회원가입 ▶ 점주선장 승급신청 ▶ 승급완료 ▶ 조황글 작성 |







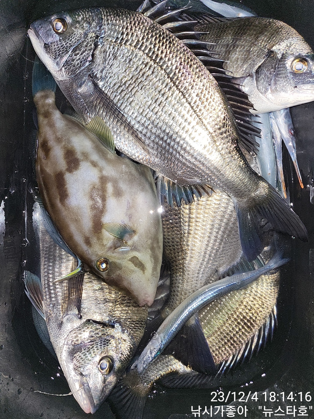
안녕 하십니까! 남해 미조에 낚시가좋아(뉴스타호)인사 드립니다 금일 조황 올려 드립니다 간만에 따뜻한 봄날같은 하루였습니다 날씨는 정말 좋았네요 오늘도 5짜 얼굴을 볼수가 있었습니다 오늘 하루도 고생들 많으셨습니다 즐거운 저녁시간들 되시고 오늘 하루도 마무리 잘하시길 바랍니다
내일은 미조권 갯바위 청소하는 날입니다 하루 휴무하고 모레부터 열심히 달려 보겠습니다 감사합니다
*출조시 밑밥및 소품은 준비하여 오셔도 무방하오며 혹여나 준비하시질 못하신 분들을 위하여 최상급 크릴을 준비해 놓도록 하겠습니다 감사합니다*
*출조및 문의사항*
상호:낚시가좋아(뉴스타호)
주소:경남 남해군 미조면 동부대로9
선장님:010-6434-0015