![]() |
|
![]() |
![]() |
1년연중 기상만 허락하면 매일 좌사리 출항을 하는통영탑피싱입니다.
동절기 대상어종: 대물참돔,감성돔,뽈락
하절기 대상어종: 돌돔,참돔,벵에돔,농어,부시리
탑은 좌사리를 기점으로 하여 여름좌사리,겨울내만부터~욕지권전역
★꼭 숙지하시길 바랍니다.★
1.신분증 필히 챙기세요. 미소지시 승선불가
2.구명복 필히 착용하세요. 미착용시 과태료 100만원
3.선내음주금지 적발시 벌금 100만원
**출조시간안내**
☞12월9일(토)새벽4시,오후1시(야영)
☞12월10일(일)새벽3시
(출항시간은 변동될수 있습니다.문의는 ☎)
반갑습니다. 살빠질 예정인 백곰 박철민입니다.
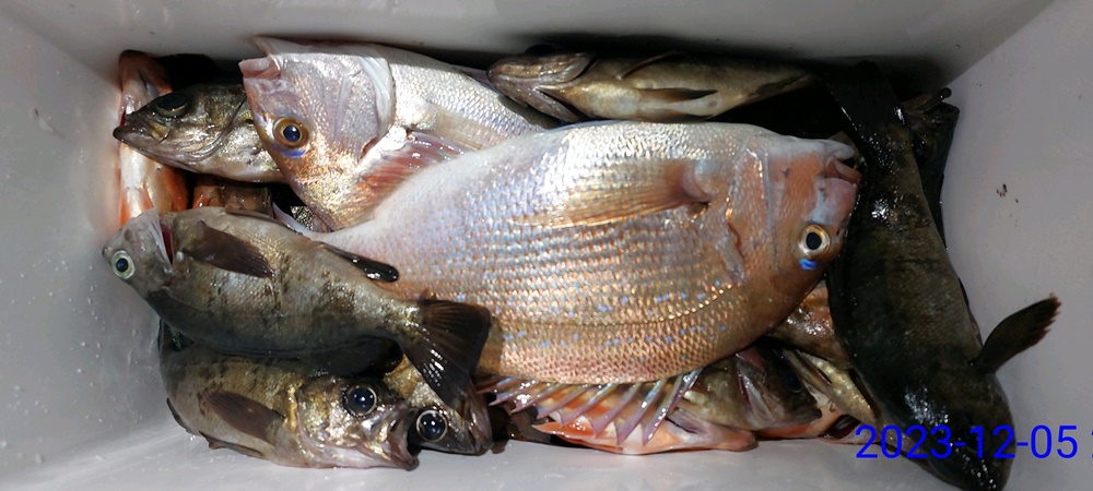
어제 2포인터 모시고 좌사리 다녀왔습니다.
참돔,4짜벵에 얼굴보고
바람 터지기전에 철수했습니다.
수고 많으셨습니다.
내일까지는 기상불량으로 쉬고
토욜부터 정상 출항합니다.
수온이 떨어지면서 대물감성돔,참돔들이 움직이기 시작했습니다.
채비는 튼튼히 준비해 주시고
새벽녘 해가 뜨기 직전에 큰 입질들이 많이 들어온다고 합니다.
이 점 다들 참고 하세요.
날씨가 무척 춥습니다.
옷 따뜻하게 입으시고
예약은 미리미리 부탁드리며
많은 조사님들의 문의 전화 바랍니다.
항상 최선을 다하는 탑이 되겠습니다.
♥철수후에 따뜻한 어묵탕 준비되어 있으니
가게에 오셔셔 드시고 가십시요.♥
▶새벽과 낮의 기온차가 많이 납니다.
출조시 따뜻한 겉옷과 먹거리 준비하셔서
즐거운 낚시 하시길 바랍니다.◀
☞선비안내☜
▶욕지권:6만원
▶좌사리권:6만5천원
(야영비는 없습니다.)
★큰놈들이 움직이기 시작하는지 터지신 분들이 늘어납니다.!!
채비와 목줄관리 잘 하셔야겠습니다.!!★
★잡어가 많으니 대체 미끼 다양하게 준비하시길~★
★조황이 안올라가더라도 주의보 아닌 이상 매일 출항합니다.★
★위 출항시간 외에도 출조인원이 6명 이상일때는 원하는 시간에 출조.철수가 가능합니다.★
**출조문의**
010-4544-1141(선장) 010-9311-5220(사모)
**통영탑피싱 위치 안내**
통영시 산양읍 연명길 36번지
**화욜 뽈락 선상 다녀왔습니다.**
반갑습니다.욕지권,안장덕,좌사리 출조전문점 통영탑피싱입니다. 갯바위 낚시배를 시작한지 벌써 20년이 다 되었네요. 처음 시작한 마음처럼 언제나 조사님들의 목소리 귀담아 들으면서 열심히 하겠습니다.
|
|
|
|
















