척포)최선장~주말 4짜 감시와 참돔~~
01월 25일(일)
인낚 현재접속자
2,695명 (
144
)
공지사항
인낚도서관
점주선장전용 공지사항
로그인
광고/제휴 문의
운영진에게
인낚ㅣ인터넷바다낚시
0
어종별선상
어종별갯바위
낚시인조황
점주선장조황
출조정보
낚시광장
낚시지식인
낚시교실
중고장터
휴게실
인낚도서관
인낚몰
0
어종별선상
4대돔 조황
먹물 조황
갈치 조황
볼락&전갱이
빅게임 지깅&파핑
외줄&외수질
기타 어종
어종별갯바위
4대돔 조황
먹물 조황
갈치 조황
볼락&전갱이
농어&삼치&방어&부시리
기타 어종
낚시인조황
낚시인 번개조황
낚시인조행기
스탭조행기
우리낚시동호회이야기
전국낚시동호회소개
동호회갤러리
지난 조황자료보기(년도별 조황 자료)
점주선장조황
전국 실시간 조황
선상(배)+좌대 조황
갯바위+방파제 조황
점주선장전용 공지사항
지난 조황자료보기(년도별 조황 자료)
출조정보
낚시인동행출조
점주선장 갯바위 출조
점주선장 선상출조
기상파고정보(기상청)
해상예보
물때표
파고예보(일본)
실시간해양관측예보
스마트조석예보
낚시광장
낚시계뉴스
대회 및 낚시관련 홍보
제품평가단
신상품소개
낚시지식인
Q&A 묻고 답하기
지식인 베스트
조황/포인트 문의
낚시용품 사용기
낚시투표
토론방
新어류도감
낚시교실
낚시기법소개
어종별 낚시교실
입문자교실
중급자교실
낚시용어사전
중고장터
중고장터 이용후기
더치트 사기피해 검색
팝니다
삽니다
교환합시다
무료로 드립니다
부품팝니다
부품삽니다
일반 생활용품 사고 팔기
휴게실
출석부
낚시갤러리
세상사는 이야기(자유게시판)
낚시이야기 마당
먹고사는 이야기
구인구직
칭찬합니다
어째이런일이
습득물 찾기
인낚도서관
인낚 유튜브
인낚 칼럼
블루, 그것이 알고싶다
더블테일의 두 눈으로 보는 세상
입질의추억의 피싱다이어리
나無의 바다 이야기
전문강좌
海巖의 바다낚시 이야기
이성규의 전유동낚시 강좌
조성민의 금요루어클럽
메인
어종별선상
어종별갯바위
낚시인조황
점주선장조황
출조정보
낚시광장
낚시지식인
낚시교실
중고장터
휴게실
인낚도서관
인낚몰
0
점주/선장 >
갯바위 조황
회원가입 ▶ 점주선장 승급신청 ▶ 승급완료 ▶ 조황글 작성
척포)최선장~주말 4짜 감시와 참돔~~
척포최선장
0
346
2023.02.26 22:42
● 출항지 : 통영
● 출조인원 : 6~10명
~~척포)최선장호 사무실 입니다~~
주 소
~통영시 산양읍 척포길 193~7
구주소
~통영시 산양읍 미남리 203~2
척포)최선장
~010~4581~5222
사무실
~055~646~3084
~~~출조하실 조우님들은
신분증 지참은 필수이오니
참고 바랍니다~~~
~~~갯바위에서도 구명조끼는
입어야 하오니 필히 구명조끼는
입고 오시길~~~
척포 최선장 조황은~~~
~~내만~준 내만권입니다~~
***
~원도권이 아닙니다~
***
척포 최선장의 주요 출조지~~
내 만
; 혈도~진작지~학림~오곡~
연대~저도~송도 등등~
준내만
; 비진도~용초도~부지도 등등~
~ 출조하실 조우님들은 참고 하시길 ~
~~***
주말에는 정원(???) 관계로
예약은 필수입니다
***~~~
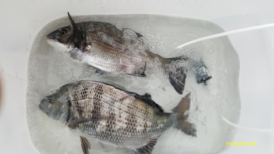
~~~~~~조 황 소 식 ~~~~~~~
2023년 02월 26일
~~ 주말 4짜 감시와 참돔
소식
~~
(내일은 개인적인 일로 인하여
출조를 못하고 화요일부터는
정상 출조 해 볼랍니다~)
주말~~몇분의 조우님들께서
감시 출조를 하셨구요~~
4짜로 손맛보고 오신 조우님도
계시구요~~
참돔으로 손맛보셨다고 사진
보내주신 조우님도 계시네요~~
이 시기에 이런 잔넘(30 전후~??)들이
올라오냐는 조우님은
모두 방생하시고 오셨구요~~
간만에 감시다운 넘으로
얼굴을 보니 기대를 갖게 만든
주말이었네요~~
조황을 안 올려도 날씨만 좋으면
출조는 계속 됩니다~
출조하실 조우님은 전화로
문의 하시구요~~
출조하실 조우님들은
미리 미리 전화 예약 하시고
찾아 주시길~~
~~
척포 최선장호를 찾아 주시는
조우님들은 승선전에 필히
선명을 확인 후 승선 하시길
선명=
"척포 최선장"
입니다
~~
***
~~척포 최선장은
혼자
는
야영 출조를 하지 않습니다~
혼자
는 위험하니
두분이서 오세요~~
***
0
신고
목록
글쓴이
2
1
Lv.9
척포최선장
프리미엄회원
123,269 (84.8%)
척포최선장 입니다 여러분의 출조길을 안전하게 책임지겠습니다
12.31
척포)최선장~밤뽈~학꽁치 쿨러들로~~
12.31
척포)최선장~대물 5짜들(54,53,51,50)외 4짜중,후반으로~~
12.28
척포)최선장~학꽁치 쿨러,쿨러로~밤뽈도~~
12.27
척포)최선장~씨알급 학꽁치 만쿨~쿨러조황~~
12.27
척포)최선장~대물은 팅~팅~4짜후반외~~~
0
댓글
로그인한 회원만 댓글 등록이 가능합니다.
×
Image Upload
로그인한 회원만 등록가능합니다.
포토
제목
이름
날짜
[거제] 지세포거제바다낚시
출항지 : 거제 / 출조지 :
거제바다낚시
783
2023.08.22
거제바다낚시
2023.08.22
[고흥,녹동] [창성호] 금 토 일 초도 거문도 갯바위 출동합니다~~(선상낚시…
출항지 : 고흥,녹동 / 출조지 :
녹동창성호
673
2023.08.22
녹동창성호
2023.08.22
[통영] 국도)야영댕기왔습니다(밤12시)출항..
출항지 : 통영 / 출조지 :
흑룡피싱
1267
2023.08.22
흑룡피싱
2023.08.22
[통영] 좌사리도...부시리,다터지고,뻰찌,긴꼴 부진..
출항지 : 통영 / 출조지 :
통영나드리호
1059
2023.08.22
통영나드리호
2023.08.22
[통영] 척포[제일호] 참돔~~마릿수 판떼기 조황~~~
출항지 : 통영 / 출조지 :
척포제일호
990
2023.08.22
척포제일호
2023.08.22
1
[고흥,녹동] 풍남 대성스타호, 내만권 갯바위 마릿수 감성돔! 매일 출조!
1
출항지 : 고흥,녹동 / 출조지 :
풍남대성스타호
544
2023.08.22
풍남대성스타호
2023.08.22
[통영] 좌사리]돌돔급벤찌,참돔,부시리,무늬조황입니다.(뱜12시출항합니다…
출항지 : 통영 / 출조지 :
통영탑피싱
997
2023.08.22
통영탑피싱
2023.08.22
[통영] 좌사리도] 깔끔합니다. 팁런무니무니~~
출항지 : 통영 / 출조지 :
통영열바다낚시
892
2023.08.22
통영열바다낚시
2023.08.22
[부산] 가덕대항낚시[야영/갈치]조황입니다.
출항지 : 부산 / 출조지 :
가덕도대항낚시선장
906
2023.08.22
가덕도대항낚시선장
2023.08.22
[부산] 만남피싱갈치갯바위야영조황입니다
출항지 : 부산 / 출조지 :
가덕도만남낚시
855
2023.08.22
가덕도만남낚시
2023.08.22
[거제] {구을비도. 매물도. 용초권} "긴꼬리" 41cm 외 ....
출항지 : 거제 / 출조지 :
거제가자피싱랜드
1952
2023.08.22
거제가자피싱랜드
2023.08.22
[거제] [구을비,매물도]~"키로급 무늬외마리수/뺀지,벵에마리수~"
출항지 : 거제 / 출조지 :
거제명성호
1421
2023.08.21
거제명성호
2023.08.21
[부산] 가덕새바지낚시 감성돔&뱅에돔조황
출항지 : 부산 / 출조지 :
가덕새바지낚시
1260
2023.08.21
가덕새바지낚시
2023.08.21
[거제] 지세포거제바다낚시
출항지 : 거제 / 출조지 :
거제바다낚시
734
2023.08.21
거제바다낚시
2023.08.21
[거제] 해금강 벵에돔이랑 무늬오징어
출항지 : 거제 / 출조지 :
해금강태성낚시
705
2023.08.21
해금강태성낚시
2023.08.21
초기화
날짜순
조회순
검색
411
412
413
414
415
Search
검색대상
제목
내용
제목+내용
회원아이디
회원아이디(댓글)
글쓴이
글쓴이(댓글)
또는
그리고
검색어
필수
검색
닫기
검색조건
제목
내용
제목+내용
회원아이디
회원아이디(코)
글쓴이
글쓴이(코)
검색어
또는
그리고
검색
인낚몰 초특가
MAEK 맥 호래기 대바늘 호래기콕 J타입 (카본바디 2입)
어부공방 NEW 호래전
야마시타 SB 호래기 대바늘
★3,000★ 하야부사 6단 볼락 전갱이 카드채비 SD724 볼락채비
★1,000★볼락낚시에 최적인 메바트로볼 - 캐스팅볼, 메바볼
★13,000~★3NO 일본 오리지날 직수입 극강 멀티 무광 마크사 원줄
★500★ W쿠션 멀티 수중찌 M L - 전유동 반유동 끄심바리 필수품 수중쿠션
★5,900★ 여러개 있으면 아주 좋은 EVA 시스템 백
★ 1+1 플로팅, 세미, 카본 낚시줄 행사 호수선택가능 / 택상 1+1 원줄, 목줄 행사
★6,000★ 예민함의 끝판왕 애니원찌 벵에돔찌 학공치찌
★15,000★ 오동목 구멍찌 5개 + 메쉬 찌케이스 세트
★22만원★ 40W 집어등을 이 가격에!