폴라리스)연휴 갯바위 감성돔,밤볼락 출조조황입니다~

신상품 소개


회원 랭킹


공지사항


NaverBand
점주/선장 > 갯바위 조황
b_hot_activegloat_200x80.gif b_hot_innakmall_200x80_220704.jpg b_hot_ggsusan_hongeu_200x80.gif b_hot_innakmall_200x80_211203.gif

폴라리스)연휴 갯바위 감성돔,밤볼락 출조조황입니다~

폴라리스피싱 0 447
● 출항지 : 통영
89630cedf13fb45e6592d7a5e7cfb4df_1674612042_66.jpg



.



.



.




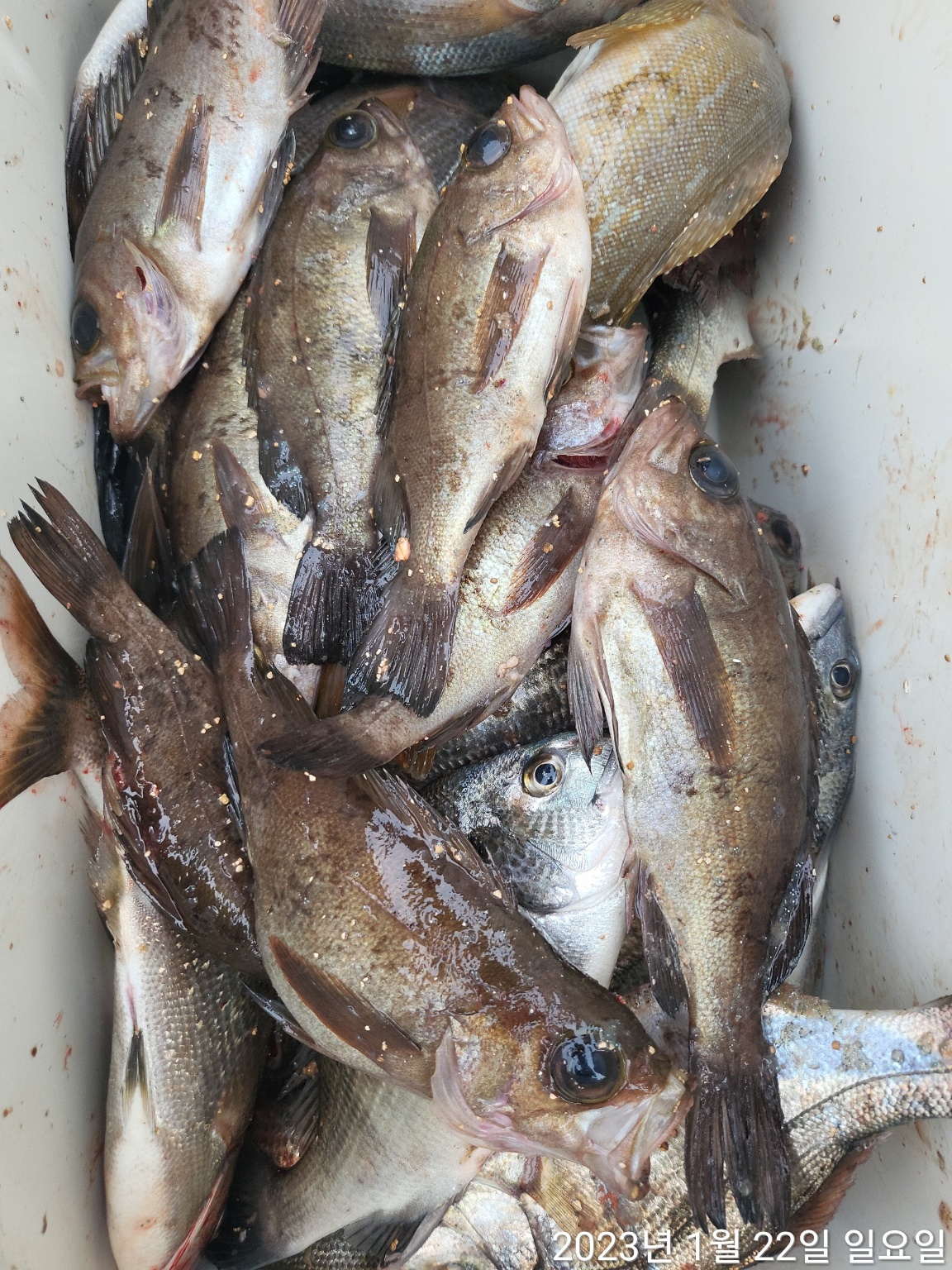
" 폴라리스피싱입니다 "






설연휴들 잘보내셨는지요??






어제.....오늘 날씨가 많이춥습니다







이번주 기상은 영~좋지못한 기상이네요







감성돔은 터트리는곳







물어주는데 씨알이 아쉽고







구경도 못하고 철수하는곳







등등 호불호가 다소있는 출조길이네요





#








밤볼락은 이제부터 살살 살아나는 조황은 보이는듯합니다







굵은 씨알 볼락들이 보이기도하네요







기상에 따라 출조가 이루어질듯합니다^^


89630cedf13fb45e6592d7a5e7cfb4df_1674612396_0807.jpg



89630cedf13fb45e6592d7a5e7cfb4df_1674612396_2956.jpg



89630cedf13fb45e6592d7a5e7cfb4df_1674612396_4393.jpg



89630cedf13fb45e6592d7a5e7cfb4df_1674612406_7706.jpg



89630cedf13fb45e6592d7a5e7cfb4df_1674612407_3425.jpg



89630cedf13fb45e6592d7a5e7cfb4df_1674612407_4258.png



89630cedf13fb45e6592d7a5e7cfb4df_1674612407_6244.jpg



89630cedf13fb45e6592d7a5e7cfb4df_1674612408_2183.png



89630cedf13fb45e6592d7a5e7cfb4df_1674612408_2799.jpg



89630cedf13fb45e6592d7a5e7cfb4df_1674612408_4913.jpg



89630cedf13fb45e6592d7a5e7cfb4df_1674612408_6795.jpg



 


0 댓글
포토 제목
 
 

인낚 최신글


인낚 최신댓글


온라인 문의 안내


월~금 : 9:00 ~ 18:00
토/일/공휴일 휴무
점심시간 : 12:00 ~ 13:00