회원가입 ▶ 점주선장 승급신청 ▶ 승급완료 ▶ 조황글 작성 |
하누리호]오늘은 4짜만 마리수(주말 출조공지)안녕 하십니까 통영 하누리호 입니다.
오늘 정말 좋은 기상에 즐낚할수 있었습니다.
내일까지는 기상이 좋고 일요일은 바람이 조금
있습니다.
바람이 북풍이라 낚시에는 지장이 없을거로
보이며 주말 야영과 당일 부지런히
다녀 보겟습니다.
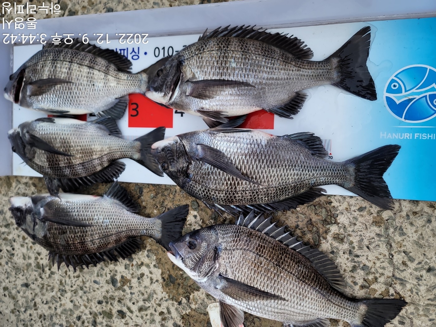
어제는 감성돔이 조금 주춤하더니 오늘은
4짜급으로 몇마리 보입니다.
출조인원 보다 감성돔 마리수가 더 많네예.
5짜급은 두군데서 터져 아쉬웠지만
그래도 손맛 보셨다며 기분좋게 철수 하셨네예.
현재 욕지권 대부분 포인트에서 감성돔을
확인할수 있습니다.
사이즈도 대부분 4짜급 이상 덩치급이라
많이 터지고 빠지고 있네예.
참돔도 가능성 있어 보이지만 선수가 안계셔
아쉽습니다.
대물급 감성돔과 참돔은 새벽녁 집중 하셔야 되고
많이 터지고 잇습니다.
새벽녁에는 목줄 안타니 강하게 사용하셔도
됩니다.
찾아주신 분들께 감사 드립니다.
최근들어 코로나19 확진자는 많이 줄어들고
있지만 방심하지 마시고
방역수칙 철저히 지켜 주시기 바랍니다.
손맛 좋았다 하십니다.
손맛 보셨습니다.
주말 좋은물때 물색에 기대가 됩니다.
주말 출조공지
토요일 새벽1시 4시 당일 및 야영 출항
토요일 오후2시 야영 출항
일요일 새벽2시 4시 당일 및 야영 출항
일요일 오후2시 야영 출항
철수는 협의후 오전12시 오후3시쯤 합니다.
선비는 욕지권 전역 육만원 입니다.
야영비 없습니다.
기상에 따라 출조시간은 변경될수도 있습니다.
선장 : 010 - 3564 - 3429
선장 부재시 마눌폰 010 - 4528 - 0065
주소 : 통영시 산양읍 연명길 18 하누리 피싱