![]() |
|
![]() |
![]() |
## 추자도 57cm감성돔, 49cm벵에돔~ ##출조문의 010-5159-5353
밴드 : https://band.us/@no1fish
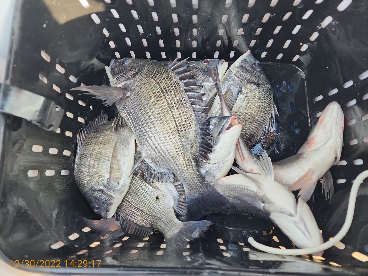
NO.1퍼스트 12월 30일 금요일 추자군도 갯바위
조황입니다~~!!
NO.1 퍼스트를 찾아주신 회원님과 조사님들 감사합니다.
NO.1 Fishing (사선) / First (종선) 운행중
사선과 종선을 운행하여 최고의 서비스와 포인트로 모시겠습니다.
추자도내 친절한 사장님과 깨끗한시설의 민박 이용도 가능합니다.
언제나 최선을 다하는 NO.1 First 입니다.
편안하고 안전하게 모시겠습니다.
감사합니다
드디어 나왔습니다~~ 57cm 낚으신 공성훈사장님
축하드립니다~~!! 갯바위내리실때 밑밥을 두통이나들고
내리시더니 역시 팔빠지게 밑밥주신 노력의결과가
아닌가 싶습니다~~!! 요즘 감성돔들이 밑밥빨을 잘 받습니다~
히트지점이아니어도 밑밥만꾸준히 들어가면 떼고기들이
심심찮게 나오곤합니다~~ 49m똥벵에가 오늘
장원인줄 알았는데 감성돔은 못이기네요~~
오늘도 꽝치신분없이 적게는 1마리
많게는 20마리 가까이나와주네요
일요일까지 저희선단 식구들이 정신없이 바쁘네요~~!!
그래도 올해마지막날 찾아주신 손님들께 감사한마음으로
잠안자고 달려보겠습니다~~!!
|
|
|
|





























