![]() |
|
![]() |
![]() |
1년연중 기상만 허락하면 매일 좌사리 출항을 하는통영탑피싱입니다.
동절기 대상어종: 대물참돔,감성돔,뽈락
하절기 대상어종: 돌돔,참돔,벵에돔,농어,부시리
탑은 좌사리를 기점으로 하여 여름좌사리,겨울내만부터~욕지권전역
★꼭 숙지하시길 바랍니다.★
1.신분증 필히 챙기세요. 미소지시 승선불가
2.구명복 필히 착용하세요. 미착용시 과태료 100만원
3.선내음주금지 적발시 벌금 100만원
**출항시간안내**
☞2월17일(금)새벽5시
(출항시간은 변동될수 있으니,사전에☎)
곧 봄이 올듯 따뜻하다가도 언제 그랬냐는 듯
한파가 오기도 하는 2월입니다.
아직은 겨울이지만 다가오는 봄을 생각하니
마음이 따뜻해지는것 같습니다.
2월 한달도 좋은일, 즐거운 일들만 가득하시길 바랍니다.
반갑습니다. 살빠질 예정인 백곰 박철민입니다.
지난 주말 출조이후 계속해서
기상악화로 쉬고 있습니다.
쉬면서 배 조선소에 상가하여
묵은때도 벗겨내고,페인트도 칠하고
오전에 마무리가 됩니다.
내일 새벽 욕지거쳐 좌사리까지 출항합니다.
많은 조사님들의 문의 전화 바랍니다.
항상 최선을 다하는 탑이 되겠습니다.
날씨가 춥습니다.
방한에 신경써시고
예약은 미리미리 부탁드리며
항상 최선을 다하는 탑이 되겠습니다.
♥철수후에 따뜻한 어묵탕 준비되어 있습니다.
가게에 오셔셔 드시고 가셔요.♥
☞선비안내☜
▶욕지권:6만원
▶좌사리권:6만5천원
(야영비는 없습니다.)
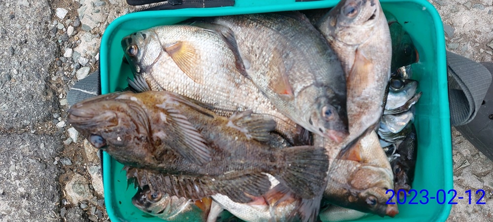
큰놈들이 움직이기 시작하는지 터지신 분들이 늘어납니다.!!
채비와 목줄관리 잘 하셔야 겠습니다.!!
★잡어가 많으니 대체 미끼 다양하게 준비하시길~★
♣"나 하나쯤 괜찮겠지? 생각마시고"
개개인이 건강관리 신경써시고
마스크는 필히 착용하시기 바랍니다.
사무실과 배에 손세정제 비치되어 있습니다.♣
@조황이 안올라가더라도 주의보 아닌 이상 매일 출항합니다.@
◎위 출항시간 외에도 출조인원이 6명 이상일때는 원하는 시간에 출조.철수가 가능합니다.◎
**출조문의**
010-4544-1141(선장) 010-9311-5220(사모)
**통영탑피싱 위치 안내**
통영시 산양읍 연명길 36번지
**주말조황입니다.**
차조사님의 조황...
역쉬 낚시짱입니다.ㅋ
씨알 좋습니다.
박조사님의 술안주용 반찬거리들^^



대구 조사님팀의 씨알굿!!,마릿수 굿!!
60마리 가까이 잡으셨다 하시네요.
반갑습니다.욕지권,안장덕,좌사리 출조전문점 통영탑피싱입니다. 갯바위 낚시배를 시작한지 벌써 20년이 다 되었네요. 처음 시작한 마음처럼 언제나 조사님들의 목소리 귀담아 들으면서 열심히 하겠습니다.
|
|
|
|








