회원가입 ▶ 점주선장 승급신청 ▶ 승급완료 ▶ 조황글 작성 |
1년연중 기상만 허락하면 매일 좌사리 출항을 하는통영탑피싱입니다.
동절기 대상어종: 대물참돔,감성돔,뽈락
하절기 대상어종: 돌돔,참돔,벵에돔,농어,부시리
탑은 좌사리를 기점으로 하여 여름좌사리,겨울내만부터~욕지권전역
★꼭 숙지하시길 바랍니다.★
1.신분증 필히 챙기세요. 미소지시 승선불가
2.구명복 필히 착용하세요. 미착용시 과태료 100만원
3.선내음주금지 적발시 벌금 100만원
☞4월1일부터 안장덕도 하선 가능합니다.
주의보가 아닌 이상
매일 안장덕,좌사리 집중 출조합니다.☜
**출항시간안내**
☞5월26일(금)새벽2시,12시(야영),밤10시
☞5월27일(토)00시,오후1시(야영),24시
☞5월28일(일)새벽2시,오후1시(야영)
☞5월29일(월)새벽2시
(출항시간은 변동될수 있으니,사전에☎)
반갑습니다. 살빠질 예정인 백곰 박철민입니다.
평일 몇분 모시고 안장덕,좌사리 다녀왔습니다.
당일2분과 야영 철수조황입니다.
계속해서 안장덕,좌사리로 정상 출항합니다.
채비 튼튼히 준비하시고
예약은 미리미리 부탁드리며
많은 조사님들의 문의 전화 바랍니다.
항상 최선을 다하는 탑이 되겠습니다.
♥철수후에 간식거리(계란) 준비되어 있습니다.
가게에 오셔셔 드시고 가셔요.♥
☞선비안내☜
▶욕지권:6만원
▶좌사리권:6만5천원
(야영비는 없습니다.)
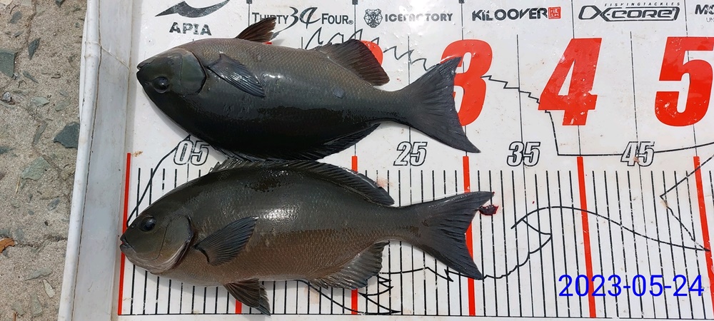
★큰놈들이 움직이기 시작하는지 터지신 분들이 늘어납니다.!!
채비와 목줄관리 잘 하셔야겠습니다.!!★
★잡어가 많으니 대체 미끼 다양하게 준비하시길~★
★조황이 안올라가더라도 주의보 아닌 이상 매일 출항합니다.★
★위 출항시간 외에도 출조인원이 6명 이상일때는 원하는 시간에 출조.철수가 가능합니다.★
**출조문의**
010-4544-1141(선장) 010-9311-5220(사모)
**통영탑피싱 위치 안내**
통영시 산양읍 연명길 36번지
터지고,,,
몇마리 잡아서 살림망에 보관했는데
없더랍니다.ㅜ
스트레스가 확 풀린다고 합니다.
반갑습니다.욕지권,안장덕,좌사리 출조전문점 통영탑피싱입니다. 갯바위 낚시배를 시작한지 벌써 20년이 다 되었네요. 처음 시작한 마음처럼 언제나 조사님들의 목소리 귀담아 들으면서 열심히 하겠습니다.