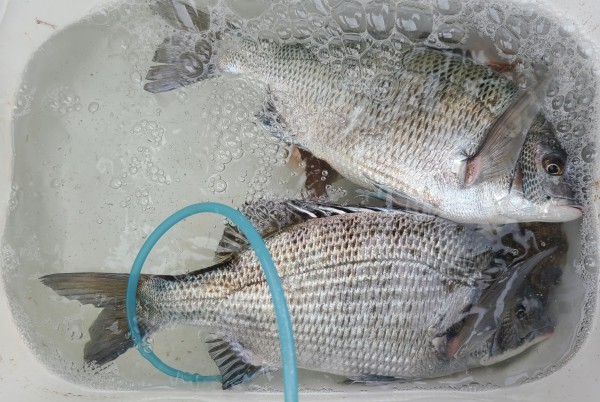
주말 덕우도경유 황제도 다녀 왔습니다.^^

신상품 소개


회원 랭킹


공지사항


NaverBand
점주/선장 > 갯바위 조황
b_hot_activegloat_200x80.gif b_hot_innakmall_200x80_220704.jpg b_hot_ggsusan_hongeu_200x80.gif b_hot_innakmall_200x80_211203.gif

주말 덕우도경유 황제도 다녀 왔습니다.^^

레져아일랜드 0 432
● 출항지 : 완도

4ff4ec2fdd062ebb0c69d9be0a96e45f_1676291410_8459.jpg



4ff4ec2fdd062ebb0c69d9be0a96e45f_1676291417_447.jpg



4ff4ec2fdd062ebb0c69d9be0a96e45f_1676291419_5863.jpg



4ff4ec2fdd062ebb0c69d9be0a96e45f_1676291421_8359.jpg



4ff4ec2fdd062ebb0c69d9be0a96e45f_1676291424_1896.jpg



4ff4ec2fdd062ebb0c69d9be0a96e45f_1676291426_8455.jpg



4ff4ec2fdd062ebb0c69d9be0a96e45f_1676291430_1086.jpg



4ff4ec2fdd062ebb0c69d9be0a96e45f_1676291432_7192.jpg



4ff4ec2fdd062ebb0c69d9be0a96e45f_1676291435_1812.jpg



4ff4ec2fdd062ebb0c69d9be0a96e45f_1676291440_3853.jpg



4ff4ec2fdd062ebb0c69d9be0a96e45f_1676291442_9846.jpg



4ff4ec2fdd062ebb0c69d9be0a96e45f_1676291447_0168.jpg



4ff4ec2fdd062ebb0c69d9be0a96e45f_1676291449_3443.jpg



4ff4ec2fdd062ebb0c69d9be0a96e45f_1676291451_6179.jpg



4ff4ec2fdd062ebb0c69d9be0a96e45f_1676291457_8335.png



.주말 덕우도,황제도 일부 조황 입니다.


목,금,토) 덕우도경유 황제도 출조 합니다.


*바쁜 일정으로 조황 자주 게재 못하더라도 양해 바라며,밴드(레져아일랜드)에 들어 오시면 실시간 조황 확인 하실수 있습니다.

0 댓글
포토 제목
 
 

인낚 최신글


인낚 최신댓글


온라인 문의 안내


월~금 : 9:00 ~ 18:00
토/일/공휴일 휴무
점심시간 : 12:00 ~ 13:00