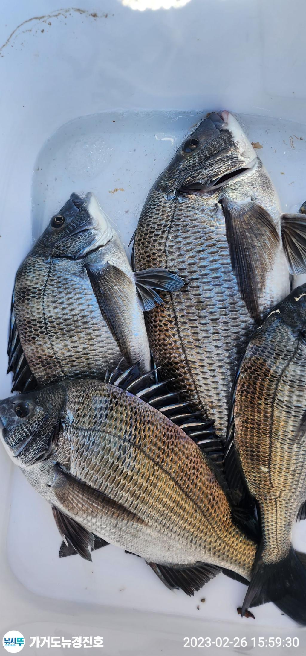
주의보 뒤 끝 감성돔 조황 입니다.

신상품 소개


회원 랭킹


공지사항


NaverBand
점주/선장 > 갯바위 조황
b_hot_activegloat_200x80.gif b_hot_innakmall_200x80_220704.jpg b_hot_ggsusan_hongeu_200x80.gif b_hot_innakmall_200x80_211203.gif

주의보 뒤 끝 감성돔 조황 입니다.

가거도경진낚시 0 404
● 출항지 : 무안,신안
F1991453HV.jpg낚시뚜에서 인낚으로 보내는 자동조황

당진 본전낚시 회원이신 김승한사장님외 여러 조사님 감성돔 조황 입니다.

가거도 뉴경진호 조황 소식입니다.

F1991453HV.jpgF19914520C.jpgF1991451JX.jpgF1991450OF.jpgF1991449EZ.jpg

가거도 뉴경진호 임선장 입니다.

연락처 : 010-4662-4534

 

가거도 갯바위 낚시 장르 

  감성돔,돌돔,농어,참돔

 

선상낚시

  갈치,우럭,열기,부시리 


홈페이지 예약 확인하기 ≫≫≫ Click


590
항구명가거도항
선박명가거도 뉴경진호
승객21명
출조해역가거도,가거초
100
임종재 선장


0 댓글
포토 제목
 
 

인낚 최신글


인낚 최신댓글


온라인 문의 안내


월~금 : 9:00 ~ 18:00
토/일/공휴일 휴무
점심시간 : 12:00 ~ 13:00