트리플♤♤♤ 러츠~~~

신상품 소개


회원 랭킹


공지사항


NaverBand
점주/선장 > 갯바위 조황
b_hot_activegloat_200x80.gif b_hot_innakmall_200x80_220704.jpg b_hot_ggsusan_hongeu_200x80.gif b_hot_innakmall_200x80_211203.gif

트리플♤♤♤ 러츠~~~

낚시가좋아two 0 631
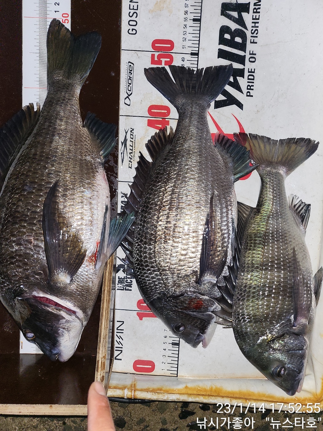
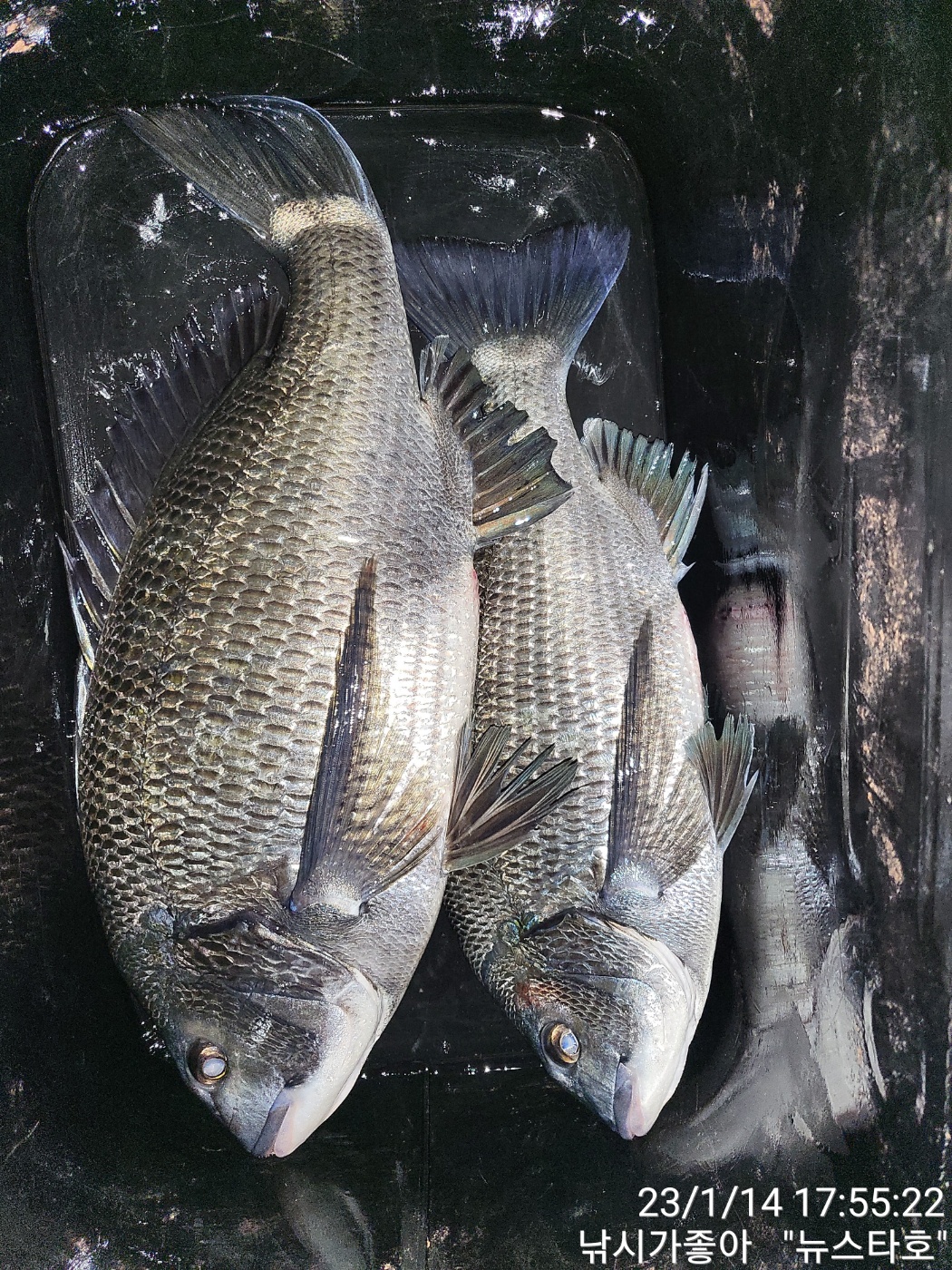
● 출항지 : 남해

5bca467a7f5b2a7dce2d1df828f0c43b_1673687765_102.jpg



5bca467a7f5b2a7dce2d1df828f0c43b_1673687765_3541.jpg



5bca467a7f5b2a7dce2d1df828f0c43b_1673687765_5553.jpg



5bca467a7f5b2a7dce2d1df828f0c43b_1673687765_7587.jpg



5bca467a7f5b2a7dce2d1df828f0c43b_1673687765_9327.jpg



5bca467a7f5b2a7dce2d1df828f0c43b_1673687766_1023.jpg



5bca467a7f5b2a7dce2d1df828f0c43b_1673687766_2819.jpg



5bca467a7f5b2a7dce2d1df828f0c43b_1673687766_5869.jpg



5bca467a7f5b2a7dce2d1df828f0c43b_1673687767_8167.jpg



5bca467a7f5b2a7dce2d1df828f0c43b_1673687769_1188.jpg



5bca467a7f5b2a7dce2d1df828f0c43b_1673687776_99.jpg



5bca467a7f5b2a7dce2d1df828f0c43b_1673687778_4877.jpg



안녕 하십니까! 남해 미조에 낚시가좋아(뉴스타호)인사 드립니다 금일 조황 올려 드립니다 금일은 어제의 비바람과 너울 여파로 인하여 너울이 많이 남아있는 상황 이었습니다 너울을 피해 하선 하려다보니 포인트의 한계가 있었네요 하지만 오늘은 그와중에도 5짜가 세마리나 나와 주었네요 힘든 상황 이었지만 예상과는 달리 선전하고 왔네요 오늘 하루도 추운 날씨속에 고생들 많으셨습니다 즐거운 저녁시간들 되시고 오늘 하루도 마무리 잘하시길 바랍니다 감사합니다


*출조시 밑밥및 소품은 준비하여 오셔도 무방하오며 혹여나 준비하시질 못하신 분들을 위하여 최상급 크릴을 준비해 놓도록 하겠습니다 감사합니다*


*출조및 문의사항*

상호:낚시가좋아(뉴스타호)

주소:경남 남해군 미조면 동부대로9

선장님:010-6434-0015

0 댓글
포토 제목
 
 

인낚 최신글


인낚 최신댓글


온라인 문의 안내


월~금 : 9:00 ~ 18:00
토/일/공휴일 휴무
점심시간 : 12:00 ~ 13:00