폴라리스)갯바위 감성돔 4짜외 출조조황입니다
인낚ㅣ인터넷바다낚시
어종별선상
어종별갯바위
낚시인조황
점주선장조황
출조정보
낚시광장
낚시지식인
낚시교실
중고장터
휴게실
인낚도서관
인낚몰
0
홈
어종별선상
어종별갯바위
낚시인조황
점주선장조황
출조정보
낚시광장
낚시지식인
낚시교실
중고장터
휴게실
인낚도서관
인낚몰
어종별선상
어종별갯바위
낚시인조황
점주선장조황
출조정보
낚시광장
낚시지식인
낚시교실
중고장터
휴게실
인낚도서관
인낚몰
어종별선상
어종별 선상조황
4대돔 조황
먹물 조황
갈치 조황
볼락&전갱이
빅게임 지깅&파핑
외줄&외수질
기타 어종
어종별 갯바위조황
4대돔 조황
먹물 조황
갈치 조황
볼락&전갱이
농어&삼치&방어&부시리
기타 어종
어종별갯바위
어종별 선상조황
4대돔 조황
먹물 조황
갈치 조황
볼락&전갱이
빅게임 지깅&파핑
외줄&외수질
기타 어종
어종별 갯바위조황
4대돔 조황
먹물 조황
갈치 조황
볼락&전갱이
농어&삼치&방어&부시리
기타 어종
낚시인조황
낚시인 번개조황
낚시인조행기
스탭조행기
우리낚시동호회이야기
전국낚시동호회소개
동호회갤러리
지난 조황자료보기(년도별 조황 자료)
점주선장조황
전국 실시간 조황
선상(배)+좌대 조황
갯바위+방파제 조황
점주선장전용 공지사항
지난 조황자료보기(년도별 조황 자료)
출조정보
낚시인동행출조
점주선장 갯바위 출조
점주선장 선상출조
기상파고정보(기상청)
해상예보
물때표
파고예보(일본)
실시간해양관측예보
스마트조석예보
낚시광장
낚시계뉴스
대회 및 낚시관련 홍보
제품평가단
신상품소개
낚시지식인
Q&A 묻고 답하기
지식인 베스트
조황/포인트 문의
낚시용품 사용기
낚시투표
토론방
新어류도감
낚시교실
낚시기법소개
어종별 낚시교실
입문자교실
중급자교실
낚시용어사전
중고장터
중고장터 이용후기
더치트 사기피해 검색
팝니다
삽니다
교환합시다
무료로 드립니다
부품팝니다
부품삽니다
일반 생활용품 사고 팔기
휴게실
출석부
낚시갤러리
세상사는 이야기(자유게시판)
낚시이야기 마당
먹고사는 이야기
구인구직
칭찬합니다
어째이런일이
습득물 찾기
인낚도서관
인낚 유튜브
인낚 칼럼
블루, 그것이 알고싶다
더블테일의 두 눈으로 보는 세상
입질의추억의 피싱다이어리
나無의 바다 이야기
전문강좌
海巖의 바다낚시 이야기
이성규의 전유동낚시 강좌
조성민의 금요루어클럽
인낚몰
홈소개
공지사항
자주 묻는 질문
운영진에게
광고/제휴문의
로그인
자동로그인
회원가입
|
정보찾기
신상품 소개
긱스 나노에이스
낚시고 미장구레 VIP 대본류 벵에돔 파우더
낚시고 위력 벵에돔 파우더
천류 카모 피싱백
천류 레자 피싱백
zzis 찌스 전자기울찌 호리존탈 전유동전용 출시!
회원 랭킹
48
1
목줄은내꺼
26
2
잡어바글바글
25
3
마루미르
19
4
긴꼬리벵에돔55
13
5
대부도1
13
6
김갈치
12
7
배팡
11
8
앵그리정
11
9
6짜긴꼬리
11
10
쌍칼라
10
11
포항대박이
10
12
리치망고제주
10
13
사냥꾼끝판대장
10
14
최리무진
10
15
벵병
10
16
화니이123
10
17
4계절벵에
9
18
페드로
9
19
감시밥줄
9
20
헤리티지
9
21
상석바위
9
22
수려한
9
23
시작하는채비와장비
9
24
신용대
9
25
모카사랑해
8
26
여조사
8
27
오사마리
8
28
아나구릉
8
29
진해숭어
8
30
거제그놈
8
31
큰아범
7
32
육짜방생
7
33
구을비도
7
34
시그니처latte
7
35
푸푸헐
7
36
도선사
7
37
검은바다
7
38
숲공
7
39
오또다
7
40
삼정그린토아
7
41
닉초이
6
42
여수태평양전동릴
6
43
감성사자
6
44
군산감생킬러
6
45
민쓰
6
46
플레져
6
47
무릅고배이
6
48
나무사랑쫑
6
49
싼도야
6
50
촌놈남해
6
51
부시리우스2022
6
52
cdas
6
53
쌩기똥기
6
54
경남미디어
6
55
망상어전문
6
56
윈드스토퍼
6
57
리시안
6
58
아티스트rla
6
59
새벽물때
6
60
압맥69봉지
6
61
벵창
6
62
짱규
5
63
바다낚시꾼의꿈
5
64
사하주민
5
65
타짜감시
5
66
Vora
5
67
백곰
5
68
부남대여tv
5
69
sss1185
5
70
히히히히히홀
5
71
번영
5
72
love
5
73
헛탕만
5
74
큰달메
5
75
랭부
5
76
보이는게다야
5
77
볼카짱짱짱
5
78
한국밑밥연맹
5
79
불꽃버디
5
80
흑푸
5
81
원투꾼89
5
82
녹아내리고
5
83
어릴적꿈
5
84
갯바위감성
5
85
어디로가지
5
86
가마인
5
87
2vs0
4
88
메론좋아
4
89
구레전과
4
90
짱구1
4
91
BB오빠
4
92
고독한김조사
4
93
66짱구
4
94
한마리왔따이
4
95
다이와MAN
4
96
김해장유아디다스
4
97
부산낚시터
4
98
크롬
4
99
창원GT
4
100
울트
공지사항
09.01
★ 2025년 9월 5일 사이트 리뉴얼 오픈 안내
06.09
★ "Connect Error: No such file or directory" 에러가 발생시
05.29
★ 카이퍼넷 방화벽 차단시 설정방법
07.03
★ 사이트 정상운영 ★ 24.07.03
06.19
★ 사이트 정상운영 ★ 24.06.19
06.17
★ 사이트 정상운영 ★
06.14
★ 서비스 일시정지 - 서버이전작업 ★
07.14
★ 112차 제품평가단 위촉 명단 발표
07.07
★ 112차 제품평가단모집 - 1차
11.01
★ 111차 제품평가단 위촉 명단 발표
점주/선장 >
갯바위 조황
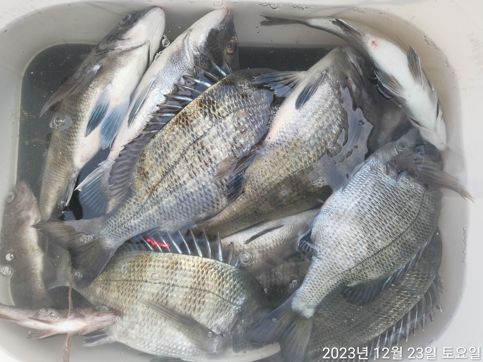
폴라리스)갯바위 감성돔 4짜외 출조조황입니다
폴라리스피싱
0
290
2023.12.23 18:20
● 출항지 : 통영
● 출조인원 : 6~10명
.
.
.
" 폴라리스피싱입니다 "
오늘 갯바위 감성돔 출조조황입니다
찾아주신 조사님들 모시고 여기저기로 폭 넓게다녀왔습니다
(오전,오후)
포인트마다 편차는 있었구요
감성돔 얼굴 구경하고올수있었습니다
계속해서 출조나가보겠습니다
궁금하신점은 언제든지 문의주시면되세요^^
출조하신 조사님들 수고하셨습니당 꾸벅!!!
0
신고
목록
글쓴이
2
0
Lv.10
폴라리스피싱
프리미엄회원
144,399 (96.8%)
항상안낚과 어복이충만하시길바라겠습니다^^
12.31
폴라리스)어제 갯바위 감성돔 출조조황입니다~내일도갑니다
12.29
폴라리스)평일 갯바위 감성돔 출조조황입니다
12.28
폴라리스)평일 갯바위 감성돔&볼락&전갱이 출조조황입니다
12.27
폴라리스)평일 갯바위 감성돔 4짜급 외 조황입니다~
12.26
폴라리스)야영 갯바위 감성돔 및 볼락조황입니다
0
댓글
로그인한 회원만 댓글 등록이 가능합니다.
×
Image Upload
로그인한 회원만 등록가능합니다.
포토
제목
이름
날짜
[부산] 고수낚시 고수호 내만 감성돔 조황입니다
출항지 : 부산 / 출조지 :
낫개고수낚시
336
2023.12.09
낫개고수낚시
2023.12.09
[여수,광양] 성빈호 12월 9일 출조다녀왔습니다.오짜감성돔!
출항지 : 여수,광양 / 출조지 :
여수성빈호
342
2023.12.09
여수성빈호
2023.12.09
[여수,광양] 전설해태호> 굿굿 마릿수 씨알 금오열도 감성돔 화끈한손맛 ,,,
출항지 : 여수,광양 / 출조지 :
여수전설해태호
366
2023.12.09
여수전설해태호
2023.12.09
[완도] 명성호 갯바위조황
출항지 : 완도 / 출조지 :
명성호
384
2023.12.09
명성호
2023.12.09
[통영] 팅팅팅속 48.47.44.43.35 감성돔 입니다.
출항지 : 통영 / 출조지 :
통영박가이드피싱
567
2023.12.09
통영박가이드피싱
2023.12.09
[고성] 욕지군도(대박 실시간) 6짜급 포획중~오후낚시中~고성섬낚시 조황…
출항지 : 고성 / 출조지 :
고성섬낚시
900
2023.12.09
고성섬낚시
2023.12.09
[부산] 만남피싱43외감성돔마릿수대박조황입니다
출항지 : 부산 / 출조지 :
가덕도만남낚시
474
2023.12.09
가덕도만남낚시
2023.12.09
[고흥,녹동] 9일/초도권,역만도 감성돔 조황입니다~(일욜 출항합니다)
출항지 : 고흥,녹동 / 출조지 :
풍남킹스타호
357
2023.12.09
풍남킹스타호
2023.12.09
[고흥,녹동] 토요일 초도권 조황 입니다.
출항지 : 고흥,녹동 / 출조지 :
고흥한바다2호
334
2023.12.09
고흥한바다2호
2023.12.09
[고흥,녹동] 초도군도 토요일 조황 입니다
출항지 : 고흥,녹동 / 출조지 :
고흥전국낚시호
217
2023.12.09
고흥전국낚시호
2023.12.09
[고흥,녹동] 토요일.. 초도권 출조 다녀왔습니다.
출항지 : 고흥,녹동 / 출조지 :
고흥풍남포인트호
253
2023.12.09
고흥풍남포인트호
2023.12.09
[여수,광양] 프린스호)주말 평온한속 안도권 감성돔 호조황
출항지 : 여수,광양 / 출조지 :
돌산프린스호
474
2023.12.09
돌산프린스호
2023.12.09
[여수,광양] (여수 자갈밭피싱) 54 대물 감성돔! 안도권 조황입니다
출항지 : 여수,광양 / 출조지 :
여수자갈밭피싱
508
2023.12.09
여수자갈밭피싱
2023.12.09
[통영] 연화도]4짜5짜감성돔,참돔즐낚중(낼새벽3시출항합니다.)
출항지 : 통영 / 출조지 :
통영탑피싱
787
2023.12.09
통영탑피싱
2023.12.09
[거제] 국도,소지도) 새벽4시 대물참돔,감성돔을대상어로 소지도경유 국도…
출항지 : 거제 / 출조지 :
거제국도낚시
512
2023.12.09
거제국도낚시
2023.12.09
[통영] 학꽁치 쿨러 조황입니다 내일 오전 7시 출조합니다
출항지 : 통영 / 출조지 :
통영삼덕삼성1호
576
2023.12.09
통영삼덕삼성1호
2023.12.09
[통영] 하누리호]욕지권 너울속 실시간 감성돔 소식(낼 새벽2시 출항)
출항지 : 통영 / 출조지 :
하누리피싱
636
2023.12.09
하누리피싱
2023.12.09
[해외] 12월 4일 조황
출항지 : 해외 / 출조지 :
피엔포인트
282
2023.12.09
피엔포인트
2023.12.09
[여수,광양] 내일 정상출항 합니다
출항지 : 여수,광양 / 출조지 :
씨울프피싱
256
2023.12.09
씨울프피싱
2023.12.09
[통영] 스타]욕지권 일요일 대물 감성돔 대상으로 03시 출항
출항지 : 통영 / 출조지 :
통영스타피싱
569
2023.12.09
통영스타피싱
2023.12.09
[고흥,녹동] 금요일 초도군도 조황 입니다
출항지 : 고흥,녹동 / 출조지 :
고흥전국낚시호
280
2023.12.09
고흥전국낚시호
2023.12.09
[통영] 대박호)주의보 뒤끝 5짜 실시간 팍팍
출항지 : 통영 / 출조지 :
통영대박피싱
919
2023.12.09
통영대박피싱
2023.12.09
[여수,광양] 12/9(토) 오늘 아침에 꾹꾹~손맛본 4짜와 감성돔입니다.
출항지 : 여수,광양 / 출조지 :
돌산낚시촌
369
2023.12.09
돌산낚시촌
2023.12.09
[통영] (바사남 노앙호) 뽈래기 "만쿨" 오늘도 출동합니다!!
출항지 : 통영 / 출조지 :
바다를사랑한남자
660
2023.12.09
바다를사랑한남자
2023.12.09
[거제] 대포권 조황
출항지 : 거제 / 출조지 :
거제방주호
990
2023.12.09
거제방주호
2023.12.09
[통영] 뽈락 전갱이조황입니다 오늘 오후 2시30분 4시30분 출조합니다
출항지 : 통영 / 출조지 :
통영삼덕삼성1호
658
2023.12.09
통영삼덕삼성1호
2023.12.09
[해외] 12월 7일 조황
출항지 : 해외 / 출조지 :
피엔포인트
344
2023.12.08
피엔포인트
2023.12.08
[통영] 좌사리/욕지]겨울 대물사냥 나가봅니다.(낼새벽4시출항합니다.)
출항지 : 통영 / 출조지 :
통영탑피싱
616
2023.12.08
통영탑피싱
2023.12.08
[부산] 가덕자유인낚시 감성돔 조황입니다.
출항지 : 부산 / 출조지 :
가덕도자유인낚시
992
2023.12.08
가덕도자유인낚시
2023.12.08
[부산] 가덕도월척낚시 감성돔 조황입니다
출항지 : 부산 / 출조지 :
가덕도월척낚시
725
2023.12.08
가덕도월척낚시
2023.12.08
초기화
날짜순
조회순
검색
31
32
33
34
35
36
37
38
39
40
Search
검색대상
제목
내용
제목+내용
회원아이디
회원아이디(댓글)
글쓴이
글쓴이(댓글)
또는
그리고
검색어
필수
검색
닫기
검색조건
제목
내용
제목+내용
회원아이디
회원아이디(코)
글쓴이
글쓴이(코)
검색어
또는
그리고
검색
인낚 최신글
16:33
12/30 돌문어 k급으로 손맛 굿~ 내일1자리~금,토,일요일예약가능
16:31
통영 금정호 대물 감성돔 카고 조황! 자리있습니다
16:31
통영 금정호 대물 감성돔 카고 조황! 자리있습니다
16:31
해돋이 대물 감성돔 잡으로 오세요 56cm 50cm 49cm 49cm
16:30
[장승포 기룡호] 대전갱이 조황입니다 :)
16:30
원도권돌문어 마릿수초대박치고~( 토,일~원도권예약가능
16:30
((밤뽈락ㆍ왕열기))간밤도 전원 큰놈들부터 쿨러만땅 토요일 오후2시 (예약가능
16:29
(감성돔)중치급들 외 대물 참돔떼 터지고 빠지고 우당탕탕 야호(1일 예약)
16:27
해돋이 1선단 참돔타이라바 2선단 왕열기 내일 06시 출항 예약가능
16:27
풍화리 선외기 52,51,48,48 대물감성돔 마리수 조황
16:25
감성돔 낚시 운용에 궁금한게 많습니다 ㅠ
16:25
((왕열기))내일 해돋이 왕열기 아침6시(예약가능
16:23
31일 감성돔 40여수로 마감했습니다.(새해 복 많이 받으세요) 이벤트 진행합니다.
16:20
감성돔(흘림)~4짜와3짜!21수!우당탕탕!마릿수짱(목,금,토,일예약가능)
16:20
먼바다 대포급 왕 오징어 먹물폭탄 오징어 조황 내일무조건 출항 자리여유많음
16:19
(흘림)감성돔떼 중치급들 피딩~마릿수 행진~대양호(2일 예약)
16:18
쭈꾸미 바람통에도 제법잡고 철수 해돋이 예약가능
16:17
열기볼락,왕씨알,9명전원만쿨,토요일부터 쭉 예약가능 대포오징어,금,토,일,월,화,수,쭉 예약가능
16:11
5짜 대물감성돔 풍화리 선외기 신성호
16:07
(흘림)부시리 방어 HIT~손맛을 넘어선 몸맛~용진호(1일 예약)
16:06
31/수/한 타임ㅡ올 해 마지막 시원한 겨울 먹삼치들!
16:05
31/수/한 타임ㅡ올 해 마지막 화끈한 겨울 먹삼치들 마릿수 조황!
16:05
먼바다 대포급 왕 오징어 먹물폭탄 오징어 조황 일요일부터 예약가능
16:03
(감성돔)해금강권 대물 시즌~빵빵한 4짜 손맛 신성호(1일 예약)
16:03
알주꾸미~내일(해맞이)~4자리여유~예약받습니다.
16:02
에이스 감성돔 ~^^
15:55
(문어)2,5K 빅원~원도권 굵은 공룡급들 속출~현서피싱(해돋이 출조)
15:52
[알쭈꾸미] 사이즈,마릿수 좋아요~!!(예약가능합니다)
15:50
올 한해 수고 하셨습니다.
15:49
마지막날 감성돔 조황 올립니다
15:46
NS 알바트로스 VS2 1.2-500
15:45
가마가츠 멀티플렉스 IV H500-600 미개봉직구
15:45
12/31 금오열도 감성돔 참돔 조황입니다.
15:42
Ns 갈치z에디션 낚시대
15:42
척포)최선장~덩치 4짜들과 학꽁치는 쿨러로~~
15:40
다이와 토너먼트 L-53 한국다이와정품
15:40
12/31 올해 마지막날 감성돔소식~~~~~!!!!!
15:38
문어(기록)4.7K 압도적 괴물 외 2.1K1.7K1.6K..K~고고피싱호(1일 예약)
15:38
마산 뉴에이스호의 2025년 마무리 인사드립니다.
15:36
#거제어구항 수성호#감성돔 등 금일조황
15:35
30일,출항<야간 낙지> 금,토,일 예약가능
15:31
(감성돔)대물 집중 공략 47Cm 외 4짜4짜4짜~젠틀호(4일 예약)
15:26
학꽁치 탈참 조황입니다 내일 오전 6시 출조합니다
15:25
흘림46외3짜총8수두분조황
15:25
30일 야간낙지 씨알급들 마릿수 쭉쭉 뽑고~!!(금,토,일 예약중)
15:22
구레경기4(1,5-50)
15:21
[여수 젠틀호] #감성돔선상 12.30 조황입니다.
15:21
[감성돔 흘림]4짜외 마리수 호조황!! 내일3명예약가능
15:17
(볼락)초초대박 피딩~20Cm 전후 전원 만만쿨 고고써니호(오늘 예약)
15:17
추자도 매일 출조합니다 (현지 종선 없음)
인낚 최신댓글
15:30
아랫사람이 아니라 낚시꾼들보고 ㄱㅅㄲ들이라 했다던데,
14:56
감사합니다
14:51
수류탄 에어펌프라고 검색하시면 나오는데 이거 사용해보세요! 낚시대 뒷부분이랑 에어펌프 주둥이랑 딱 맞고 바람…
12:53
오늘이 25년 마지막 날 행복한 낚시인들에게 26년 한해도 건강하시길~~~ 한 젖가락 올려봅니다 먼저 낚시대…
11:44
지금도 갯바위 너무 사랑합니다 ㅎㅎ 짐줄인다고 텐트없이 침낭이랑 먹을거만가지고 야영낚시 많이 다녔어요 이슬에…
11:29
저는 겨울에는 따뜻한 대마도가 젤좋은거같네요 후기감사합니다^^
11:29
저는 갠적으로 남녀보다는 오키노시마 일대 한번가보고싶은데 생각만하고있습니다. ㅎㅎㅎ
11:27
제지인들은 선상으로 많이 가지만 저는 아직도 갯바위가 더 매력적이네요. 팁런도 참 재밋어보이던데 도전해보고싶…
11:26
G5 참 좋은 낚시대 이죠 ㅎㅎ 긴꼬리 큰놈들 걸면 정말다이나믹하죠 후기 감사합니다 ^^
11:24
공감되는 말씀 이네요. 큰놈들은 챔질타이밍 바늘을 삼키고 안삼키고 로 잡느냐 놓치느냐 좌지우지 되는 어종이 …
10:52
1/2일이후 쭉~예약가능합니다
10:12
동행출조 마감입니다.
10:09
유튜버에서 말한다는 그분들은 현실감 때문이라도 많이 잡혀야하고 그런 때를 노려서 촬영 해야되 나름 공부 엄청…
10:06
덱스트랄이 19년 버젼이면 1.5호 구레f나 어텐더3 추천드리고 25년 버젼이면 1.2호 어텐더3이나 F추천…
09:51
제가 가파도서 잘 가지고 놀고있습니다 낚싯대는 어느거다 보다 사용후 내몸에 맞아야됩니다 다들 좋다는 이론이 …
08:25
토너ML 내만일벵 덱스 긴꼬리 추가한다면 구레스페셜F 1.5 50정도 생각해볼거 같습니다.
08:06
부시리 잡는 영상보고 땡기긴 하더군요 ~
06:12
가지고 있는걸로 봐서는 1.5나 1.75가 나을듯 한데 저도 중복투자많이 해 사고 판거만해도 ㅋ전 마스터모델…
06:07
저는 일벵으로 낚시 입문해서 그런가 긴꼬리 낚시를 더선호 합니다 감성돔도 가긴가지만 긴꼬리처럼 다이나믹하지 …
05:40
G5 1호50대 추천 드립니다
02:01
선장님이 마인드가 별로네여
00:48
아무리봐도 무리일것 같아 타협하고 2800EX로 갔네요 ㅜ.ㅜ
00:46
G5 추천합니다.. 토너2500 G5 초리대 섬세 조절이 가능 감성돔 낚시 필수입니다 릴 3호줄 항상 언제나…
00:20
구레스페셜 F 1.2 50대로 참돔 7자급까지 잡아내시는거 유튜브 영상에 있더군요
00:12
한분이라도 정성껏 모신다더니.. 2번. 갔는데..2번 모두 갈때 마다 기다리라 30분 기다리다 짜증나서 새바…
00:09
레마레보다 더강한대 쓸려면 5호대금 강철이나 레마레BG써야 하는데 그거는 진짜 본격적인 빅게임 전용이구요 한…
12.30
ㅋㅋㅋㅋㅋㅋㅋㅋㅋㅋㅋㅋㅋㅋㅋㅋ
12.30
굳건히가는분들도대단
12.30
한곳 포인트 사진으로 3개나 찍고 선장 성격 장난아님...돈쓰고 선장한테 말못하는 스포츠 낚시 진짜 짜증..…
12.30
가마는 3줄부터 진심이라 생각합니다. 마스터모델2 g5 어텐더3 셋중에서 가장 신상 어텐더3 추천하고갑니다.
12.30
저도 감성돔으로 낚시입문했고 지금은 긴꼬리벵에돔 낚시도자주가는편입니다 처음입문했을때 맨땅에 헤딩하는식으로 하…
12.30
@별공간 감사합니다
12.30
12.30
선상 8 갯바위 2이고 감성돔만 하신다니 위에 두대로 선상하시고 갯바위에서 사용하실 감성돔 전용대 마스터모델…
12.30
현재 라인업을 보면 1.5~1.7호 마스터모델2 미장m50추가하면 딱 좋을거같은데 감시낚시만 하신다니 구태m…
12.30
정신차림? 못차림?
12.30
31일 수요일 취소1자리 있습니다.. 연락주세요~
12.30
레마레6 빠따까지 넘어가서 구경도 몬해보고 터진걸 직관해봤는데 레마레라고 무적이 아니구나라고 느꼇습니다. ㅋ…
12.30
▶작성자 본인에 의해 삭제된 댓글입니다.(삭제일시 : 2025-12-30 19:44:44)
12.30
직수 업제에 알아봤더니 테스트용이라고 합니다 내년에 나올 것 같네요
12.30
잘생긴건 고기만이 아니..ㅋㅋ 추워도 다시 한번... 마지막 출조를 꽝조사와 함께!!
12.30
사랑해요~~ ㅋ
12.30
낼도 당찬 손맛 보실분 연락주세요 감사합니다
12.30
31일 거제대어 선외기대여 선단 감성돔낚시 예약됩니다
12.30
1/2 예약가능 합니다
12.30
십년넘게 온리 갯바위파였는데 나이들고 살찌니까 갯바위도 힘들고 땡볕에 벵에도 못하겠고 ㅎㅎ 겨울엔 감시선상,…
12.30
31일 원도권 돌문어낚시 예약 가능합니다. 감사합니다.
12.30
31일 거제도권 감성돔 어초여밭 흘림낚시 예약가능합니다. 감사합니다.
12.30
31일 거제도권 감성돔 어초여밭 흘림낚시 예약가능합니다. 감사합니다.
12.30
31일 내일 주간 야간 문어낚시 예약가능합니다. 감사합니다.
온라인 문의 안내
*운영진에게 문의
*광고/제휴 문의
월~금 : 9:00 ~ 18:00
토/일/공휴일 휴무
점심시간 : 12:00 ~ 13:00
인낚몰 초특가
★3,000★ 하야부사 6단 볼락 전갱이 카드채비 SD724 볼락채비
★1,000★볼락낚시에 최적인 메바트로볼 - 캐스팅볼, 메바볼
★13,000~★3NO 일본 오리지날 직수입 극강 멀티 무광 마크사 원줄
★500★ W쿠션 멀티 수중찌 M L - 전유동 반유동 끄심바리 필수품 수중쿠션
★5,900★ 여러개 있으면 아주 좋은 EVA 시스템 백
★ 1+1 플로팅, 세미, 카본 낚시줄 행사 호수선택가능 / 택상 1+1 원줄, 목줄 행사
★6,000★ 예민함의 끝판왕 애니원찌 벵에돔찌 학공치찌
★15,000★ 오동목 구멍찌 5개 + 메쉬 찌케이스 세트
★22만원★ 40W 집어등을 이 가격에!
★5,000★ 전층쿠션 15세트입 S / L 사이즈
★2,000★ 전층쿠션 5세트입 S / L 사이즈
★10,000 미니집어등5개 + 425배터리 1개 + 스토퍼고무 10개