![]() |
|
![]() |
![]() |
*No.1호/퍼스트호 27일 월요일 추자도 조황입니다*출조문의 010-5159-5353
밴드 : https://band.us/@no1fish
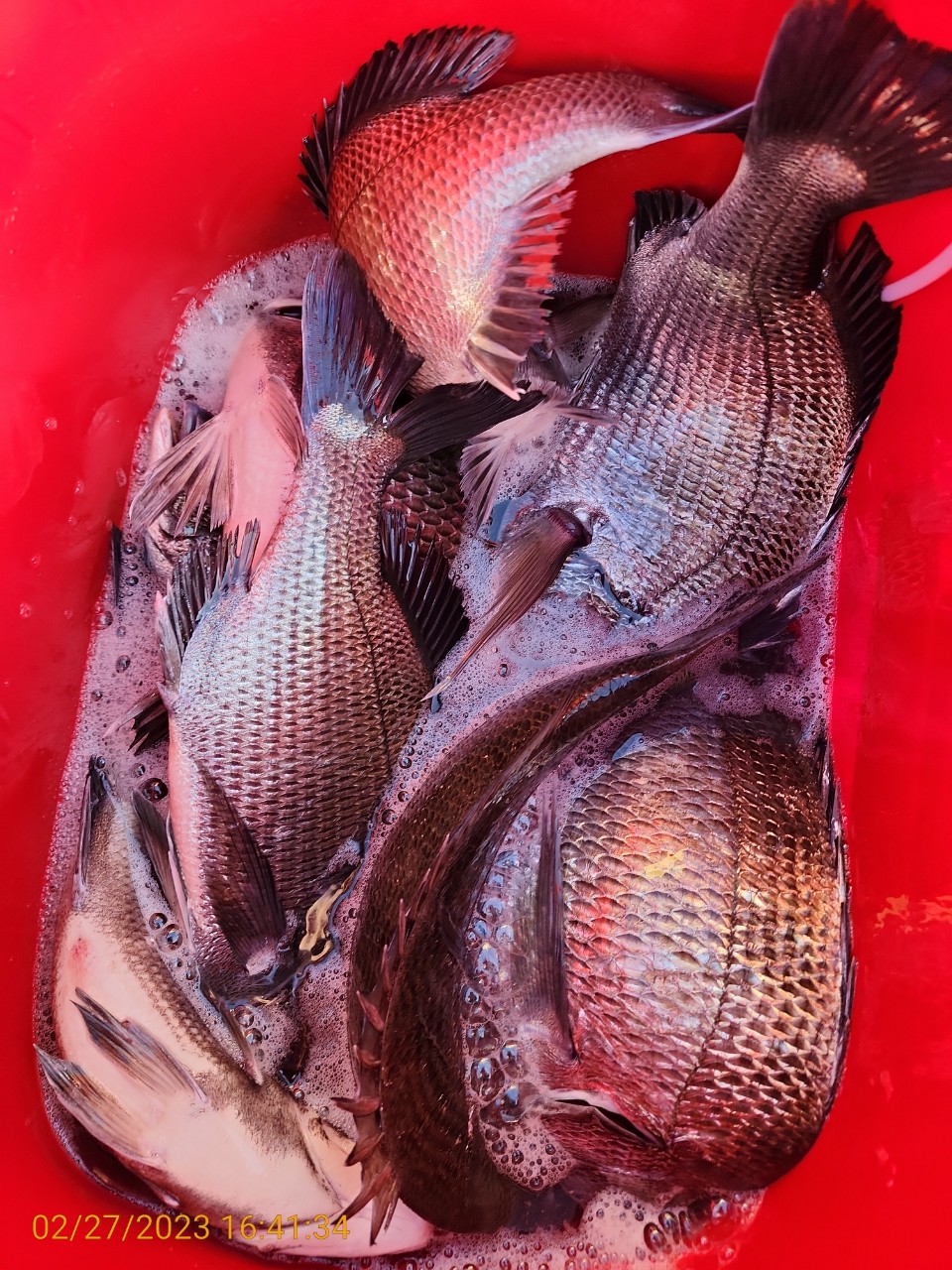
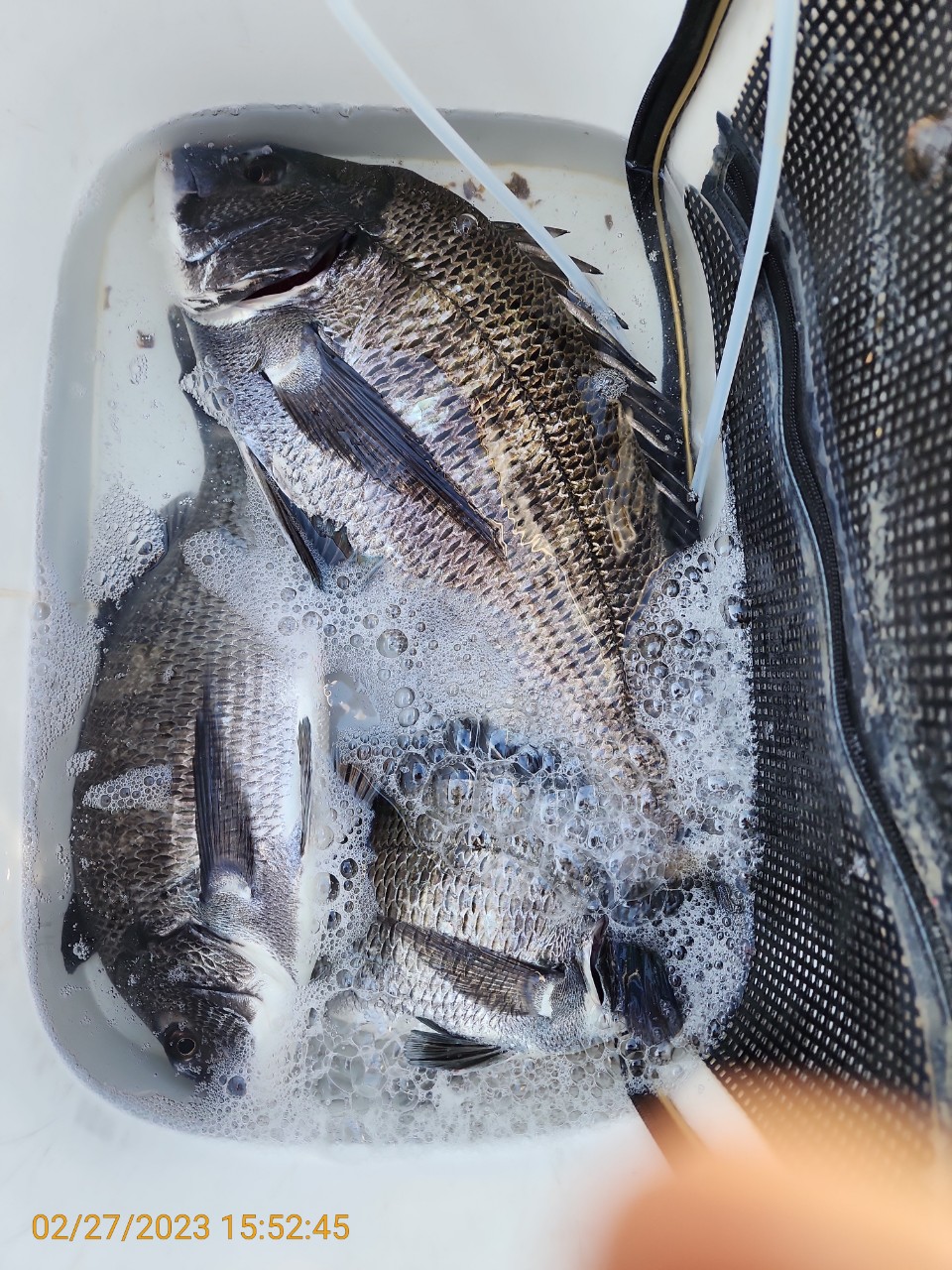
NO.1퍼스트 2월27일 월요일 추자군도 갯바위
조황입니다~~!!
저번주부터 조황이 살아나기 시작하더니 물색이 탁해지고
수온도 13도전후로 쭈욱~ 유지되고 날씨까지 좋아서
여지없이 5학년들이 나와주네요~ 오늘물때가 약해서 대물들
얼굴보기 힘들지 않을까 했는데 부부조사님 오셔서 사모님이
본류낚시로 기록고기잡으셨네요.
그외 거의 전 포인트 감성돔 나와주었고 58.5cm 55cm
4짜후반 다수~ 많이나온곳은 10마리가까이 나왔습니다.
이번주 수요일지나서 살아나는 물때에 제대로 터질거 같습니다.
현재 야영팀들 5짜 여러마리 나왔다고합니다 야영팀 조황은
내일 올리겠습니다.
NO.1 Fishing (사선) / First (종선) 운행중
사선과 종선을 운행하여 최고의 서비스와 포인트로 모시겠습니다.
추자도내 친절한 사장님과 깨끗한시설의 민박 이용도 가능합니다.
언제나 최선을 다하는 NO.1 First 입니다.
편안하고 안전하게 모시겠습니다.
감사합니다.
|
|
|
|






















