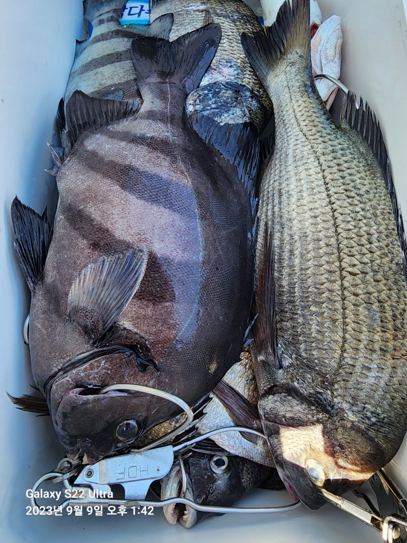
토/돌돔,감,참,뺀지 마릿수 조황!

신상품 소개


회원 랭킹


공지사항


NaverBand
점주/선장 > 갯바위 조황
b_hot_activegloat_200x80.gif b_hot_innakmall_200x80_220704.jpg b_hot_ggsusan_hongeu_200x80.gif b_hot_innakmall_200x80_211203.gif

토/돌돔,감,참,뺀지 마릿수 조황!

고흥명성피싱호 0 408
● 출항지 : 고흥,녹동

청정지역!고흥풍남항!꽃담바다 명성피싱호와 함께 하세요! 


☆9일(토)초도권전역 새벽출조 다녀왔습니다!


야영팀과 당일철수팀 조황 입니다!돌돔과 감,참,뺀지가 마릿수로 나왔네요!


꽃담바다 명성피싱호와 함께하여주신 조사님께 감사드리며,,,,


바다기상 예보상,,,

☆11~13일(월,화,수)계속해서 초도권전역 새벽출조 합니다!

(기상허락시 야영 및 민박가능)


출조관련하여 연락주시면 친절히 안내해 드리겠습니다!

9cfc9668bb2de869709692365dcccce3_1694284296_1643.jpg

문화체육관광부/한국관광공사 
고흥관광두레/공식지정업체 
법인(유) 꽃담바다 명성피싱호 

♡명성피싱호 밴드에서 많은 소식을 보실 수 있습니다!
9cfc9668bb2de869709692365dcccce3_1694284488_6045.jpg

9cfc9668bb2de869709692365dcccce3_1694284511_5352.jpeg

9cfc9668bb2de869709692365dcccce3_1694284527_4967.jpg

9cfc9668bb2de869709692365dcccce3_1694284541_8132.jpg

9cfc9668bb2de869709692365dcccce3_1694284555_7927.jpg

9cfc9668bb2de869709692365dcccce3_1694284575_053.jpg

9cfc9668bb2de869709692365dcccce3_1694284595_9025.jpg

9cfc9668bb2de869709692365dcccce3_1694284610_5415.jpeg

9cfc9668bb2de869709692365dcccce3_1694284628_0578.jpg

9cfc9668bb2de869709692365dcccce3_1694284648_562.jpg

9cfc9668bb2de869709692365dcccce3_1694284670_8238.jpg

9cfc9668bb2de869709692365dcccce3_1694284691_4851.jpg

9cfc9668bb2de869709692365dcccce3_1694284715_4632.jpg



























 

 


 

0 댓글
포토 제목
 
 

인낚 최신글


인낚 최신댓글


온라인 문의 안내


월~금 : 9:00 ~ 18:00
토/일/공휴일 휴무
점심시간 : 12:00 ~ 13:00