밀매조황

신상품 소개


회원 랭킹


공지사항


NaverBand
점주/선장 > 갯바위 조황
b_hot_activegloat_200x80.gif b_hot_innakmall_200x80_220704.jpg b_hot_ggsusan_hongeu_200x80.gif b_hot_innakmall_200x80_211203.gif

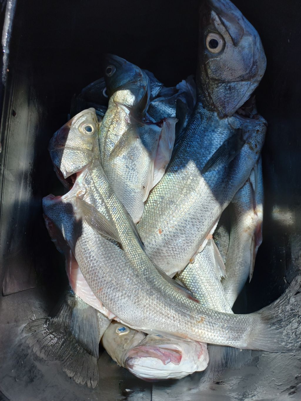
밀매조황

접도낚시 0 634
● 출항지 : 해남,진도

** 안녕하세요~~
진도접도에 위치한 접도낚시입니다
몇칠 밀매권 갯바위조황 입니다
돌돔,참돔손맛 보신조사님 있고

06c0e8d81c2e011b72c7fad9d59ca90a7067b6d6
9f761165f80f69be5992d09db9733a3bdf098d28
5184a0364292b7222af497ca4a635998d2401253
38c5ff97a8cd22b4c85920cf990cdf6c8ff4d99e
4033ac1d984a9de7ef17d5c9a4b22013e3f88081
119fee67d91446937c294d5b1473dcbf69488632
57d1a399f29f8401ff81bd66980fdc212ff5d38f
d49867ce9a911f0d75b40260eccfe2663f03db17
8ef974da8aff4c7c97b18ad5db86cd3ed8ac4e83
3c3ce8119a4c72cee78e7d4b7c3265c4a079db94
02d224b1d999f35c71d4843f1daddb4b22b99679
b92685e053a29e7e2a46b0f277c218c3eb7a78f4
3009154db22e24c00aaf8615e3b2163f2a931af7
7c31d9e69066b46a85f8a0238f47911bf5c0a8ed
179d4d1297cac03f9e704f87ae525ec15c386d87
f0e232d59890c483819156900161143cf4ffc22f
ea2c8409528519dc2bc3c14dbfdfddd38f2e2859
7b917e7266975c47948b0b035d16cc2025ad111c
a345a2e885ad97361b88da6df9f6ced402705473
39db13ca25008270125c8ce6dcd3186afc3b4348
b849ee734ff2273293708521e419d84aaa5d6eaf
b745338c684ed608869029af8408b81164340234
08ac5a52bb30aa37579e00f111181042453b2aaa
00378ac4a5efaf116a234952ce29dc8b513c1b5f
2a7f291f93e7ae62f058999c6f65cf3abcc15f57
6eb82d07ecc74365d0eddd53b03a30a6baefd7ef
7ed41bc5f1dd7a49afc86c4cdb93e68b3370fd0b
8612331e8a9d34ba0a07bc48df26e66e6565e647
68dcb0304179bbafb1f857bbe206a70fafbf4217
9dbd079cbe0ce9ed8fe0b66af0501a260fc236bc
251afa1291e3fa13b00f202ad694bf0c1f6aaa7e
32a998858fb2d597cac2caa63451c06bbbef704f
76cf6988a5c16bad8899b43cf5c497bb87bcd2b9
3bf2cc34c74420e36b310139377305377d62360f
12f9a61965da6c9c11d63a0110a93c30f61a2b42
195574f57931498f46a4d338f1b5eb0cf139e26d

몇분은 잡어손맛만보신 조사님도 있었답니다

터트리신조사님도 있었답니다


작은씨알돌돔과 참돔은 방생하였답니다

밀매,구자도,독거도,(복사초
선상)출조합니다
*주민 등록증 필수 지참*
***진도접도낚시 밴드로 초대합니다(더빠른조황을 볼수있네요)**
참고하시고 출조하세요
주소:진도군 의신면 수품길18번지
★출조 및 예약 문의★010-9433-0232 ★061-544-0235

 

0 댓글
포토 제목
 
 

인낚 최신글


인낚 최신댓글


온라인 문의 안내


월~금 : 9:00 ~ 18:00
토/일/공휴일 휴무
점심시간 : 12:00 ~ 13:00