**퍼스트호/No.1호 추자도 조황**

신상품 소개


회원 랭킹


공지사항


NaverBand
점주/선장 > 갯바위 조황
b_hot_activegloat_200x80.gif b_hot_innakmall_200x80_220704.jpg b_hot_ggsusan_hongeu_200x80.gif b_hot_innakmall_200x80_211203.gif

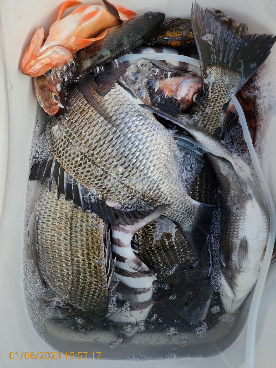
**퍼스트호/No.1호 추자도 조황**

추자퍼스트호 0 479
● 출항지 : 제주

출조문의 010-5159-5353


​밴드 : https://band.us/@no1fish


NO.1퍼스트 1월 5일 목요일 추자군도 갯바위 


조황입니다~~!! 


NO.1 퍼스트를 찾아주신 회원님과 조사님들 감사합니다.


NO.1 Fishing (사선) / First (종선) 운행중


사선과 종선을 운행하여 최고의 서비스와 포인트로 모시겠습니다.


추자도내 친절한 사장님과 깨끗한시설의 민박 이용도 가능합니다.


언제나 최선을 다하는 NO.1 First 입니다.


편안하고 안전하게 모시겠습니다.


감사합니다

22bd5eb4d7d804fd1c12c62e4687f475_1673592962_6284.jpg



22bd5eb4d7d804fd1c12c62e4687f475_1673592966_5217.jpg



22bd5eb4d7d804fd1c12c62e4687f475_1673592969_4169.jpg



22bd5eb4d7d804fd1c12c62e4687f475_1673592971_9029.jpg



22bd5eb4d7d804fd1c12c62e4687f475_1673592974_555.jpg



22bd5eb4d7d804fd1c12c62e4687f475_1673592978_084.jpg



22bd5eb4d7d804fd1c12c62e4687f475_1673592983_6111.jpg



22bd5eb4d7d804fd1c12c62e4687f475_1673592987_3009.jpg



22bd5eb4d7d804fd1c12c62e4687f475_1673592990_3045.jpg



22bd5eb4d7d804fd1c12c62e4687f475_1673592992_7962.jpg



22bd5eb4d7d804fd1c12c62e4687f475_1673592996_3036.jpg
22bd5eb4d7d804fd1c12c62e4687f475_1673593023_7613.jpg



22bd5eb4d7d804fd1c12c62e4687f475_1673593024_6033.jpg



22bd5eb4d7d804fd1c12c62e4687f475_1673593025_4413.jpg



22bd5eb4d7d804fd1c12c62e4687f475_1673593026_2676.jpg



22bd5eb4d7d804fd1c12c62e4687f475_1673593027_0923.jpg



22bd5eb4d7d804fd1c12c62e4687f475_1673593027_9891.jpg



22bd5eb4d7d804fd1c12c62e4687f475_1673593028_8058.jpg



22bd5eb4d7d804fd1c12c62e4687f475_1673593029_58.jpg



22bd5eb4d7d804fd1c12c62e4687f475_1673593030_3971.jpg



22bd5eb4d7d804fd1c12c62e4687f475_1673593031_2532.jpg

No.1피싱호/ 퍼스트호 조황입니다.
이번주 추자도 주의보로 바다가 뒤집히면 다음주에는 좋은 활성도가 기대 되네요.
출조 계획 있으시면 미리 연락 주세요~~




 


0 댓글
포토 제목
 
 

인낚 최신글


인낚 최신댓글


온라인 문의 안내


월~금 : 9:00 ~ 18:00
토/일/공휴일 휴무
점심시간 : 12:00 ~ 13:00