![]() |
|
![]() |
![]() |
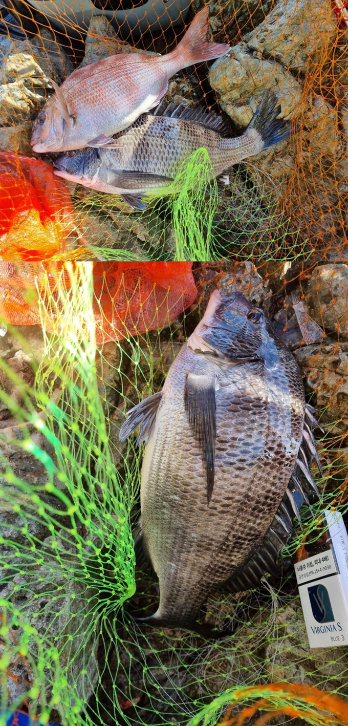
하누리호]욕지권 대물 5짜4짜 감성돔 참돔(주말 출조공지)안녕 하십니까 통영 하누리호 입니다.
오늘 출조 다녀와서 바쁜일도 있었고
축구보고 이제야 소식 전합니다.
축구는 아쉽게도 비겼지만 잘 싸웠습니다.
주중 좋은 기상에 부지런히 다녀보고 있지만
감성돔 조항은 그렇게 좋지는 못하네예.
당일팀은 빈손 철수가 많았고 반면 야영팀은
대물급 감성돔과 참돔 이것저것 다양한 어종으로
손맛 보고 계십니다.
물색이 좋아지니 조항이 살아 납니다.
주말 좋은 기상에 부지런히 다녀 보겠습니다.
날씨가 조금 추워졋습니다.
출조시 방한에 각별하게 신경 쓰셔야 겠습니다.
대물급 감성돔과 참돔은 새벽녁 집중 하셔야 되고
많이 터지고 잇습니다.
새벽녁에는 목줄 안타니 강하게 사용하셔도
됩니다.
어제 오늘 찾아주신 분들께 감사 드립니다.
최근들어 코로나19 확진자는 많이 줄어들고
있지만 방심하지 마시고
방역수칙 철저히 지켜 주시기 바랍니다.
요즘 자주 출조 하시더니 성적도 좋습니다.
축하 드립니다.
이외에도 뻰찌 쥐치로 저녁 안주꺼리는
충분히 잡으셨다 합니다.
터진게 많아 아쉬움이 많이 남는 출조길
이었습니다.
상사리도 몇마리 보입니다.
대물급은 필요없고 우리는 이런게 딱 좋다 하시며
잔잔한 손맛은 보고 계십니다.
무리하지 마시고 안낚 당부 드립니다.
쥐치로 잔손맛은 보셨네예.
요즘 쥐치가 횟감으로는 최고 입니다.
물색도 좋았고 최고의 기상을 보였습니다.
주말 출조공지
토요일 새벽1시 4시 당일 및 야영 출항
토요일 오후2시 야영 출항
일요일 새벽3시 당일 출항
철수는 협의후 오전12시오후3시쯤 합니다.
선비는 욕지권 전역 육만원 입니다.
야영비 없습니다.
기상에 따라 출조시간은 변경될수도 있습니다.
선장 : 010 - 3564 - 3429
선장 부재시 마눌폰 010 - 4528 - 0065
주소 : 통영시 산양읍 연명길 18 하누리 피싱
|
|
|
|















