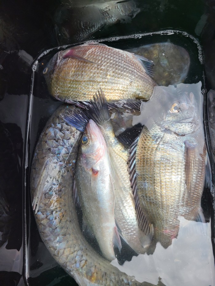
[풍남 대성스타호] 내만권 갯바위 감성돔 조황!!!

회원 랭킹


NaverBand
점주/선장 > 갯바위 조황
b_hot_activegloat_200x80.gif b_hot_nios_200x80.gif b_hot_ggsusan_hongeu_200x80.gif b_hot_innakmall_200x80_211203.gif

[풍남 대성스타호] 내만권 갯바위 감성돔 조황!!!

풍남대성스타1호 0 514
● 출항지 : 고흥,녹동
12 https://band.us/@daesungstar

3139dfbba797194fc4cd9a7bb2f851ec_1625988981_5958.png



3139dfbba797194fc4cd9a7bb2f851ec_1625988992_0583.jpg



3139dfbba797194fc4cd9a7bb2f851ec_1625988992_6778.jpg



안녕하세요

고흥 풍남 대성스타호입니다.


오늘도 변함없이

대성스타호의 뱃고동은 울렸습니다.


3139dfbba797194fc4cd9a7bb2f851ec_1625989020_1762.jpg



3139dfbba797194fc4cd9a7bb2f851ec_1625989020_498.jpg



3139dfbba797194fc4cd9a7bb2f851ec_1625989024_8347.jpg



3139dfbba797194fc4cd9a7bb2f851ec_1625989026_2149.jpg



오늘도 함께 해 주신

모든 조사님들 고생 많으셨습니다.


대성스타호 밴드

https://band.us/@daesungstar


3139dfbba797194fc4cd9a7bb2f851ec_1625989049_4946.png



3139dfbba797194fc4cd9a7bb2f851ec_1625989050_0334.png



3139dfbba797194fc4cd9a7bb2f851ec_1625989050_1759.png



3139dfbba797194fc4cd9a7bb2f851ec_1625989050_2937.png



 

0 댓글
제목
 
 

인낚 최신글


인낚 최신댓글


온라인 문의 안내


월~금 : 9:00 ~ 18:00
토/일/공휴일 휴무
점심시간 : 12:00 ~ 13:00