화/씨알급 감성돔,뺀지 조황!

신상품 소개


회원 랭킹


공지사항


NaverBand
점주/선장 > 갯바위 조황
b_hot_activegloat_200x80.gif b_hot_innakmall_200x80_220704.jpg b_hot_ggsusan_hongeu_200x80.gif b_hot_innakmall_200x80_211203.gif

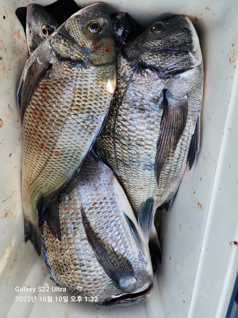
화/씨알급 감성돔,뺀지 조황!

고흥명성피싱호 0 484
● 출항지 : 고흥,녹동

조석으로 날씨가 쌀쌀 하네요! 건강관리 잘 하시길 바랍니다! 


청정지역!고흥풍남항!꽃담바다 명성피싱호와 함께 하세요!


☆10일(화)초도권전역 새벽출조 조황입니다!


출조인원에 비해 조황이 조금은 아쉽지만 씨알급 감성돔과 뺀지 손맛보고 철수했습니다!


꽃담바다 명성피싱호와 함께하여주신 조사님께 감사드리며,,,


바다기상 예보상,,,

☆12~15일(목,금,토,일)초도권전역 새벽출조 합니다!

※목/기상허락시 야영 및 민박가능!


출조관련하여 연락주시면 친절히 안내해 드리겠습니다!


8cf19361b9f64c6ed96464bfb672ca53_1696955326_9143.jpg

문화체육관광부/한국관광공사 
고흥관광두레/공식지정업체 
법인(유) 꽃담바다 명성피싱호 

♡꽃담바다 명성피싱호 밴드에서 많은 소식을 보실 수 있습니다!

8cf19361b9f64c6ed96464bfb672ca53_1696955416_8351.jpg

8cf19361b9f64c6ed96464bfb672ca53_1696955433_6684.jpg

8cf19361b9f64c6ed96464bfb672ca53_1696955453_5661.jpg

8cf19361b9f64c6ed96464bfb672ca53_1696955467_003.jpg

8cf19361b9f64c6ed96464bfb672ca53_1696955481_5803.jpg

8cf19361b9f64c6ed96464bfb672ca53_1696955496_9145.jpg

8cf19361b9f64c6ed96464bfb672ca53_1696955511_0969.jpg

8cf19361b9f64c6ed96464bfb672ca53_1696955521_9292.jpg

8cf19361b9f64c6ed96464bfb672ca53_1696955535_9975.jpg

8cf19361b9f64c6ed96464bfb672ca53_1696955549_9205.jpg

8cf19361b9f64c6ed96464bfb672ca53_1696955566_8489.jpg

8cf19361b9f64c6ed96464bfb672ca53_1696955583_6273.jpg

8cf19361b9f64c6ed96464bfb672ca53_1696955598_5957.jpg

8cf19361b9f64c6ed96464bfb672ca53_1696955614_8232.jpg





























 


 


0 댓글
포토 제목
 
 

인낚 최신글


인낚 최신댓글


온라인 문의 안내


월~금 : 9:00 ~ 18:00
토/일/공휴일 휴무
점심시간 : 12:00 ~ 13:00