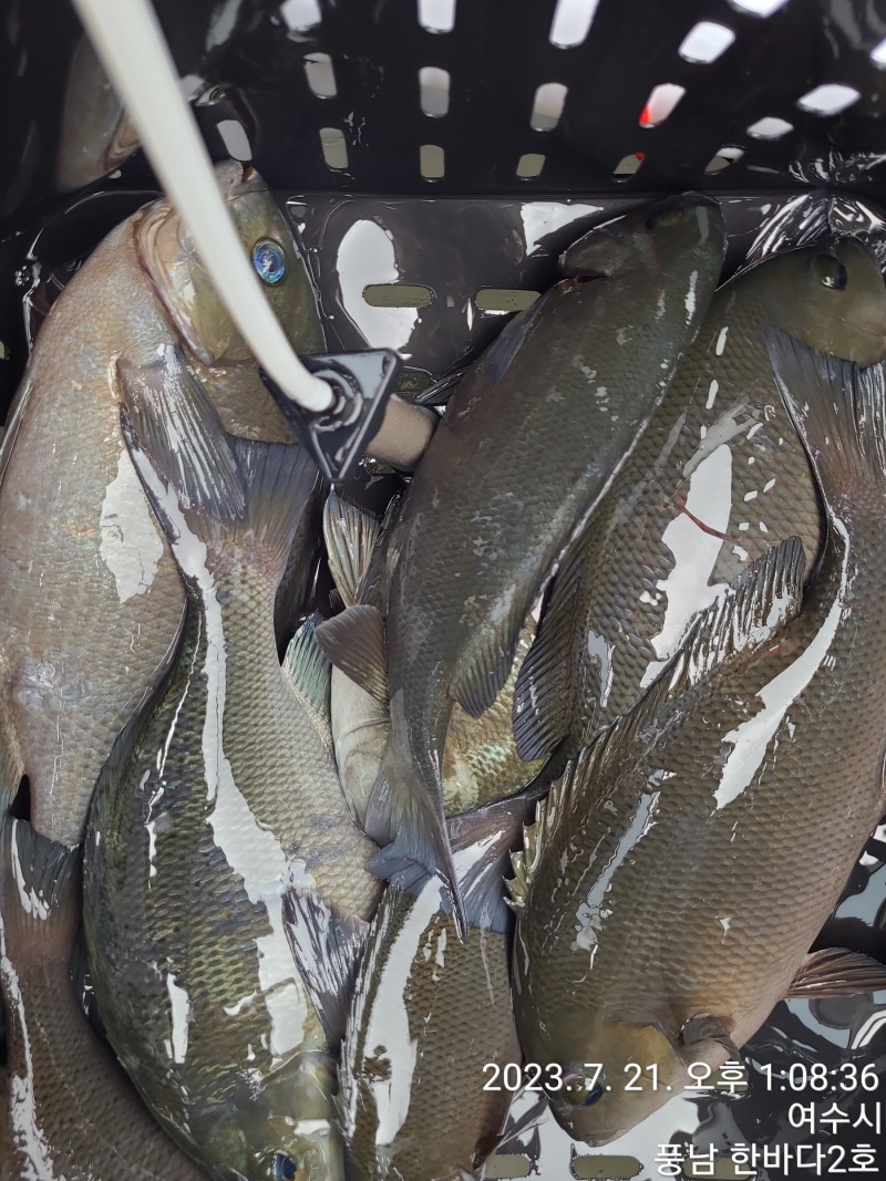
돌돔 6짜 5짜 조황 입니다.

신상품 소개


회원 랭킹


공지사항


NaverBand
점주/선장 > 갯바위 조황
b_hot_activegloat_200x80.gif b_hot_innakmall_200x80_220704.jpg b_hot_ggsusan_hongeu_200x80.gif b_hot_innakmall_200x80_211203.gif

돌돔 6짜 5짜 조황 입니다.

고흥한바다2호 0 617
● 출항지 : 고흥,녹동

금요일 초도.거문도 일부 조황 입니다.81618da8ff25c97e2789caec3f1e5139_1689932559_4658.jpg



81618da8ff25c97e2789caec3f1e5139_1689932595_797.jpg



81618da8ff25c97e2789caec3f1e5139_1689932642_6053.jpg



81618da8ff25c97e2789caec3f1e5139_1689932659_2977.jpg



81618da8ff25c97e2789caec3f1e5139_1689932672_3243.jpg



81618da8ff25c97e2789caec3f1e5139_1689932683_3584.jpg



81618da8ff25c97e2789caec3f1e5139_1689932694_8855.jpg



81618da8ff25c97e2789caec3f1e5139_1689932701_1542.jpg



81618da8ff25c97e2789caec3f1e5139_1689932713_3305.jpg



81618da8ff25c97e2789caec3f1e5139_1689932721_4046.jpg


 


일요일 새벽 초도권 당일 낚시 출조합니다.


고흥 한바다2호: 010 -4612 -7015


배타는 곳: 전남 고흥군 풍양면 풍남항 


고흥 한바다2호 밴드 


https://band.us/band/58289816

0 댓글
포토 제목
 
 

인낚 최신글


인낚 최신댓글


온라인 문의 안내


월~금 : 9:00 ~ 18:00
토/일/공휴일 휴무
점심시간 : 12:00 ~ 13:00