글로리호 조황입니다

신상품 소개


회원 랭킹


공지사항


NaverBand
점주/선장 > 갯바위 조황
b_hot_activegloat_200x80.gif b_hot_innakmall_200x80_220704.jpg b_hot_ggsusan_hongeu_200x80.gif b_hot_innakmall_200x80_211203.gif

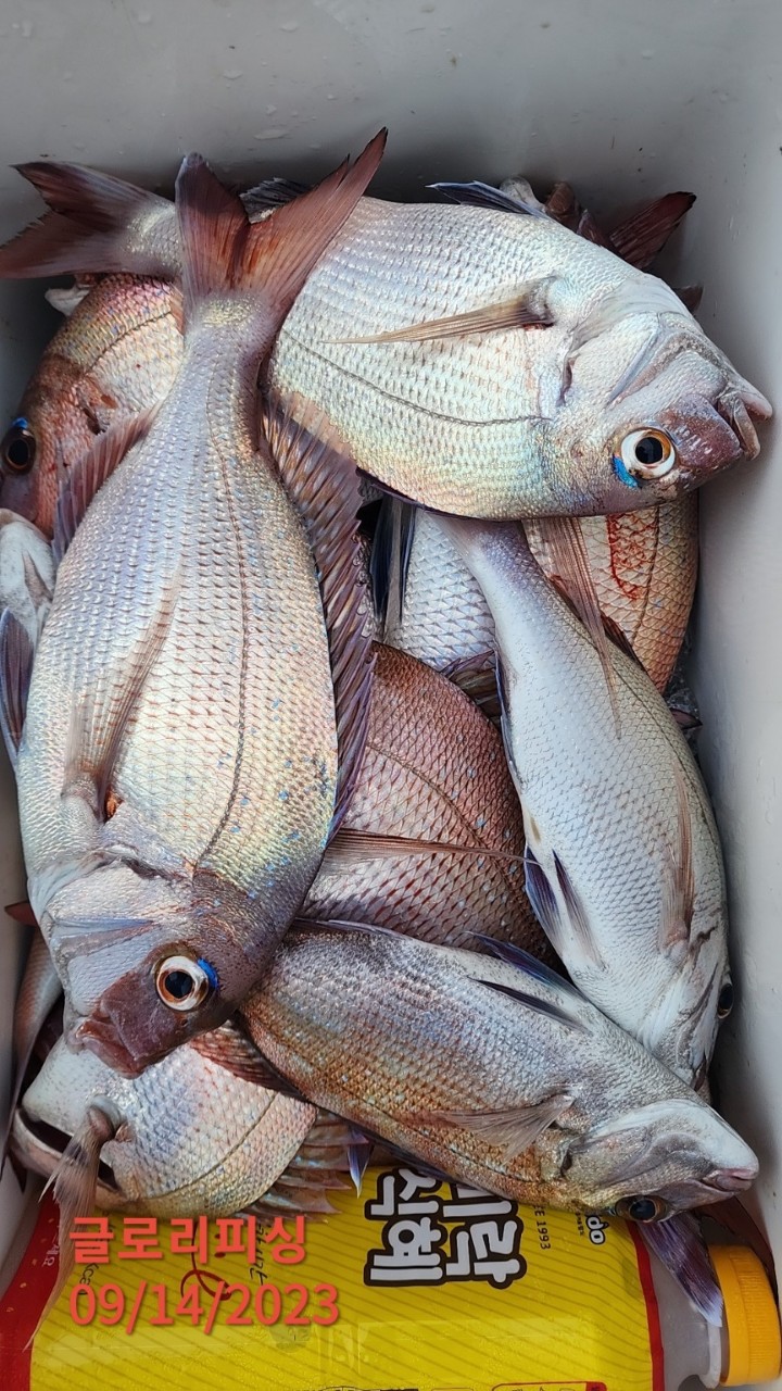
글로리호 조황입니다

글로리피싱 0 509
● 출항지 : 여수,광양

f1151b3b8b73251e3a7eb127c1d9d5ea_1694668277_6373.jpg


 





광도 철수길 입니다.모든 포인트에서 손맛을 보셨네요.

감성돔도 좋은 씨알들이 같이 나옵니다.바다가 많이 뒤집어 지네요.

내일은 먼 바다 기상악화로 내만 갯바위 감성돔과 참돔 선상을 진행합니다.

 







f1151b3b8b73251e3a7eb127c1d9d5ea_1694668563_7937.jpeg



f1151b3b8b73251e3a7eb127c1d9d5ea_1694668563_9711.jpeg



f1151b3b8b73251e3a7eb127c1d9d5ea_1694668564_2171.jpeg



f1151b3b8b73251e3a7eb127c1d9d5ea_1694668564_4166.jpeg



f1151b3b8b73251e3a7eb127c1d9d5ea_1694668564_5992.jpeg



 


1-1. 출항 시간    

  
  9월 15일 (금) : 오전 8시 ~ 오후 3시 내만 감성돔(참돔 선상 병행)
  9월 16일 (토) : 새벽 1시 ~ 오후 1시 광도,모기(선상 병행)
  9월 17일 (일) : 새벽 1시 ~ 오후 1시 광도,모기(선상 병행)


1-2. 출조 지역, 기상에 따라 출, 입항 시간이 변동 됩니다. 
       밴드에 가입하시면 실시간 확인 가능 합니다.

1-3. 글로리피싱 밴드 안내  

        글로리피싱 밴드(클릭)

2. 안내 사항
  2-1. 신분증은 꼭 지참 하시기 바랍니다.
  2-2. 구명 조끼는 반드시 착용하기 바랍니다.

0 댓글
포토 제목
 
 

인낚 최신글


인낚 최신댓글


온라인 문의 안내


월~금 : 9:00 ~ 18:00
토/일/공휴일 휴무
점심시간 : 12:00 ~ 13:00