![]() |
|
![]() |
![]() |
직벽호]사량도 감성돔주말대박 오늘 찹찹~~내일은?안녕하십니까
직벽피싱 입니다.
주말 좋았던 조황이
오늘은 무슨이유인지??
잔챙이들만 설치고
찹찹했습니다.
내일은 또 어떨지?
06시 출항 해보겠습니다^^
수온이 내려가니 사량도에
큰넘들이 보이기 시작합니다.
직벽호는
사량도/욕지권 정상 출항합니다.
고기 나왔던 확률 높은곳으로
모시겠습니다.
밑밥은 가깝게 채비는 멀리 캐스팅 하셔서
갯바위 가장 자리로 채비를
끌고 들어오시면 감성돔 입질 받을 확률이
높겠습니다.
출조때 잡어 대체미끼
옥수수.경단등 준비 하시면 도움이 되겠습니다.
이끼섬.사량도.욕지권
감성돔 대상으로 출조 합니다.
목.금. 종일낚시가능
출조: 06시 08시
철수: 15시 17시
토요일:05시 08시
일요일: 미정
1월1일 : 06시~
전화 예약 필수입니다~^^
사량도:4만원
욕지권:6만원
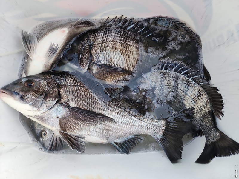
@주말조황@
직벽호타고 1등 가즈아~~
직벽호는 조사님들이 전원 손맛 보실수 있도록
최선을 다하겠습니다.
네비:인평동967번지
(직벽피싱)
☎선장
010-7600-2575
통영직벽피싱 밴드로 초대합니다.
⬇️※클릭※⬇️
https://band.us/n/a1a775he3bf0u
|
|
|
|




































