![]() |
|
![]() |
![]() |
대박호)좌사리 참돔 낼까지 나갑니다대박피싱호 입니다.
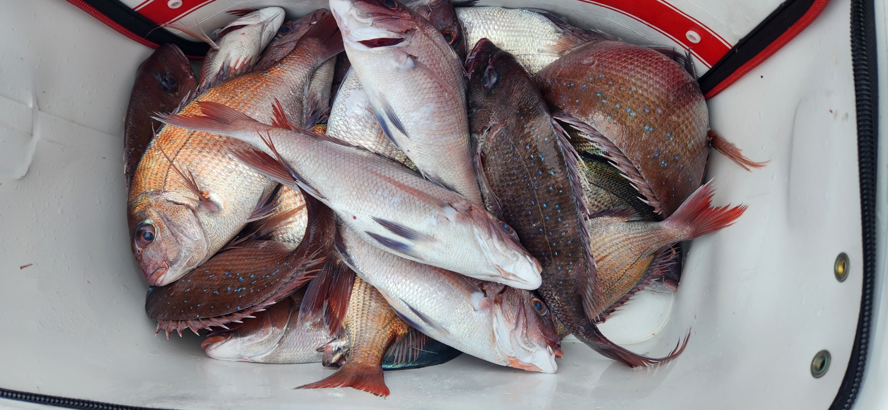
새벽 좌사리 다녀왔습니다
4방2방씩 터지고 했습니다
몇마리 안되서 사진은 패스
밴드회원님들과 선상낚시도 했습니다
내일까지는 출조가 가능해 보입니다
평일 한번 찾아주십시요
낼 새벽도 나가봅니다~
장마 전후 긴꼬리 참돔 잘됩니다
한번오십시요~
긴꼬리 참돔 등등 말씀만 해주세요!
내일은 연화도 좌사리 나갑니다
계속해서 참돔/벵에돔/무늬 대상으로
정상출조나갑니다
긴꼬리 일반 대물참돔 대상으로
정상출조 나갑니다
부상하는 벵에돔 목줄찌/발포찌는 필수입니다
이제 본격시즌 장마때까지
긴꼬리/참돔/ 대상으로
사량/욕지/연화/좌사리 정상출조 나갑니다
욕지권은 빵가루만 챙겨가시면됩니다
긴꼬리는 크릴한장 넣어오시구요~~
욕지권/좌사리/사량도/나무여 벵에돔/참돔
나갑니다
계속해서 정상출조합니다
시간되시면 평일 한번들려주십시요
주말은 미리미리 예약 해주십시요~
채비 튼튼히 준비들 해오세요~
#1인 야영은 안전의 이유로 받지않습니다#
*양해바랍니다*
♡주말 미리 예약 해주십시요♡
가게앞에 게 미끼 잡아가셔도 됩니다
~밑밥은 준비해오십시요~
(사량도4만원)
(욕지권6만원)
|
|
|
|










