토요일/감성돔 조황!

신상품 소개


회원 랭킹


공지사항


NaverBand
점주/선장 > 갯바위 조황
b_hot_activegloat_200x80.gif b_hot_innakmall_200x80_220704.jpg b_hot_ggsusan_hongeu_200x80.gif b_hot_innakmall_200x80_211203.gif

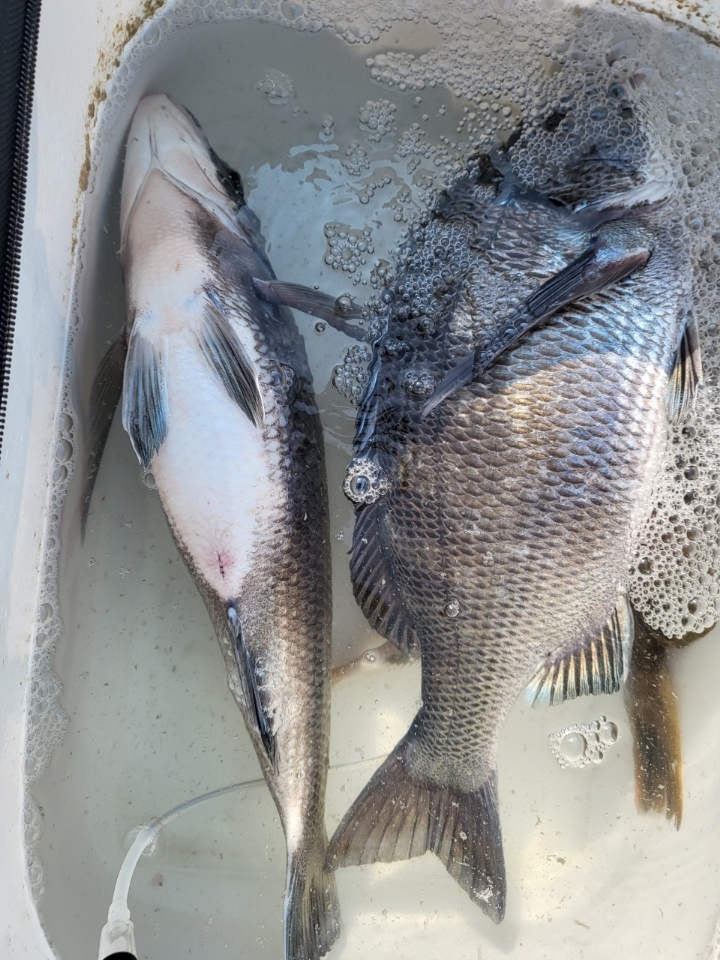
토요일/감성돔 조황!

고흥명성피싱호 0 398
● 출항지 : 고흥,녹동

"청정지역" 고흥 풍남항 방문을 환영합니다! 


​4일(토)장도권역 새벽출조 다녀왔습니다! 


출조 인원에 비해 씨알과 조황이 저조했네요!


꽃담바다 명성피싱호와 함께하여주신 조사님께 감사드리며,,,


5,6일(일,월)초도ro장도ro황제도 새벽출조 합니다!


연락주시면 친절히 안내해 드리겠습니다!

db535d4c3746ed61cc04d78db27b7dda_1677911991_197.jpg
문화체육관광부/한국관광공사/

고흥관광두레/공식지정업체 

♡명성피싱호 밴드에서 많은 소식을 보실 수 있습니다!

db535d4c3746ed61cc04d78db27b7dda_1677912033_1464.jpg

db535d4c3746ed61cc04d78db27b7dda_1677912044_8562.jpeg

db535d4c3746ed61cc04d78db27b7dda_1677912056_9022.jpg

db535d4c3746ed61cc04d78db27b7dda_1677912074_0115.jpg

db535d4c3746ed61cc04d78db27b7dda_1677912088_8725.jpg

db535d4c3746ed61cc04d78db27b7dda_1677912105_5178.jpg
















 

0 댓글
포토 제목
 
 

인낚 최신글


인낚 최신댓글


온라인 문의 안내


월~금 : 9:00 ~ 18:00
토/일/공휴일 휴무
점심시간 : 12:00 ~ 13:00