청정지역!고흥풍남항!꽃담바다 명성피싱호와 함께 하세요!
☆일요일/초도권전역 새벽출조 다녀왔습니다!
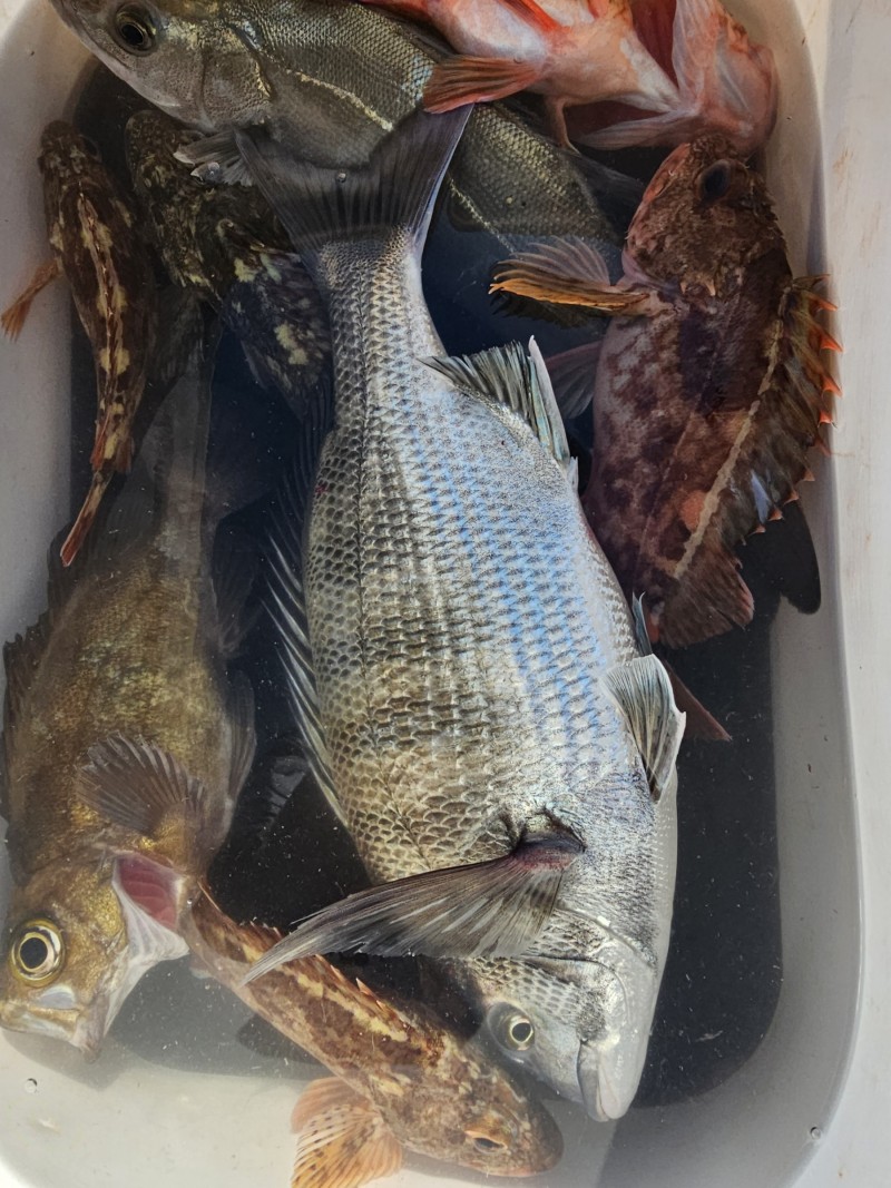
포인트 편차가 심했네요! 철수관계로 몇장 찍지 못했습니다!꽃담바다 명성피싱호와 함께하여주신 조사님께 감사드리며,,,
☆화,수~/초도,장도,황제도 새벽출조 예약중입니다!
출조관련하여 연락주시면 친절히 안내해 드리겠습니다!
항상 안전운항과 한분 한분 소중한 추억을 위해 최선을 다하겠습니다!
로그인한 회원만 등록가능합니다.