풍남 대성스타호, 내만권 갯바위 감성돔 매일 출조!

신상품 소개


회원 랭킹


공지사항


NaverBand
점주/선장 > 갯바위 조황
b_hot_activegloat_200x80.gif b_hot_innakmall_200x80_220704.jpg b_hot_ggsusan_hongeu_200x80.gif b_hot_innakmall_200x80_211203.gif

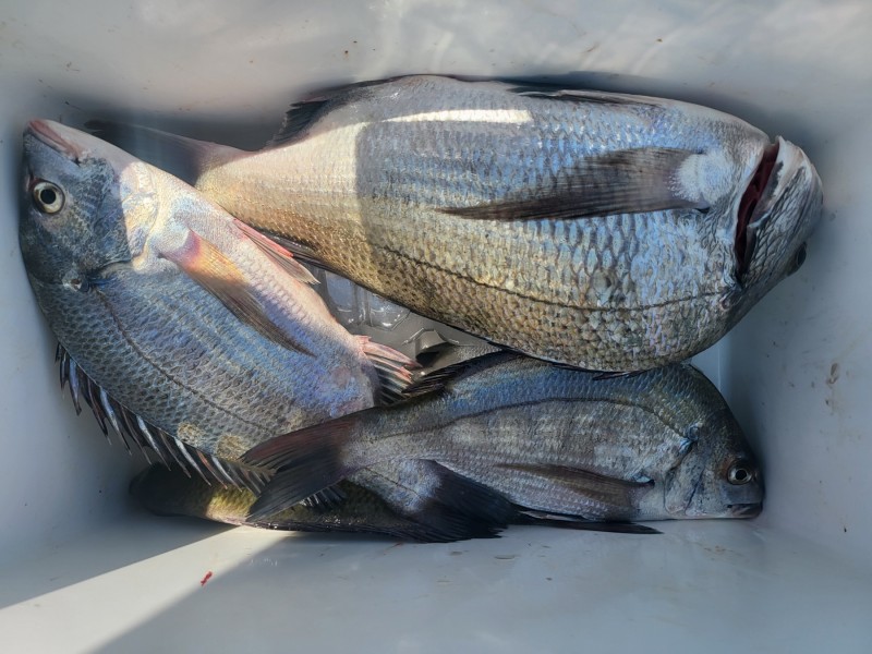
풍남 대성스타호, 내만권 갯바위 감성돔 매일 출조!

풍남대성스타호 0 334
● 출항지 : 고흥,녹동

8c613d1fcf250abb2abf37db7e6556a5_1692944856_0074.jpg


안녕하세요

고흥 풍남 대성스타호입니다


오늘도 변함없이

대성스타호의 뱃고동은 울렸습니다



831389045d32f921677013419e422a17_1692944875_802.jpeg



8c613d1fcf250abb2abf37db7e6556a5_1692944876_5544.jpg



8c613d1fcf250abb2abf37db7e6556a5_1692944877_1913.jpeg



8c613d1fcf250abb2abf37db7e6556a5_1692944878_2632.jpeg



 




오늘도 함께 해 주신

모든 조사님들 고생 많으셨습니다


내일도 변함없이

대성스타호의 뱃고동은 울립니다


날씨가 많이 더우니 얼음 꼭 챙겨오세요^^


010 4622 3652


ㅡㅡㅡㅡㅡㅡㅡㅡㅡㅡㅡ


갯바위 밑밥 안내


새우4 파우더2 압맥2 백크릴1 ㅡ 30,000원


고정 금액과 고정 수량으로 예약받고 있습니다

전날 오후 6시까지 문의 바랍니다^^


ㅡㅡㅡㅡㅡㅡㅡㅡㅡㅡㅡ


8c613d1fcf250abb2abf37db7e6556a5_1692944892_5995.png



8c613d1fcf250abb2abf37db7e6556a5_1692944892_9391.png




 

0 댓글
포토 제목
 
 

인낚 최신글


인낚 최신댓글


온라인 문의 안내


월~금 : 9:00 ~ 18:00
토/일/공휴일 휴무
점심시간 : 12:00 ~ 13:00