
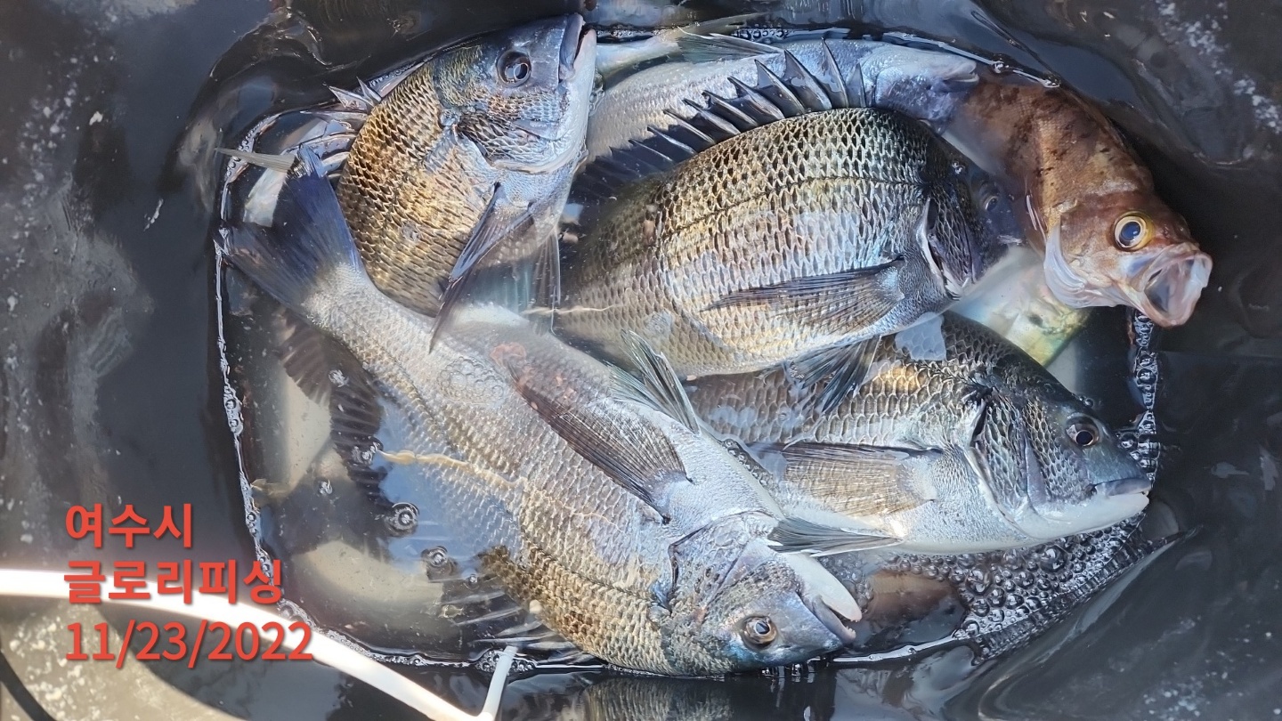
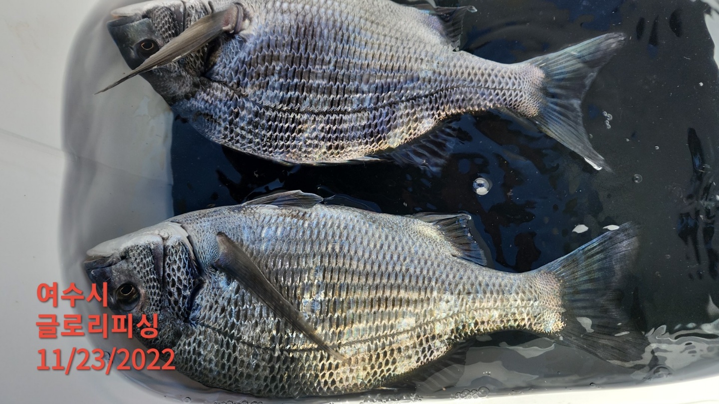
오늘은 기분이 아주 좋습니다.출조인원 전원 손맛을 보셨네요.준수한 씨알들도 많이 보입니다.
내일부터 아주 좋은 기상속에 또 대박 조황 기대하면서 달려 보겠습니다.











1. 출조시간
1-1. 출항시간
11월24일 (목) : 안도,연도 새벽 5시 30분 ~ 오후 2시 30분
11월25일 (금) : 안도,연도 새벽 5시 30분 ~ 오후 2시 30분
11월26일 (토) : 1항차 : 안도,연도 새벽 3시 ~ 오후 1시
2항차 : 안도,연도 새벽 5시 ~ 오후 3시
11월27일 (일) : 1항차 : 안도,연도 새벽 3시 ~ 오후 1시
2항차 : 안도,연도 새벽 5시 ~ 오후 3시
11월28일 (월) : 안도,연도 새벽 5시 30분 ~ 오후 2시 30분
11월29일 (화) : 안도,연도 새벽 5시 30분 ~ 오후 2시 30분
11월30일 (수) : 안도,연도 새벽 5시 30분 ~ 오후 2시 30분
1-2. 출조지역, 기상에 따라 출, 입항 시간이 변동됩니다.
밴드에 가입하시면 실시간 확인 가능 합니다.
1-3. 글로리피싱 밴드 안내
2. 안내사항
2-1. 신분증은 꼭 지참하시기 바랍니다.
2-2. 구명복, 갯바위화는 반드시 착용해 주시기 바랍니다.