![]() |
|
![]() |
![]() |
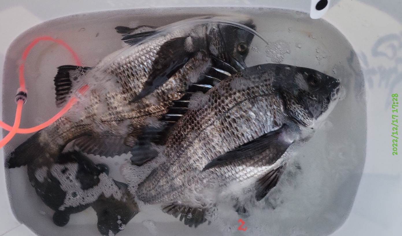
감성돔 51.5 49 48 47 47 43 42 42 ...토요일 최악의 조건속 대물 감성돔 51.5 49 48 47 47 43 42 42 .. 외 참돔 조황입니다
다소 기상이 좋지 못 할 거라는 예보에 소수 인원으로 1항차 만 출조를 했습니다
너무나 좋지 못한 기상속에 울조사님들 수고가 많았던 출조 길이었습니다
조과는 기대도 하지 않았는데 ㆍ예상외로 기상에 비해 대단한 조과를 올려주시네요
5짜외 4짜들과 터트림도 있었고 ㆍ내일(월요일) 기상이 호전되면 기대가 되는 출조 조과였습니다
출조하신 분 모두 수고가 많으셨습니다
사진은 토요일 조과로 몇 컷 올려드립니다
● 새벽 출조 이후 낮 출조(감성돔)는 매일 오전 10시 30분 집결 출조합니다ㆍㆍ참고
●● 주 출조지
소지도
매물도
비진도(상 비진도. 하 비진도)
용초권(추봉도. 죽도. 용초도)
내만권(한산 내만. 구도. 추봉 내만)
●● 대물 감성돔 시즌 이벤트 행사 내용
시즌 초 9월부터 대물급 행진으로 1차와 2차에 걸쳐 경품 행사를 진행ㆍ 낚시대 닐 바칸 밑밥통 등이 조기에 소진되었습니다
2022년 12월19일부터 작은 선물을 준비하여 다시 시작합니다
●시상 내역
1. 54.0cm 이상ㆍ시마노 리미티드 밑밥통 1개 + 승선권 2매(1명)
2. 54.5cm 이상ㆍ시마노 리미티드 밑밥통 1개 + 승선권 5매 (1명)
3. 55.0cm 이상ㆍ가마가츠 구태 낚시대 1대 + 승선권 2매 (1명)
당일 첫 출조부터 마지막 철수 시까지 각 부문 최대어를 선정 당일 지급(야영제외. 죽은고기 제외. 백태낀 고기 제외)
●●특전 출조●●
▶페키지 (숙박) 출조 안내(2인 이상 항시 가능)시간적 여유가 있는 분들께 추천
▶숙박(팬션 1박) + 식사(횟집 2식) + 선비(2회)ㆍ일행분들 단독으로 숙소 사용
1.출조지 ㆍ용초권(추봉도. 죽도. 용초도. 대덕도) ....... 110 000원
2.출조 후 식사 ( 낚시 후 철수 ᆞ저녁 식사 후 패션에서 취침)
3.둘째날 (새벽 출조 또는 낮 출조)
4.둘째날 낚시 후 오전 철수(오후 철수도 가능) 식사 또는 도시락
5.음주 및 기타의 사유로 다음 날 출조를 포기하셨도 환불은 없습니다(정원 및 예약제)
▶ 거제가자피싱랜드는 "배" 만 운영,,,,모든 것을 미리 준비해 오시기 바랍니다
▶"화장실"은 저희 사무실(출항지) 도착 전 300미터 지점에 있습니다,,,참고
▶네비주소...거제시 동부면 가배리 620-1
▶문의
010 4111 7369
010 3551 7369
거제가자피싱랜드입니다 주 출조 선박 뉴 바다세계호는 2024년 최 신조선으로 9.77톤이며 최고 속력 37노트 평속 23 - 27노트로 운항 출조지 1호ㆍ용초도. 죽도. 추봉도. 비진도 2호ㆍ구을비도 매물도로 주 출조하며 3호ㆍ간여 및 국도 출조
|
|
|
|




















