
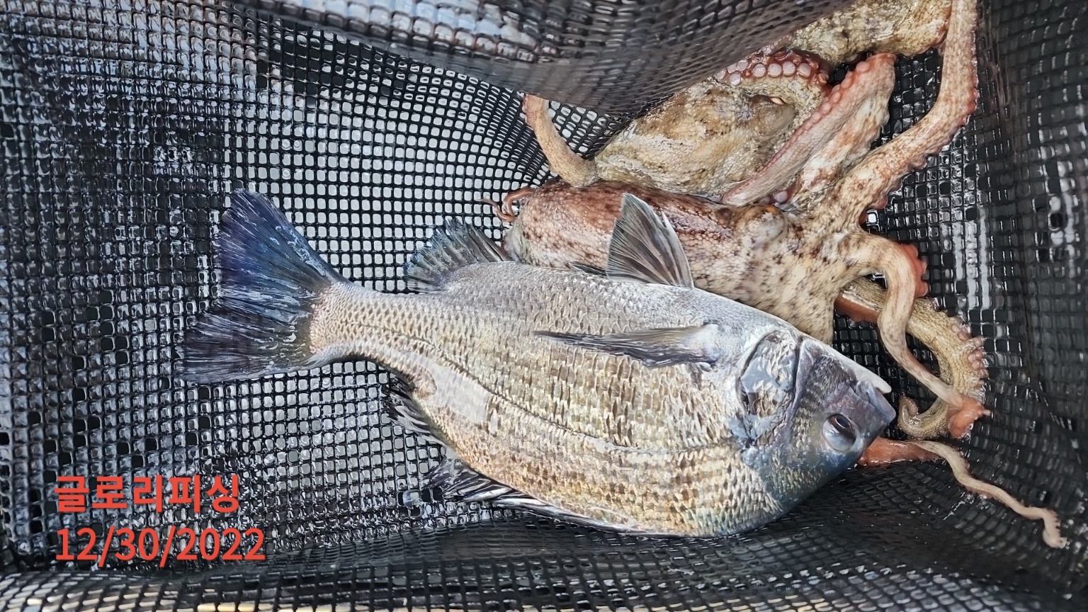
이거시 무슨 일이고~!! 판떼기 조황만 두분. 50cm 오버만 세분. 대박 조황이 나와주었네요!
계속 불어댄 서풍 때문에 한동안 진입을 못했던 포인트에 바람이 살짝 죽은 틈을 타서 하선시켜드렸더니 이런 조황을 들고 오십니다.
내일 주말도 힘차게 달립니다!!














1. 출조시간
1-1. 출항시간
12월 28일(수) : 새벽 5시 30분 ~ 오후 2시 30분
12월 29일(목) : 새벽 5시 30분 ~ 오후 2시 30분
12월 30일(금) : 새벽 5시 30분 ~ 오후 2시 30분
12월 31일(토) : 1항차 : 새벽 3시 ~ 오후 1시
2항차 : 새벽 5시 30분 ~ 오후 3시
1월 1일(일) : 1항차 : 새벽 3시 ~ 오후 1시
2항차 : 새벽 5시 30분 ~ 오후 3시
1월 2일(월) : 새벽 5시 30분 ~ 3시
1-2. 출조지역, 기상에 따라 출, 입항 시간이 변동됩니다.
밴드에 가입하시면 실시간 확인 가능 합니다.
1-3. 글로리피싱 밴드 안내
글로리피싱 밴드
2. 안내사항
2-1. 신분증은 꼭 지참하시기 바랍니다.
2-2. 구명조끼는 반드시 착용하기 바랍니다.