회원가입 ▶ 점주선장 승급신청 ▶ 승급완료 ▶ 조황글 작성 |
반갑습니다.^^
거제 대포항 *스타피싱* 그선장 입니다.^^
저히 스타피싱의 쎌프 스타벅스 휴게실 입니다.^^
더울때는 시원하게 추을때는 따듯하게 출조시 시간을 여유롭게 오셨어
차와 간단한 간식 식사등 드실수있도록 모든준비를 하였습니다.
[출조문의 예약= = 010-3530-8877]
[예약받는시간 08시~22시까지}
[통화가 안될시 문자남겨주시면 연락드리겠습니다.]
출항 30분 전에 도착 부탁드립니다^^.........
***스타피싱 전용선***
"투스타호" "쓰리스타호" 신조선 2선단으로 운용하고 있습니다.
거제에서 매물도권으로 36명정원 동시 출조가 가능한 유일한 선사입니다 정출 시조회 단체출조 환영합니다...
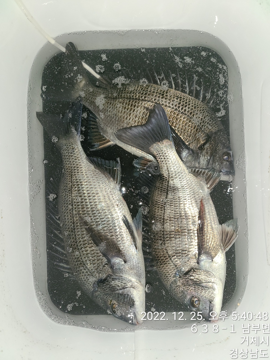
12월 25.26일 매물도권"내만권"감성돔"밤뽈락"등 조황 입니다.
지난주 수요일부터 태풍같은 바람과 강추위가 몰아첬네요
토요일 오전에야 주의보가 해제되었지만 매물도권은 어마무시한 너울과 흑탕물같은 탁한 물색으로 낚시가 불가할정도 였습니다.
오늘 오후에서야 바다가 다소 안정되고 있네요.
몆몆분들께서 내만권 위주로 감성돔을 대상으로 출조를 하셨고 대부분 손맛을 보셨습니다.
현제 내만권은 안정적으로 감성돔들이 나와주고 있습니다.
아직은 조류가 다소 빠른물때라 2~3호 막대찌나 1~2호의 구멍찌 사용을 권장 드림니다.
내만권 감성돔들은 그런데로 손맛을 전해주고 있습니다.
내만권 주간낚시에 대체미끼로는 옥수수미끼를 밤낚시에는 청개비 미끼를 사용하시면 조과에 더나은 도움이 되겠습니다.
이제부터는 바다로 나서실때 방한에 더욱더 준비를 철저히 하시고 나서야 할것 같습니다.
현제의 매물도권 밤뽈락은 아직은 다소 들쑥날쑥 하네요.
매물도권 참돔 감성돔을 노리신다면 옥수수 미끼는 필수로 챙겨주세요.^^
내만권 준내만권 감성돔 낚시또한 옥수수 미끼는 필수로 챙겨주세요.
뭐든 입질을해주고 손맛을 선사해주면 마냥 즐거운낚시가 되는것 같습니다.
매물도권 초행이신 조사님들께서는 출항전 미리오셨서 밑밥 또는 낚시방법등 이야기를 듣고나가시면 낚시에 많은도움이
늘 그렇듯 모둔분들께서 손맛을 보시길 바래보지만 모든분들이 다 손맛을 보시지는 못하셨습니다.
기상이 허락하는날은 매일 긴꼬리 및 참돔 벵에돔등 대상으로 출조를 나갑니다.
그선장 늘 많은분들께서 손맛을 즐기실수 있도록 더욱더 노력하겠습니다.^^
출항전 하선하시고싶은 섬 대매물도:소매물도 미리 이야기해주시면 최대한 맞추어 드리도록 하겠습니다.
마 그냥 선장님 촉대로 떨가주이소 하시믄 손맛보십니데이~ㅋㅋㅋ
다녀가신 조우님들 수고많으셨습니다.
감사합니다.^^
그선장 기상이 허락하는날은 밤출조 새벽출조 오전 오후리리출조 쭉~달림니다.^^
###저희 스타피싱 주 출조지는 매물도""대덕도"가왕도"죽도"대포권 등 입니다.###
"스타피싱" 매물도 및 준내만권 진입하는 최단거리 최단시간의 출항지 입니다.^^
***매물도권 준내만권 밤"뽈락 출조합니다***
*** 주중 출조 오후16시30출조 ~ 철수: 24시00분 04시00분 철수
*** 주말 출조 14시 : 16시30분 출항 : 철수 24시 : 04시 : 철수
***준내만 내만권 밤뽈"출조 19시00시21:00시 출조가능 합니다.
** 기상등 현지사정으로 출조시간이 변경될수도 있으니 반드시 예약전화로 확인바랍니다
**대물을 낚으셔서 무료승선권 많이많이 받아가셔유~~^^
@@벵에돔 40cm 이상 1장 50cm 이상 3장 @@
@@벵에돔 30cm 이상 10마리이상 1장 @@
@@참돔 60cm 이상 1장 70cm 이상 2장 80cm 이상 4장@@
@@감성돔 50cm 이상 1장 55cm 이상 2장@@
@@볼락 30cm 이상 1장
**주말출조시간은 기상에따라 변동적일수있으므로 문의부탁 드리겠습니다
매물도 출조는 예약제로 운영하오니 출조문의 예약번호로 예약부탁드립니다
가게 예약전번으로 010 3530 8877 연락주시면 되겠습니다.^^
네비주소 : 경남 거제시 남부면 대포길 62-1
준 비 물 : 신분증 구명조끼(300만원)참,야영시에는 텐트.취사도구는 단속대상입니다(참고하세요)
언제나 저희 스타피싱 낚시를 찾아주신조사님들께 감사드립니다(^^)