풍남 대성스타호, 내만권 갯바위 감성돔 조황! 매일 출조!

신상품 소개


회원 랭킹


공지사항


NaverBand
점주/선장 > 갯바위 조황
b_hot_activegloat_200x80.gif b_hot_innakmall_200x80_220704.jpg b_hot_ggsusan_hongeu_200x80.gif b_hot_innakmall_200x80_211203.gif

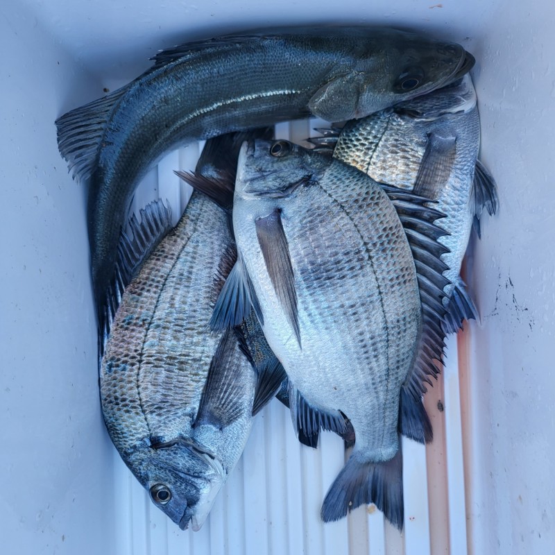
풍남 대성스타호, 내만권 갯바위 감성돔 조황! 매일 출조!

풍남대성스타호 0 249
● 출항지 : 고흥,녹동

7b985701cf4bf6846d166e7d71d2bf03_1669960023_9545.png
 

안녕하세요

고흥 풍남 대성스타호입니다


오늘도 변함없이

대성스타호의 뱃고동은 울렸습니다.


7b985701cf4bf6846d166e7d71d2bf03_1669960041_8902.jpg



7b985701cf4bf6846d166e7d71d2bf03_1669960042_4372.jpg



7b985701cf4bf6846d166e7d71d2bf03_1669960045_6205.jpg



7b985701cf4bf6846d166e7d71d2bf03_1669960049_3636.jpg



 




오늘도 함께 해 주신

모든 조사님들 고생 많으셨습니다


내일도 어김없이

대성스타호의 뱃고동은 울립니다



010 4622 3652


ㅡㅡㅡㅡㅡㅡㅡㅡㅡㅡㅡ


갯바위 밑밥 안내


새우4 파우더2 압맥3 백크릴1 ㅡ 30,000원


밑밥은 필히 전날 예약바랍니다!


ㅡㅡㅡㅡㅡㅡㅡㅡㅡㅡㅡ


대성스타호 밴드

https://band.us/@daesungstar


7b985701cf4bf6846d166e7d71d2bf03_1669960069_3774.png



7b985701cf4bf6846d166e7d71d2bf03_1669960069_8993.png



 


 

0 댓글
포토 제목
 
 

인낚 최신글


인낚 최신댓글


온라인 문의 안내


월~금 : 9:00 ~ 18:00
토/일/공휴일 휴무
점심시간 : 12:00 ~ 13:00