![]() |
|
![]() |
![]() |
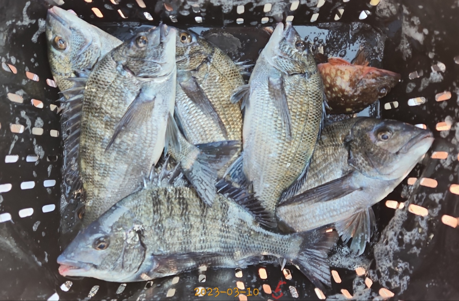
"감성돔" 50 50 48 46 43외 마리수 "굿"(벵에돔)감성돔 50 50 48 46 43외 마리수 "굿"(벵에돔)
금요일과 토요일 감성돔 조황입니다
해무가 엄청났던 출조 길이었으며ㆍ해무 영향으로 출조 길이 다소 힘들었던 부분도 있었고 ㆍㆍ
차가워진 수온으로 인해 별 조황을 기대하지 않았지만 ㆍ그래도 악 조건속에서도 덩치급과 중치급 마리수 조황을 보여주었습니다
구을비도 역시 해무로 인해 어려운 낚시가 이루어졌고 ㆍ긴꼬리와 일벵 낱마리 조황으로 마무리가 되었습니다
내일(월요일)은 예보가 바뀌어 저희 구역은 상당히 좋은 날씨가 예상이 되네요 ㆍㆍ참고
출조하신분 모두 수고 많으셨습니다
사진은 조과 중 몇 컷 올려드립니다
● 새벽 출조 이후 낮 출조는 매일 오전 10시 00분 집결 출조합니다ㆍ (출조 하루 전 예약 바랍니다)
●● 2023년 대물 감성돔 시즌 이벤트(2월13일 유효 한 부상 만 공지)
1. 56cm 이상ㆍ시마노 리미티드 밑밥통 1개 + 승선권 10매
2. 57.1cm 이상ㆍ(시즌 준 최대어 경신) 가마가츠 낚시대 치누 마스타 mh 1대
●●특전 출조●●
▶페키지 (숙박) 출조 안내(2인 이상 항시 가능)시간적 여유가 있는 분들께 추천
▶숙박(팬션 1박) + 식사 및 도시락 + 선비(2회)ㆍ일행분들 단독으로 숙소 사용
▶음주 및 기타의 사유로 다음 날 출조를 포기하셨도 환불은 없습니다(정원 및 예약제)
▶ 거제가자피싱랜드는 "배" 만 운영,,,,모든 것을 미리 준비해 오시기 바랍니다
▶"화장실"은 저희 사무실(출항지) 도착 전 300미터 지점에 있습니다,,,참고
▶네비주소...거제시 동부면 가배리 620-1
▶문의
010 4111 7369
010 3551 7369
거제가자피싱랜드입니다 주 출조 선박 뉴 바다세계호는 2024년 최 신조선으로 9.77톤이며 최고 속력 37노트 평속 23 - 27노트로 운항 출조지 1호ㆍ용초도. 죽도. 추봉도. 비진도 2호ㆍ구을비도 매물도로 주 출조하며 3호ㆍ간여 및 국도 출조
|
|
|
|




















