회원가입 ▶ 점주선장 승급신청 ▶ 승급완료 ▶ 조황글 작성 |
※ 선박 내 금연에 협조해주시면
감사하겠습니다.※
통영 삼덕항의 나드리호선장입니다...(__)
*******************
※ 예년에 비해서
최근 욕지도본섬쪽으로
감성돔조황이 호조황을 보이고 잇습니다.
낚시도중 방심하지않고 집중하시고
목줄관리만 야무지게 하시면
어렵지않게 4짜,5짜급들의 감성돔을
조우할수 있을것으로 보입니다 ※
*******************
지난 한 해 동안
조사님들께서 보내주신 성원에
깊이 감사드립니다.
희망찬 새 해,
행복한 일들만
가득하시길 기원합니다.
통영나드리호 (__)
*******************
약간의 북서풍이 불어오는 금욜 오후...
열혈조사님들 몇분 모시고
욕지도부속섬으로
밤볼락을 대상어로 다녀왔습니다.
오늘은 우째 예보가 정확합니다.
예보와 똑 같이 북서풍이 조금 불어닥칩니다.
하지만, 바람 피해서 포인트 선정...
약간의 추위가 있었지만,
큰 무리없이 모두들 즐낚하셨고,
반찬거리 몇마리씩 담아가셧습니다.
하지만,
여태껏 욕지도권 밤볼락조황이
매일 청볼락에 젖볼락 일색이었고,
완전 낱마리였는데
오늘은 여기저기 탐색해본 결과,
전형적인 겨울철 욕지도의 밤볼락들이
얼굴을 비춰줍니다.
비록 마릿수는 따라주지 않았지만,
하루가 다르게
마릿수나 씨알들도 나아질것으로
살며시 예상해봅니다.
그 동안 밤볼락조황이 너무 신통찮아서
선장 마음고생이 심했는데,
이제서야 벗어날수 있을것 같습니다.
2022년 마지막날인 오늘도
약간의 북서풍이 예보되고 있지만,
바람피해서 포인트선정을하면
큰 무리없이
밤볼락낚시를 즐길수 잇을것으로 보입니다.
아래에
주말 출조시간 안내해 드립니다.
참고하셔서
출조길에 조금이나마 도움되시길 바랍니다.
통영나드리호였습니다.........(__)
*******************
※ 출조시간 ※
(야영출조가능)
- 일욜(23년1월1일)
출항 → 05시,14시,16시.
(야영출조가능)
- 월~금욜(2~6일)
출항 → 04시,16시.
(야영출조가능)
※ 기상만 이상없으면
매일 오후4시에
욕지도본섬과 주위부속섬으로
밤볼락을 대상어로 정상출조합니다.
새벽에 출조하셔서
주간에 감성돔낚시하시고
야간에 밤볼락을 하셔도 되고,
오후에 출조하셔서
밤볼락만을 대상어로 하셔도 됩니다.
저렴한곳에서
구입해오시기 바랍니다.
***************
기상 상황에 따라서
언제든 변경될 수 있습니다.
*******************

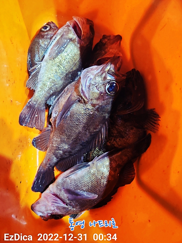
볼락들임을 한눈에 알수가 있는

욕지도의 밤볼락들이
※ 출조하시는 조사님들께...
삼실 대청소후
갯바위에서 사용하실만한 소품들이
상당히 많이남았습니다.
각종 수많은 종류의 소품(바늘,찌..등 ...)
겨울 방한모와 방한스카프,방한귀마개...등 등..
저희 나드리호를 이용하시지 않으시더라도
통영권으로 출조하실때
저희 삼덕항 나드리피싱 삼실에 들러서
커피도 한잔하시고
필요한 물품 있으면
몇점씩 챙겨가시기 바랍니다.
※ 물론, 전부 공짜입니다.