글로리호 안도조황입니다

신상품 소개


회원 랭킹


공지사항


NaverBand
점주/선장 > 갯바위 조황
b_hot_activegloat_200x80.gif b_hot_innakmall_200x80_220704.jpg b_hot_ggsusan_hongeu_200x80.gif b_hot_innakmall_200x80_211203.gif

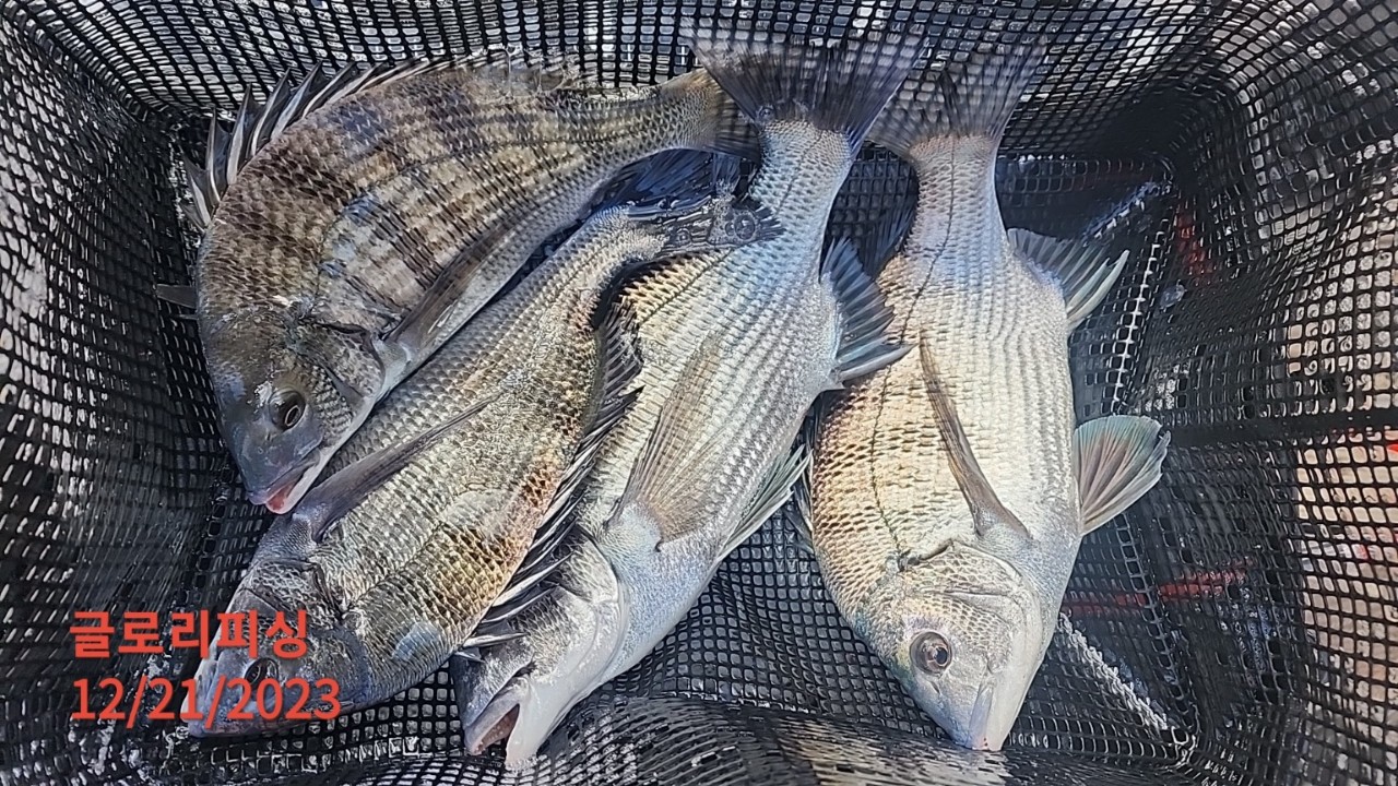
글로리호 안도조황입니다

글로리피싱 0 434
● 출항지 : 여수,광양


ac0588445defc078809cf96589757d96_1703155601_3514.jpeg



ac0588445defc078809cf96589757d96_1703155600_2746.jpeg



ac0588445defc078809cf96589757d96_1703155600_515.jpeg



ac0588445defc078809cf96589757d96_1703155600_8261.jpeg



ac0588445defc078809cf96589757d96_1703155601_1301.jpeg



ac0588445defc078809cf96589757d96_1703155601_573.jpeg



ac0588445defc078809cf96589757d96_1703155601_7666.jpeg



ac0588445defc078809cf96589757d96_1703155601_9464.jpeg



 영하 5도......많이 추웠지만 꾼들의 열정은 뜨겁네요.

씨알급으로 손맛들 보십니다.내일도 기온이 많이 찹니다.

바람 걱정 마시구 따뜻하게 챙겨입고 나오세요.




ac0588445defc078809cf96589757d96_1703155931_71.jpg

   1-1. 출항 시간                    

     

12월 22일(금) : 새벽 5시 30분 ~ 오후 2시 30분

12월 23일(토) : 1항차 : 새벽 4시 ~ 오후 1시 
                  2항차 : 새벽 6시 ~ 오후 3시
12월 24일(일) : 1항차 : 새벽 4시 ~ 오후 1시 
                  2항차 : 새벽 6시 ~ 오후 3시 

12월 25일(월) : 새벽 5시 30분 ~ 오후 2시 30분
12월 26일(화) : 새벽 5시 30뷴 ~ 오후 2시 30분
12월 27일(수) : 새벽 5시 30분 ~ 오후 2시 30분일

1-2. 출조 지역, 기상에 따라 출, 입항 시간이 변동 됩니다. 
       밴드에 가입하시면 실시간 확인 가능 합니다.

1-3. 글로리피싱 밴드 안내  

        글로리피싱 밴드(클릭)

2. 안내 사항
  2-1. 신분증은 꼭 지참 하시기 바랍니다.
  2-2. 선비 6만 , 패키지 8만 5천 (크릴5 하나파워2 보리4 백크릴)

0 댓글
포토 제목
 
 

인낚 최신글


인낚 최신댓글


온라인 문의 안내


월~금 : 9:00 ~ 18:00
토/일/공휴일 휴무
점심시간 : 12:00 ~ 13:00