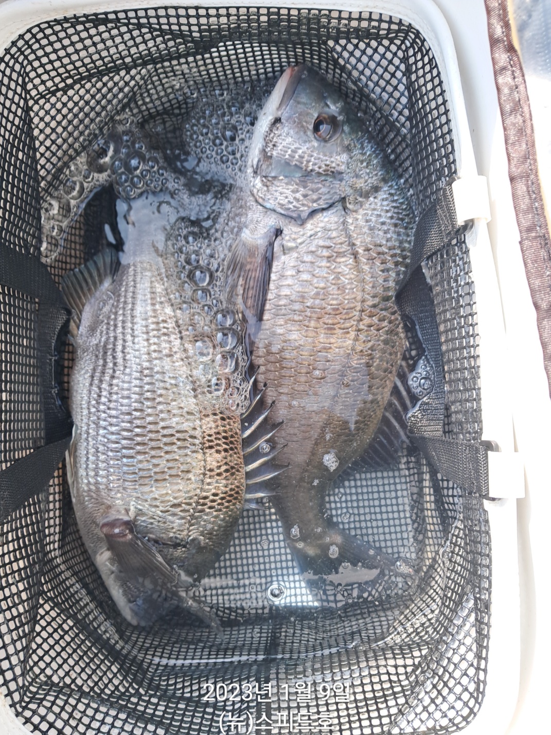
금오열도 씨알좋은 감성돔과 마릿수 조황

신상품 소개


회원 랭킹


공지사항


NaverBand
점주/선장 > 갯바위 조황
b_hot_activegloat_200x80.gif b_hot_innakmall_200x80_220704.jpg b_hot_ggsusan_hongeu_200x80.gif b_hot_innakmall_200x80_211203.gif

금오열도 씨알좋은 감성돔과 마릿수 조황

여수해변낚시 0 341
● 출항지 : 여수,광양

9일(월요일) 

씨알좋은 감성돔과 마릿수 조황 

한가로운 월요일 오늘도 저희는 조사님들과 함께 금오열도권을 찾았습니다 

어제의 이어 오늘도 꾸준한 조황을 보이고 있는 포인트만 선점하여 조사님들을 모셨습니다 

역시나 조황보다 터뜨린 포인트가 많았습니다 

내일도 대박의 조황을 기대해봅니다 

함께 하실 조사님들은 연락주십시요 

오늘도 수고하셨습니다 

감사합니다 

금오열도 패키지 65,000원(선비 밑밥 미끼일체) 

출조예약 010 7587 1172

0 댓글
포토 제목
 
 

인낚 최신글


인낚 최신댓글


온라인 문의 안내


월~금 : 9:00 ~ 18:00
토/일/공휴일 휴무
점심시간 : 12:00 ~ 13:00