욕지권 여름어종들(토.일01시)
01월 28일(수)
인낚 현재접속자
2,822명 (
115
)
공지사항
인낚도서관
점주선장전용 공지사항
로그인
광고/제휴 문의
운영진에게
인낚ㅣ인터넷바다낚시
0
어종별선상
어종별갯바위
낚시인조황
점주선장조황
출조정보
낚시광장
낚시지식인
낚시교실
중고장터
휴게실
인낚도서관
인낚몰
0
어종별선상
4대돔 조황
먹물 조황
갈치 조황
볼락&전갱이
빅게임 지깅&파핑
외줄&외수질
기타 어종
어종별갯바위
4대돔 조황
먹물 조황
갈치 조황
볼락&전갱이
농어&삼치&방어&부시리
기타 어종
낚시인조황
낚시인 번개조황
낚시인조행기
스탭조행기
우리낚시동호회이야기
전국낚시동호회소개
동호회갤러리
지난 조황자료보기(년도별 조황 자료)
점주선장조황
전국 실시간 조황
선상(배)+좌대 조황
갯바위+방파제 조황
점주선장전용 공지사항
지난 조황자료보기(년도별 조황 자료)
출조정보
낚시인동행출조
점주선장 갯바위 출조
점주선장 선상출조
기상파고정보(기상청)
해상예보
물때표
파고예보(일본)
실시간해양관측예보
스마트조석예보
낚시광장
낚시계뉴스
대회 및 낚시관련 홍보
제품평가단
신상품소개
낚시지식인
Q&A 묻고 답하기
지식인 베스트
조황/포인트 문의
낚시용품 사용기
낚시투표
토론방
新어류도감
낚시교실
낚시기법소개
어종별 낚시교실
입문자교실
중급자교실
낚시용어사전
중고장터
중고장터 이용후기
더치트 사기피해 검색
팝니다
삽니다
교환합시다
무료로 드립니다
부품팝니다
부품삽니다
일반 생활용품 사고 팔기
휴게실
출석부
낚시갤러리
세상사는 이야기(자유게시판)
낚시이야기 마당
먹고사는 이야기
구인구직
칭찬합니다
어째이런일이
습득물 찾기
인낚도서관
인낚 유튜브
인낚 칼럼
블루, 그것이 알고싶다
더블테일의 두 눈으로 보는 세상
입질의추억의 피싱다이어리
나無의 바다 이야기
전문강좌
海巖의 바다낚시 이야기
이성규의 전유동낚시 강좌
조성민의 금요루어클럽
메인
어종별선상
어종별갯바위
낚시인조황
점주선장조황
출조정보
낚시광장
낚시지식인
낚시교실
중고장터
휴게실
인낚도서관
인낚몰
0
점주/선장 >
갯바위 조황
회원가입 ▶ 점주선장 승급신청 ▶ 승급완료 ▶ 조황글 작성
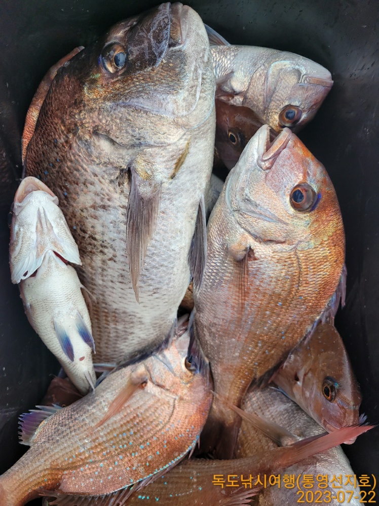
욕지권 여름어종들(토.일01시)
독도피싱
0
355
2023.07.27 15:06
● 출항지 : 고성
● 출조인원 : 1~2명
지난주말조황입니다
부시리와 참돔들은 다양한 사이즈로
손맛즐기시에 좋습니다
그외 긴꼬리.뺀치.알부시리들도
얼굴을 보여주고있습니다
토요일.일요일은
참돔.벵에돔.뺀치.부시리등등
다양한 여름어종을 대상어로
욕지권으로 출항합니다
(이번주말은 너울여파로 갈도출항 없습니다)
북신만.사량도.나무여.두미도
욕지권.좌사리.갈도로 출항하며
상황에 따라 출조지가
변경될수있는점 참고하여주세요
바다조황은 장담할수없고 알수도없지만
만족스런 호조황을 위해
선장은 늘 최선을 다해
최고의 포인트로 모시겠습니다
▫️예약문의는
055.644.1782
010.3225.0060 선장
010.2585.1130 복님이
(부재시 문자부탁드려보아요~^^)
▫️밴드방문:
https://band.us/@dokdofishing
▫️인스타방문:
https://www.instagram.com/
dokdo_fishing
▫️ 북신만.사량도.나무여.두미도
욕지권.좌사리.갈도출항
▫️선비
북신만 30.000원
사량도 40.000원
나무여 50.000원
욕지권 60.000원
좌사리 65.000원
갈 도 70.000원
▫️오시는길 밑밥은
준비하시어 오세요
▫️오시는길
신:통영시 도산면 도산일주로2284
구:통영시 도산면 법송리 6
(고성 IC 10분/북통영 IC 5분)
0
신고
목록
글쓴이
5
2
Lv.1
독도피싱
-
1,200 (12%)
통영독도낚시여행 (선지호)
12.30
욕지권50cm감성돔과4짜들~새해첫날출조(월요일)
12.30
욕지권감성돔 50cm부터4짜들~새해첫날출조(월요일)
12.26
욕지권감성돔50cm부터4짜들까지(수요일~종일)
12.26
욕지권감성돔50cm부터4짜들까지(수요일종일)
12.23
현재 욕지권 감성돔진행중~(일요일출항)
0
댓글
로그인한 회원만 댓글 등록이 가능합니다.
×
Image Upload
로그인한 회원만 등록가능합니다.
포토
제목
이름
날짜
[부산] 10월 26일 생도 태종대 갯바위 조황입니다.
출항지 : 부산 / 출조지 :
영도낚시슈퍼
591
2023.10.27
영도낚시슈퍼
2023.10.27
[통영] 강한 북서풍...토욜새벽부터 정상출조합니다.
출항지 : 통영 / 출조지 :
통영나드리호
542
2023.10.27
통영나드리호
2023.10.27
[통영] [[척포은성호]]깔치~깔치 3지전후 굿~~~
출항지 : 통영 / 출조지 :
척포은성호
519
2023.10.27
척포은성호
2023.10.27
[거제] 갯바위 "칼치" .... 계속
출항지 : 거제 / 출조지 :
거제가자피싱랜드
668
2023.10.27
거제가자피싱랜드
2023.10.27
[통영] 척포[제일호] 칼치~칼치~풍년이네요~~~
출항지 : 통영 / 출조지 :
척포제일호
550
2023.10.27
척포제일호
2023.10.27
[통영] 척포)최선장~칼치 3지급으로 쿨러~ㅎㅎ
출항지 : 통영 / 출조지 :
척포최선장
460
2023.10.27
척포최선장
2023.10.27
[통영] 뽈락 전갱이 조황입니다 오늘 오후 4시 30분 출조합니다
출항지 : 통영 / 출조지 :
통영삼덕삼성1호
504
2023.10.27
통영삼덕삼성1호
2023.10.27
[고성] 욕지권]참돔.감성돔.뺀찌(토.일출항)
출항지 : 고성 / 출조지 :
독도피싱
356
2023.10.27
독도피싱
2023.10.27
[고성] 두미,욕지권) 감성돔 참돔 뺀찌~(토,일 03시)
출항지 : 고성 / 출조지 :
고성파워피싱
507
2023.10.27
고성파워피싱
2023.10.27
[고흥,녹동] 목/초도권 새벽출조 조황!
출항지 : 고흥,녹동 / 출조지 :
고흥명성피싱호
452
2023.10.27
고흥명성피싱호
2023.10.27
[사천] ((한사리))두미도&갈도 감성돔들~굿! & 뺀찌들 계속.호조황(…
출항지 : 사천 / 출조지 :
한사리피싱
866
2023.10.27
한사리피싱
2023.10.27
[통영] 스타]욕지권 뻰찌 참돔 조황 금07시 주말출항안내
출항지 : 통영 / 출조지 :
통영스타피싱
326
2023.10.27
통영스타피싱
2023.10.27
[거제] 홀로 "한분" 조사님의 "감성돔" ... 조황
출항지 : 거제 / 출조지 :
거제가자피싱랜드
1498
2023.10.26
거제가자피싱랜드
2023.10.26
[거제] 구을비도,매물도 참돔,부시리,뻰찌,무늬조황
출항지 : 거제 / 출조지 :
거제미래낚시
807
2023.10.26
거제미래낚시
2023.10.26
[거제] [매물도 및 구을비도]"" 뺀찌"마릿수~긴꼬리"참돔"부시리 등 …
출항지 : 거제 / 출조지 :
대포스타피싱
1041
2023.10.26
대포스타피싱
2023.10.26
초기화
날짜순
조회순
검색
231
232
233
234
235
Search
검색대상
제목
내용
제목+내용
회원아이디
회원아이디(댓글)
글쓴이
글쓴이(댓글)
또는
그리고
검색어
필수
검색
닫기
검색조건
제목
내용
제목+내용
회원아이디
회원아이디(코)
글쓴이
글쓴이(코)
검색어
또는
그리고
검색
인낚몰 초특가
MAEK 맥 호래기 대바늘 호래기콕 J타입 (카본바디 2입)
어부공방 NEW 호래전
야마시타 SB 호래기 대바늘
★3,000★ 하야부사 6단 볼락 전갱이 카드채비 SD724 볼락채비
★1,000★볼락낚시에 최적인 메바트로볼 - 캐스팅볼, 메바볼
★13,000~★3NO 일본 오리지날 직수입 극강 멀티 무광 마크사 원줄
★500★ W쿠션 멀티 수중찌 M L - 전유동 반유동 끄심바리 필수품 수중쿠션
★5,900★ 여러개 있으면 아주 좋은 EVA 시스템 백
★ 1+1 플로팅, 세미, 카본 낚시줄 행사 호수선택가능 / 택상 1+1 원줄, 목줄 행사
★6,000★ 예민함의 끝판왕 애니원찌 벵에돔찌 학공치찌
★15,000★ 오동목 구멍찌 5개 + 메쉬 찌케이스 세트
★22만원★ 40W 집어등을 이 가격에!